KING2 - Information Memorandum

Page 1


FOR SALE VIA PUBLIC AUCTION FRIDAY 2ND MAY AT 1PM

Crabtrees Real Estate are pleased to offer 2 King Street, Oakleigh for Sale via Public Auction on Friday 2nd May at 1pm.

Situated in the tightly held and sought after Oakleigh industrial precinct, this versatile factory/ warehouse of 800 sqm* sits on its own title of 931 sqm* and will suit both owner occupiers and astute investors.

Opportunity to acquire buildings of this size very rarely come to market in the Oakleigh Industrial precinct.

EXCLUSIVE MARKETING AGENTS

CHRIS MCKENZIE Partner

0418 321 065 chris@crabtrees.com.au

PANA KRITIKOS

Associate Director - Sales & Leasing

0418 358 700 pana@crabtrees.com.au

Executive Summary

PROPERTY ADDRESS 2 King Street, Oakleigh VIC 3166

METHOD OF SALE

PROPERTY OVERVIEW

BUILDING AREA

LAND AREA

LAND & TITLE PARTICULARS

ZONING

TENANT

TERMS OF SALE

Public Auction

Versatile factory/warehouse is on its own title ideal for both owner occupiers and astute investors.

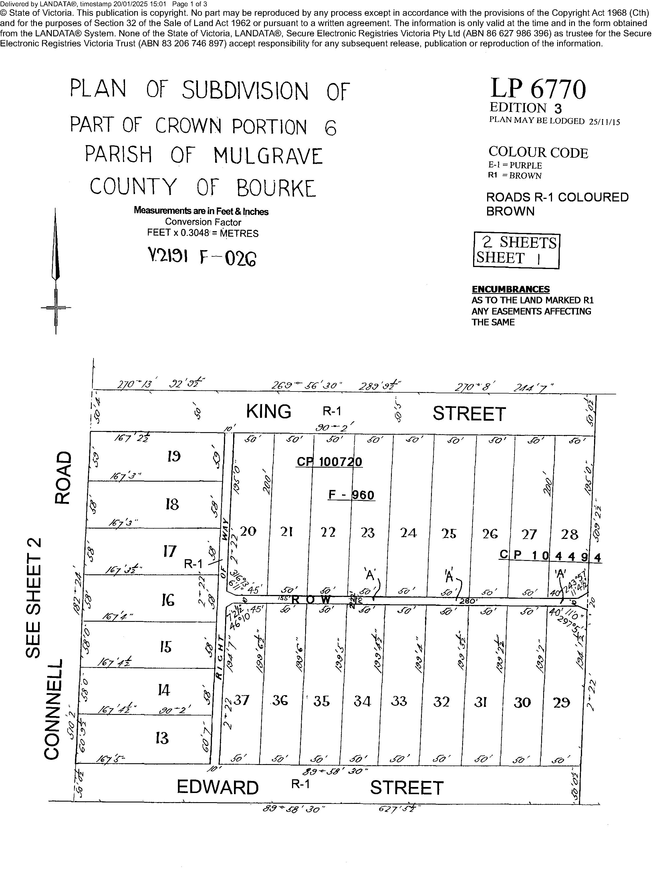
Lot 20 on Plan of Subdivision 006770. Volume 04232 Folio 360

The Title and site plan is included in Appendix 1

The land is zoned Industrial 1 under the City of Monash Planning Scheme allowing for a broad range of potential uses.

Vacant Possession

10% deposit payable with full settlement payable either 30, 60 or 90 days.

*All sizes and amounts are approximate. The vendor and their agents do not hold themselves responsible for errors, omissions and discrepancies, if any, in these particulars which have been compiled to the best of their ability, but are not guaranteed.

Property Overview

RARE FREEHOLD IN CENTRAL OAKLEIGH

Situated in the tightly held and sought after Oakleigh industrial precinct, this versatile factory/warehouse of 800 sqm* is on its own title of 931 sqm* and will suit both owner occupiers and astute investors.

Opportunity to acquire buildings of this size very rarely come to market in the Oakleigh industrial precinct.

KEY FEATURES:

• Total building area of 800 sqm*

• Total land area of 931 sqm*

• Functional warehouse of 777 sqm*

• Office of 23 sqm*

• Great loading / parking area

• (2) two roller doors

• Three (3) phase power

• Solar power

Located only minutes to both the Huntingdale and Oakleigh Shopping Precincts, train stations and bus interchanges, 2 King Street provides great accessibility. Oakleigh continues to present as an A-grade location with amenity and major road arterials at your doorstep.

*All sizes and amounts are approximate. The vendor and their agents do not hold themselves responsible for errors, omissions and discrepancies, if any, in these particulars which have been compiled to the best of their ability, but are not guaranteed.

Comparable Sales

39

Sale Date | December 2024

Sale Price | $3,450,000

Building Area | 780m2

Building Price per m2 | $4,423

Land Area | 1,009m2

31 CONNELL ROAD, OAKLEIGH

Sale Date | August 2024

Sale Price | $2,200,000

Building Area | 450m2

Building Price per m2 | $4,888

Land Area | 650m2

Notes: Sold via Private Sale to Owner Occupier.

Sale Date | October 2023

Sale Price | $1,920,000

Building Area | 445m2

Building Price per m2 | $4,314

Land Area | 522m2

Notes: Sold at Public Auction to an Owner Occupier.

*All sizes and amounts are approximate. The vendor and their agents do not hold themselves responsible for errors, omissions and discrepancies, if any, in these particulars which have been compiled to the best of their ability, but are not guaranteed.

& 41 JOHN STREET, OAKLEIGH
42 REGENT STREET, OAKLEIGH

Property Images

Location

The subject property is located in Oakleigh one of South Eastern Metropolitan Melbourne’s most recognisable commercial locations.

Located in King Street and within close proximity to major arterials including Atherton Road, Warrigal Road, Princes Highway, Huntingdale Road, North Road and Monash Freeway.

Oakleigh’s Eaton Mall & Centro Shopping Centre are located nearby the subject property, a bustling retail, dining and entertainment hub. Neighbouring tenants include Vanilla Lounge, Niko’s Quality Cakes, Mythos Gyros Bar, Westpac, Commonwealth Bank, Woolworths and Australia Post.

Oakleigh has been through an amazing transformation over the last 20-30 years and this has been reflected in property prices which have soared to record highs as Oakleigh has become one of the highest held property markets in the South East.

2 King Street is ideally positioned close to several education facilities including Oakleigh Grammar, Sacred Heart College, Oakleigh Primary and Monash University.

Situated nearby is Chadstone Shopping Centre

“The Fashion Capital” which is Australia’s largest shopping centre and a world-renowned fashion and entertainment hub for local and international visitors. An all-encompassing retail experience, Chadstone features over 550 stores, designer boutiques and over 30 luxury brands.

Zoning

The subject property is zoned Industrial Zone 1 under the City of Monash Planning Scheme, according to the most recent Victorian zoning information available allowing for a broad range of uses.

Method of Sale Auction

2 King Street, Oakleigh is being offered for sale via Public Auction on Friday 2nd May at 1pm.

To arrange a private inspection please contact the exclusive selling agents.

Terms of Sale

The property is offered for sale on the basis of: DEPOSIT:

10% of the agreed purchase price payable upon signing the Contract of Sale. SETTLEMENT:

The Vendor will require full settlement of the sale upon 30, 60 or 90 days from date of Exchange of Contracts.

Exclusive Marketing Agents

0418 321 065 chris@crabtrees.com.au

Annexure 1

Title & Plan of Subdivision

Copyright State of Victoria. No part of this publication may be reproduced except as permitted by the Copyright Act 1968 (Cth), to comply with a statutory requirement or pursuant to a written agreement. The information is only valid at the time and in the form obtained from the LANDATA REGD TM System. None of the State of Victoria, its agents or contractors, accepts responsibility for any subsequent publication or reproduction of the information.

The Victorian Government acknowledges the Traditional Owners of Victoria and pays respects to their ongoing connection to their Country, History and Culture. The Victorian Government extends this respect to their Elders, past, present and emerging.

REGISTER SEARCH STATEMENT (Title Search) Transfer of Land Act 1958

VOLUME 04232 FOLIO 360

LAND DESCRIPTION

Lot 20 on Plan of Subdivision 006770.

PARENT TITLE Volume 02191 Folio 026 Created by instrument C323660 29/09/1965

REGISTERED PROPRIETOR

Estate Fee Simple TENANTS IN COMMON

As to 1 of a total of 2 equal undivided shares

Sole Proprietor

Security no : 124121631634F

Produced 31/01/2025 10:48 AM

LISE' JANE LUMB of 59 MACGREGOR STREET MALVERN EAST VIC 3145

As to 1 of a total of 2 equal undivided shares

Sole Proprietor

SIMON DAVID ANDERSON of 31 WOORNACK ROAD CARNEGIE VIC 3163 AX977402G 08/05/2024

ENCUMBRANCES, CAVEATS AND NOTICES

MORTGAGE AH029444T 10/02/2010

SARL GROUP PTY LTD

Any encumbrances created by Section 98 Transfer of Land Act 1958 or Section 24 Subdivision Act 1988 and any other encumbrances shown or entered on the plan or imaged folio set out under DIAGRAM LOCATION below.

DIAGRAM LOCATION

SEE LP006770 FOR FURTHER DETAILS AND BOUNDARIES

ACTIVITY IN THE LAST 125 DAYS

NIL

OF REGISTER SEARCH STATEMENT------------------------

Additional information: (not part of the Register Search Statement)

Street Address: 2 KING STREET OAKLEIGH VIC 3166

DOCUMENT END

Turn static files into dynamic content formats.

Create a flipbook
Issuu converts static files into: digital portfolios, online yearbooks, online catalogs, digital photo albums and more. Sign up and create your flipbook.
KING2 - Information Memorandum by Crabtrees Real Estate - Issuu