

The Village of Elburn would like to thank the many residents and business owners that took the time to provide valuable input into this plan. We would also like to thank the RTA for funding assistance and their participation throughout the planning process. The Village also appreciates the input provided by both Metra and Pace during plan development. And of course, a BIG THANK YOU to those that served on the Steering Committee for the Elburn Connects Plan and dedicated countless hours reviewing plan materials and attending meetings.
Patricia Schuberg, Trustee
Sue Filek , Trustee
John Nevenhoven, Village Administrator
Justin Smitherman, Business owner
Dave Patzelt, Shodeen Group Adam Gonzales, Business owner
Ted Masinick, Resident Ryan Easter, Business owner
James Petit, Resident David Kralik and John McFarlane, Metra Michael Horsting and Alex Waltz, RTA
Introduction Plan Overview Study Area
Setting the Stage for TOD
Context for the Plan
Community Profile Existing Land Use & Zoning Recent & Potential Developments Connectivity Analysis Market Analysis Utilities & Infrastructure Community Engagement
Online Engagement Community Pop-Up Events Quick Polls Community Workshops Key Takeaways
Plan Recommendations
Vision & Goals Strategies & Projects
Development & Design Development Opportunity Sites
Site 1: Southeast Corner of Shannon St & Main St
Site 2: Southwest Corner of North St & First St
Sites 3-4: Southeast Corner of Kansas St & Main St
Site 5: Activated Pedestrian Alleyway on Main St
Site 6: Elburn Station PUD
Chapter Page 1: 2: 6: 1
Implementation Using This Implementation Plan
Implementation Action Plan
The Elburn Connects Transit Oriented Development (TOD) Plan is a tool to help the Village guide future improvements and development in and around downtown Elburn and the Village’s Metra commuter rail station. The plan’s vision, goals, recommendations, and implementation strategies were based on an analysis of existing conditions in the area and extensive community engagement.
Chapter 3 details the engagement activities that took place throughout the entirety of the planning process, informing each stage of work. The ideas and concerns heard from residents directly shaped plan recommendations, which prioritize improvements to pedestrian safety and walkability, expanding Elburn’s bike network, enhancing Route 47 to be a more vibrant and active Main Street corridor, and improving access between the Metra Station and downtown Elburn via multiple connections for all transportation modes.
• A project Steering Committee of nine stakeholders met five times over the course of the project, serving as ambassadors to the community and providing a check on ideas thatwould or would not work in Elburn.
• The project website was a hub for online communications. An interactive comment map allowed people to share over 100 ideas relating to specific locations in the study area. In total, the website saw nearly 4,500 site visits, over 1,200 unique visitors, and 200+ site followers.
• Two community pop-up events at Elburn Days and the Christmas Stroll gave the project team a chance to interact with residents and gather ideas, allowing for easy participation from those who may not be able to attend a separate meeting.
• A series of three quick polls were published at different stages of the process: Poll #1 focused on big-picture visioning, Poll #2 was about transportation choices and decisions, and Poll #3 asked about implementation priorities.
• Two community workshops were held. The first in October 2021 served as an introduction to the planning process, an overview of current conditions, and an open forum for idea sharing, questions, and discussion. The second in March 2022 presented the proposed project recommendations and gathered feedback on priorities for plan implementation.
Chapter 2 provides the context for the plan, including an analysis of demographic trends, land use and zoning, development patterns, access and connectivity, market conditions, and availability of utilities and infrastructure. This context was critical to understanding the opportunities and constraints within the study area. Some of the key takeaways that informed plan recommendations are summarized below:
Elburn’s 2020 population (6,175 residents) is fairly stable with a median age that has trended slightly higher than Kane County, particularly within close proximity of Downtown and the Elburn Metra Station. The Hispanic/ Latino population in Elburn has grown substantially, although overall population composition is about half that of Kane County. The number of families is also on the rise.
The typical Elburn household earns a relatively higher income ($110,358 is the median household income) and lives in a home that, on average, is about 10 years old and likely a singleunit structure compared to a typical Kane County household. There are also more households living inmulti-unit structures within a 1/2-mile radius of the Elburn Metra Station, which aligns with a typical TOD household profile.
The northern and western sections of the Study Area are well established with Downtown Elburn, surrounding neighborhoods, and a fairly built out industrial area. On the other end, the southern and eastern sections are likely undergoing near- and longterm changes, including the ongoing build-out of the Metra station area, Elburn Station development, and opportunities for additional development that would support TOD.
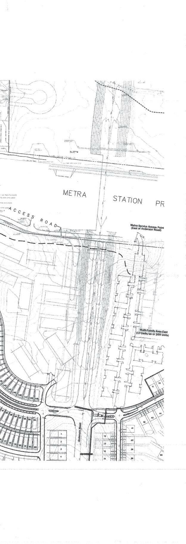
Currently, access to the Metra Station for vehicles is available only via Anderson Road – this limits accessibility of the station and puts a strain on the single entrance/exit at peak times. Adding multiple new connections to the station would help ease traffic congestion and enhance overall connectivity in the Study Area. Pedestrians and bicyclists can currently access the station via Kansas Street.
The street pattern and pedestrian network can significantly impact areas that are accessible by walking. A walkshed and connectivity analysis revealed that street connectivity in the Study Area is at or below the minimum to foster a walkable environment, and there are multiple missing segments in the sidewalk network. Opportunities for improving walkability are most needed along MainStreet and First Street and include: continuous sidewalks, curb extensions to shorten crossing distances,and additional/enhanced pedestrian crossings at keylocations.
Many of Elburn’s local streets are comfortable for biking; however, the low street connectivity creates indirect routes that extend a trip. Also, installing new biking facilities with clearly marked or protected lanes can encourage more users to feel comfortable riding a bike around town for quick trips, leisure, or exercise.
Major streets around the Metra station are significantly under capacity and can accommodate additional traffic without expansion. In addition, the Anderson Road bridge was built with ability to expand to four lanes and thus could accommodate significantly moretraffic in the future. Significant freight traffic causes delays and congestion along Main Street, which detracts from a comfortable pedestrian and biking environment and may discourage visitors from going downtown for shopping and dining.
The Metra Station parking lot has not experienced capacity issues in recent years. In the core of the downtown, parking is provided as on-street public parking and surface lots. North of the tracks, surface lots dedicate a significant amount of land area to parking within one block east andwest of Main Street. The estimated need for downtown’s existing retail is only 155 spaces, while there are currently 347 existing spaces. This presents opportunities to convert some existing land dedicated to parking to other uses while pursuing shared parking agreements between uses with different hours for peak demand.
GOAL #1
Improve connectivity for all transportation modes (pedestrians, bicyclists, and drivers) within the TOD Study Area.
Activate and enhance downtown Elburn with a diverse mix of uses and a thriving business district frequented by locals and visitors.
Encourage new development opportunities that expand the tax base and support economic development in Elburn.
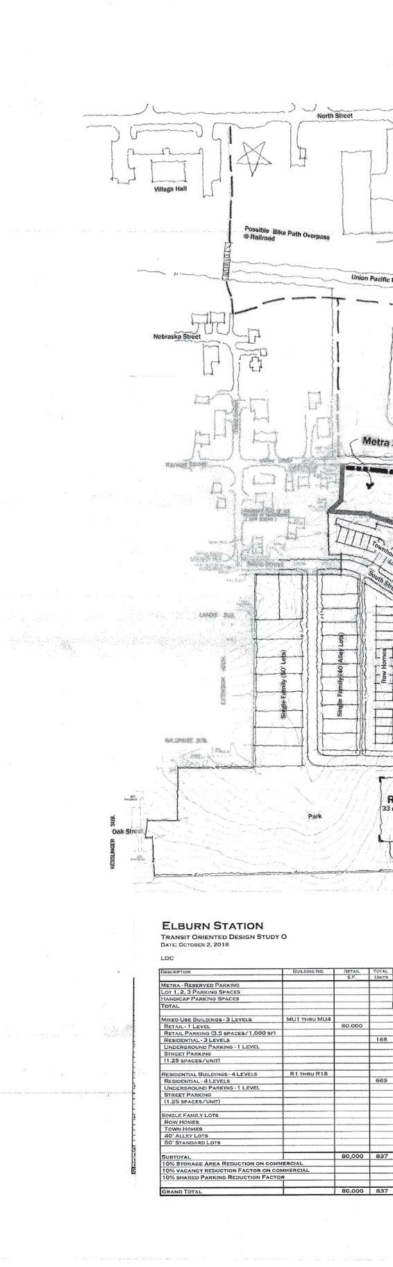
In 2011, the Village approved a residential development plan (Elburn Station by Shodeen Group) for the area surrounding the Elburn Metra Station and along Anderson Road between IL- 38 and Keslinger Road. The plan includes mixed-use residential/ commercial development planned closest to the Metra station and single-family homes, townhomes, and multifamily apartments. To date, only single-family homes within Zone A, south of the Metra Station, have been developed and there are not currently any townhomes or multifamily units. Elburn Station’s eventual development will have significant impacts on the Study Area. Ensuring that it connects with the existing street network and to downtown will be important.
Downtown Elburn’s storefronts and commercial properties are largely occupied and the historic character has been well-preserved. However, retail along IL-47 (Main Street) is limited compared to other regional downtowndistricts due to lower traffic counts and limited residential population. Until additional residential units are added within the study area (i.e. Elburn Station), demand for retail, services, and restaurants will remain limited.
Downtown Elburn, the Elburn Metra Station, and nearby residential neighborhoods are cohesive and well-connected, creating a vibrant business district along Route 47 (Main Street) that is a walkable and easily accessible destination for Elburn residents and visitors.EXISTING
See Chapters 4 through 6 for more details on plan recommendations, development opportunities, and implementation actions.
STRATEGY 1 | Improve pedestrian/ bicycle connectivity to the Metra station and through Elburn.
REC 1.1
Complete the sidewalk network throughout Elburn, particularly in and around downtown and the Metra Station.
REC 1.2
Construct pedestrian rail crossing at First Street.
REC 1.3
Improve bike/pedestrian connection to the Metra Station at Kansas Street.
REC 1.4
Build out network of bike routes.
STRATEGY 2 | Create better east/ west connectivity.
REC 2.1
Create multiple roadway connections to provide access to Elburn Station via South St, Stetzer Street, Keslinger, and Station Blvd.
STRATEGY 3 | Enhance safety and circulation through commercial district on Route 47.
REC 3.1
Make safer pedestrian crossings at intersections.
REC 3.2
Add turn lanes to allow traffic to flow more smoothly.
REC 3.3
Construct sidewalks on both sides of Main Street south of the railroad tracks.
STRATEGY 4 | Optimize parking for commercial areas.
REC 4.1
Right-size parking by creating shared parking agreements.
STRATEGY 5 | Improve safety and walkability of First Street.
REC 5.1
Clearly distinguish pedestrian space from the roadway.
REC 5.2
Install traffic calming measures.
STRATEGY 6 | Add gateway and wayfinding signage throughout the study area.
REC 6.1
Install Elburn-branded signage at key locations to enhance connectivity and navigation, fill underutilized parking areas, and contribute to a welcoming sense of place.
STRATEGY 7 | Pursue opportunities at key development sites.
REC 7.1
Promote development models and urban design strategies that will attract people and enhance vibrancy in downtown Elburn.
REC 7.2
Continue to work with Shodeen to implement plans for Elburn Station.
STRATEGY 8 | Create a public space in Downtown Elburn.
REC 8.1
Activate underutilized alleyway and transform into a public gathering space.
The Village of Elburn has a strong legacy of proactively planning for sustainable growth and development while maintaining the community’s strong agricultural and rural ties to its location near the center of Kane County. Elburn is well connected within the region today by regional roadways such as Routes 47 and 38 and via Metra commuter service. This plan focuses on improving local connections, particularly for bicyclists and pedestrians, in and around downtown Elburn and the Metra station. It also addresses development opportunities that will maintain the local character while providing needed community goods, services, and housing options. 1
The Elburn Connects Transit Oriented Development (TOD) Plan is a tool to help the Village guide future improvements and development in and around downtown Elburn and the Village’s Metra commuter rail station. It is based on an examination of existing conditions including demographics, land use and zoning, connectivity, and market highlighted in Chapter 2, Context for the Plan. It is also based on extensive community engagement summarized in Chapter 3 Chapter 4 outlines key plan recommendations including the overall vision and goals and specific strategies and projects to improve overall connectivity. Opportunities to improve private property are detailed in Chapter 5, Development & Design. Finally, Chapter 6, Implementation, provides guidance regarding partnerships and funding opportunities. This chapter also includes an action plan table that details all recommended projects, potential partnerships and funding for each, and a suggested priority.
The map in Figure 1.1 shows the Elburn Metra Station (end ofthe UP-W Line) and Study Area within context of the region, including the transit and roadway network.
As illustrated in the map in Figure 1.2 below, the project’s Study Area has two components: the TOD Accessible Area is shown by the yellow dashed line, while the Primary Study Area is illustrated by the red dashed line.
The Study Area is mostly built out north of the railroad, with some room for development along Anderson Road. The core of Downtown Elburn is located north of the tracks, surrounded by residential neighborhoods and an industrial area further east. The south side of the railroad is partially built out on the western end on both sides of Main Street (Route 47). However, the areas south of the Metra station and along Anderson Road provide greater opportunities for growth.
Existing land uses, transportation elements, utilities and infrastructure, and community assets are described in more detail in the following pages.
The Primary Study Area is the area around the Elburn Metra Station from Willow Street on the north, Anderson Road on the east, Keslinger Road on the south, and Johnson Avenue/ Babcock Street on the west. This area is viewed as holding the greatest potential to impact transit-oriented development in close proximity to the Metra station.
As a planning process revolving around a transit facility, the TOD Accessible Area is generally located within a 1/2-mile radius of the Elburn Metra Station. A 1/2-mile is the distance a typical person is willing to walk to access a train station before choosing to drive instead.
Figure 1.2: Study Area Map Source: Kane County GIS Technologies Figure 1.1: Regional Context Map Source: RTA GISThe Village updated its Comprehensive Plan in 2020, providing the most current version of the overall community plan to guide the Elburn Connects TOD Plan. Key takeaways from the 2020 Elburn Comprehensive Plan are summarized below. The Village’s Zoning Code and other ordinances will play an important role in understanding how Elburn’s zoning and building standards will support potential development, including improvements to transit, pedestrian, and bicycle access and mobility. The RTA also has a series of transit planning guides that will also be helpful resources in planning and designing for TOD in Elburn.
The timeline in Figure 1.3 highlights the historical context of Elburn’s Metra Station Area, including the construction of the station to the gradual integration of TOD elements.
1834:
1890s:
2006:
Elburn Population by Decade, 1890-2020:
The land use section (p. 10) of the 2020 Elburn Comprehensive Plan clearly outlines how the area around the Elburn Metra Station should be built up as a transit-oriented development (TOD), with a mix of residential, commercial, and complimentary uses in a dense, walkable district. In addition, the Comprehensive Plan’s discussion of smart growth principles (see list on the right) highlights how the Village should seek to implement TOD in the station area.
“Mixed use development within a half mile of the Elburn Metra Station should be categorized as transit-oriented development (TOD). A TOD is a mixed use residential and commercial area that has been planned and designed to maximize access to public transportation, or the Elburn Metra Station. The Elburn Metra Station should function as the center of the development, and be surrounded by relatively high-density development that progressively decreases in density as you move away from the center.
TODs are walkable communities that accommodate healthier and active lifestyles, expand mobility choices, improve access to jobs and economic opportunities, and increase transit ridership. As the Comprehensive Plan is reevaluated, other areas in the Village may be appropriate for mixed-use or transit oriented development. The Land Use Plan should not preclude quality mixed-use developments in the future should they be proposed.”
Promote mixed land uses to create better places to live
Reduce dependency on the car and promote non-motorized transportation choices
Coordinate land use and transportation planning elements that are supportive of all modes
Ensure all development integrate amenities and linkages for pedestrians and bicyclists
Encourage compact building designs to preserve more open space and use land more efficiently
Diversify the type and range of housing options
Direct new development toward existing development that is already served by infrastructure
Advance placemaking that emphasizes a strong sense of placethat reinforces distinctive and memorable attributes
Figure of Metra Station AreaAll good planning efforts start with a sound evaluation of existing conditions. Understanding demographic trends, land use and zoning, development patterns, access and connectivity, market conditions, and availability of utilities and infrastructure are critical to recognizing the opportunities for, and constraints on, development and transportation mobility. Context for the Plan 2
The project team analyzed a variety of demographic and socioeconomic data to develop a community profile that explains how different groups of people will engage with transit-oriented development (TOD) around the Elburn Metra Station. Homeowners have different housing needs and budgets than renters. Commuters getting around by car will interact with the TOD area differently than pedestrians, bicyclists, and transit riders. Members of the workforce, who seek stable employment and make up the local daytime population, look for different things than residents who live in the area 24/7. This community profile highlights what characterizes each group and how building up the Metra station area as a TOD will enhance their access to opportunities and a high quality of life.
Elburn’s general population is fairly stable with a median age that has trended slightly higher than Kane County, particularly within close proximity of Downtown and the Elburn Metra Station. The Hispanic/ Latino2 population in Elburn has grown substantially, although overall population composition is about half that of Kane County. The amount of families is also on the rise.
Elburn’s population saw a 10% increase from 2010-2020, which was not as rapid as the 103% rise from 2000-2010. With the anticipation of new homes coming online in Elburn Station and Blackberry Creek over the next several years, building up the Elburn Station Area into a TOD will greatly impact the population.
Elburn’s median age saw a substantial jump from 35.1 in 2010 to 39.6 estimated in 2021. In areas close to the Metra station, median age was higher (42.3), which can be attributed to the Meadows Apartments, a 55 and older independent senior living facility. However, median age around the Metra station may stabilize as more young families occupy new homes in the TOD area. Elburn’s senior population (age 65+) is not as high as the drive time markets and Kane County.
In addition, the percentage of households that are families increased between 2010 and 2019. This includes a decline in 1-person households and growth in households of 2+ people. While the average family size within 1/2-mile of the Metra station is significantly lower than the Village, this may stabilize towards Elburn’s average family size as more families occupy new homes in the TOD.
Change in Elburn’s population from2000-2010, compared to 27.5% for Kane County
Change in Elburn’s population from2010-2020, compared to 3.1% for Kane County
NOTE: Detailed data tables will be provided in the Appendix. Data sources include the U.S. Census, 2015-2019 American Community Survey (ACS) Estimate, Esri Business Analyist, Chicago Metropolitan Agency for Planning (CMAP) Community Data Snapshot, Regional Transportation Authority Mapping and Statistics (RTAMS), and Center for Neighborhood Technology’s (CNT) Housing+Technology (H+T) Index.
Family Household Types While some people the U.S. Census
Elburn’s median age in 2021, compared to Kane County’s median age of 36.3
The typical Elburn household earns a higher income and lives in a home that, on average, is about 10 years old and is likely a single-unit structure compared to a typical Kane County household. There are also more households living in multi-unit structures within a 1/2-mile radius of the Elburn Metra Station (21%, versus 8% in the Village overall) which aligns with a typical TOD household profile.
After a 40.8% increase from 2000-2010, the number of households in Elburn saw a slight 1.2% decrease from 2010-2019. A decline in households is also evident at the 1/2- and 1-mile radii from the Elburn Metra Station; however, since the 2019 data is an estimate, this may not account for the phased additions of new homes in Elburn Station and Blackberry Creek.
Average household size within a 1/4- and 1/2-mile radii of the Metra Station trend smaller than Elburn as a whole, but that may change with more development.
Median household and per capita incomes are much greater in Elburn than Kane County. However, income levels within the 1/4- and 1/2-mile radii of the Metra Station are closer in value to Kane County. This is partly due to a limited amount of households within these radii, so it remains to be seen how further development around the Metra Station Area will impact income levels.
All Elburn households live in structures of less than 10 units, with most in single-family homes. On average, most housing units in Elburn were built in 2000, compared to 1981 across Kane County.
Change in Elburn’s households from2000-2010, compared to 27.3% for Kane County
Change in Elburn’s households from 2010-2019, compared to a 5.4% for Kane County
Elburn Households 1,0002000 2010 2019 1,344 1,892 1,869
Elburn Kane County $82,339
$110,358
1/4-Mile $87,9721/2-Mile $101,9961-Mile $110,6005-Min Drive $116,58110-Min Drive $113,46115-Min Drive $87,500
Elburn’s average household size in2021, which mirrors Kane Countyincreased from in 2000
$47,882Elburn Kane County $35,782
1/4-Mile $40,2891/2-Mile $45,6411-Mile $47,8915-Min Drive $48,68110-Min Drive $50,05215-Min Drive $39,524
70.8% 1 unit, detached 21.1% 1 unit, attached 8.1% 2 to 9 units 0% 10+ units 0% mobile home 0% RV, boat, van, etc.
Kane County
Elburn 69.5% 1 unit, detached 10.9% 1 unit, attached 11.2% 2 to 9 units 7.7% 10+ units 0.6% mobile home 0% RV, boat, van, etc.
The typical Elburn homeowner near the Elburn Station Area owns a home either in the Village’s historic core or in one of the newer developments to the south, such as Elburn Station and Blackberry Creek. Opportunities for homeownership should continue to grow, particularly as a means of building up density to support transit, shops, and services in the TOD.
The typical Elburn homeowner near the Elburn Station Area has a lower mortgage than the rest of the Village and the broader 5-, 10-, and 15-minute drive time markets. This points to the general affordability of homes in a small community like Elburn, which should be protected as best as possible to continue balancing a low cost of living and high quality of life.
Homeownership in Elburn experienced a major jump from 2000-2009, with 42.4% of homes becoming occupied (i.e., householder occupancy) in that time frame, compared to only 11.4% before 2000. The rise in new homeowners continued into the 2010s with a 46.2% householder occupancy share, which equates to over 88% of all homeowners occupying their units in 2000 or later. Householder occupancy in Kane County is more evenly split across the three time frames.
The 1.5 average vehicles owned within 1/4-mile of the Elburn Metra Station is fitting for a TOD, particularly in comparison with the 2+ vehicles owned in the rest of Elburn, Kane County, and the broader market area. Enhancing access and mobility for pedestrians, bicyclists, and transit riders should help lower the dependency on cars.
Providing detached and attached single family homes will help diversify the housing stock and meet varying budgets, life stages, and needs.
Just 15% of Elburn’s housing units are renter-occupied. Of those units, 50% are located within 1/4-mile of the Metra station, and 27% within 1/2-mile of the station. Density is critical to a TOD area, and rental units form a prominent segment of this density in order to support transit, shops, and services within a walkable distance from a transit station.
Renter-occupied housing units are most prominent within a 1/2-mile radius of the Elburn Metra Station, but the number of renter-occupied units decreases as one ventures farther from the Metra station.
About 45% of renters in Elburn devote less than 25% of their income towards rent, which is almost 10% more than renters across Kane County. However, the median contract rents in Elburn ($1,317) are much higher than Kane County ($969), which is indicative of higher income levels in Elburn. About 63% of Elburn renters pay $1,250 or more in rent each month, compared to 26% across Kane County. The market analysis section of this plan discusses housing cost burden in Elburn.
Elburn experienced a considerable increase in renter-occupied units from 2000-2009, where rental unit occupancy was at 41% compared to only 8% prior to 2000. This trend is even more stark when compared to Kane County where rental occupancy was only 14% from 20002009. Rental unit occupancy continued to increase significantly in Elburn and Kane County from 2010 and beyond.
Rentals continue to comprise a prominent share of the recent and near-term housing markets. Capitalizing on this market will be a significant element to pursue as Elburn builds up density in and around the Metra Station Area. A more walkable, transit-supportive TOD should also help reduce car dependency.
14.9%Elburn Kane County 23.1% 50.0%1/4-Mile 27.0%1/2-Mile 18.9%1-Mile 14.9%5-Min Drive 9.8%10-Min Drive 15.4%15-Min Drive 3
Renter-Occupied Units [2021] Average mortgage in Elburn which is lower than $286,129 in Kane Countyand much lower than the $345,000$370,000 range at the 5-, 10-, and15-minute drive times Average number of vehicles ownedwithin a 1/4-mile of the Metra station, compared to 2.0 in all of Elburn and Kane County Mortgage [2015-19] Householder Occupancy Vehicle Ownership Owner vs Renter-Occupied Units [2021] Median rent in Elburn which is significantly higher than KaneCounty ($969) but slightly higher than thecomparative market areas (radii and drivetimes from Metra station) Rent [2015-19] Rental Unit OccupancyAs the data on the right shows, the Elburn transit rider takes substantially less transit trips and spends less on transit each year, compared to the average rider on the Metra UP-W Line and across the Chicago region. In addition, the level of transit ridership as a percentage of workers in Elburn (3%) is much less than the UP-W Line and Chicago region, although Elburn is consistent with other Metra UP-W stations (outside of Cook County).
Looking at average weekday boardings, Metra ridership originating from Elburn reached a high of 345 riders since the station opened in 2006; in the opposite direction, the number of riders coming to Elburn peaked at 343. A vast majority of Metra riders access the station via car (e.g., drove alone, dropped off, carpool, or taxi), with very few arriving on foot or by bike.
Ridership has declined since the pandemic. However, transforming the Elburn Station Area into a TOD with multimodal access and a balanced mix of uses will create a built environment that makes accessing the Metra station safe and comfortable, which could boost ridership. This may also spark the potential to extend Pace bus service or other transit options to Elburn to complement Metra.
Increased ridership would presumably increase the utilization of Metra parking, which has averaged 201 parking spaces used daily (36.9% utilization rate), even after the number of spaces increased from the initial 294 in 2008 to 592 today.
With a downtown area surrounded by its historic residential core and located in close proximity to its Metra station, Elburn has prided itself as a compact, walkable community with a small town charm. As the Village has grown with development gravitating towards IL Route 38 to the north and south of Keslinger Road, Elburn’s walkability has also changed.
One tool to assess the walkability of a community is Walk Score, which is a web-based scoring platform that provides scores for how accessible an area is to pedestrian, biking, and transit facilities. Elburn’s Walk and Bike Scores are lower than the median scores for communities along the Metra UP-W Line (excluding Ogilvie Station in Chicago).
As the 2020 Comprehensive Plan attests, one of Elburn’s growth strategies is to create walkable neighborhoods “fostered by mixing land uses, building compactly, and creating an inviting pedestrian realm.” Building up the Elburn Station Area into a TOD is an optimal way to achieve this. This will enable Elburn to boost its Walk, Bike, and Transit Scores to be more in line with other TODs along the Metra UP-W Line.
Building up the Elburn TOD includes enhancing access and mobility for pedestrians and bicyclists, constructing new trails, and filling gaps in the sidewalk network, which can be found at various points in the Study Area and identified by CMAP’s Sidewalk Inventory.
Walk and Bike Scores are measures of walkability and bikeability of an area with a scale from 0 to 100. The general scoring methodology centers around the analysis of hundreds of walking/biking routes to nearby amenities, with points based on the distance to amenities in various categories. Scores also consider pedestrian/bike friendliness by assessing population density, block length, intersection density, and other road metrics.
Transit Scores are also available but the data is incomplete to provide areliable assessment of Elburn.
The typical bicyclist and pedestrian in Elburn is served by constrained but improving infrastructure that provides for greater access and mobility around the Village, including downtown and the Metra station area.Mode Access to Regional trails accessible from theElburn Metra Station Area Trails Accessibility Bike Parking
The typical commuter in Elburn primarily drives to access a range of opportunities for jobs, education, recreation, health, social activities, etc. This dependency on the car contributes to substantial transportation costs.
A vast majority of commuters travel by car, whether driving alone, carpooling, or getting dropped off. While public transit use is low at only 3.5%, it is higher than Kane County. However, Elburn lags behind Kane County in terms of biking or walking as a means of commuting.
The typical Elburn commuter has more autos per household, greater annual VMT per household, and higher transportation costs in comparison to the rest of the Metra UP-W Line, Kane County, and the Chicago region.
Most Elburn commuters have a travel time of 15 to 29 minutes, with 45+ minutes being the second most common travel time among commuters. The average travel time for an Elburn commuter is 32.5 minutes, which is more than 3 minutes longer than the typical Kane County commuter.
Building up the Elburn Station Area as a TOD will help boost walking, biking, and taking transit as viable options for commuters, which will decrease the reliance on cars and transportation costs.
More people in Elburn work from home compared to Kane County. Working from home has likely increased since the start of the pandemic in early 2020. While it is difficult to fully evaluate the long-term nature of the rise of telecommuting, a strong telecommunications network and access to transit are critical to an evolving workforce with varying travel patterns.
Travel by car to work ALONE; CARPOOLED; TAXI]
The Elburn workforce is highly educated and primarily works white collar jobs. However, the workforce has limited access to local jobs, which is exacerbated by moderate access to transit, lengthy commute times, and high transportation costs relating to a substantial dependence on the car.
About two-thirds of Elburn’s population age 25+ has some form of college education, which is much higher than Kane County. The share of Elburn’s workforce that has earned a graduate or professional degree is slightly higher than that of Kane County.
Based on the Center for Neighborhood Technology’s (CNT) Housing and Transportation (H+T) Index, the Elburn workforce has a Job Access Score, AllTransit Performance Score, Compact Neighborhood Score, and Transit Connectivity Index that are each lower than the average community along the Metra UP-W Line but higher than Kane County. However, Elburn’s Transit Access Shed, Jobs Access within a 30-Minute Transit Ride, and Available Transit Trips per Week are all lower than both the Metra UP-W Line and Kane County.
Most of Elburn’s comparatively lower H+T Index scores can partly be attributed to being a small town located at the end of a Metra line surrounded by rural portions of Kane County. However, building up the Elburn Station Area as a TOD may help boost jobs and transit access, walkability, and density.
Adding more jobs around the Elburn Station Area may also increase the local daytime population, which benefits local restaurants, shops, and services.
CNT’s H+T Index offers a range of statistics that illustrate the cost burden of housing and transportation expenses placed on a typical household and their access to jobs. See Appendix for explanation of each index category.
The current land use composition of the Primary Study Area has a somewhat dichotomous character. On one end, the northern and western sections are well established with Downtown Elburn, surrounding neighborhoods, and a fairly built out industrial area. On the other end, the southern and eastern sections are presently taking on their own form, including the ongoing build out of the Metra station area, Elburn Station development, and opportunities for additional development that would support TOD.
While the land use patterns on the ground today will help shape how the TOD and development in general will play out within the Study Area, other aspects like underlying zoning, access points, and other assets and limitations will play an integral role. In turn, these will impact on the local housing stock, economic development, multimodal mobility, and transit ridership.
In addition to the summary of land use categories on the following pages, the data on the right highlight how land use impacts household and employment densities which are important indicators for a TOD area.
Coverage: 92.9 acres
% of Total: 11.9%
Zoning1 : R1; R2; B2
Single-family detached homes are the most prevalent form of housing in the Study Area and Elburn as a whole. The neighborhoods that historically built up around Downtown Elburn are primarily characterized by singlefamily detached homes. More dense housing occurs at the outskirts of these neighborhoods and closer to more intensive industrial areas.
The Elburn Station development is starting to introduce more singlefamily options of varying lot sizes near the Metra station, which will provide the rooftops to presumably boost transit ridership and support TOD.
Just as it is shown on the Elburn Station site plan, it will be important to consider integrating single-family homes next to existing neighborhoods to ease the transition to the compact and more intensive mix of uses associated with TODs. This will be of particular importance for the neighborhoods along Kansas Street, which leads directly to the Metra station area, as well as South Street and Oak Drive to the south.
Coverage: 11.6 acres
% of Total: 1.5%
Zoning1 : R4
Single-family attached housing generally takes the form of townhomes and condos in Elburn. There is a major cluster of such uses at the far northern end of the Study Area just south of Willow Street. There is a smaller set of townhomes at the far western side north of Lions Park and close to Downtown Elburn. The Elburn Station site plan also indicates future clusters of townhomes west of Anderson Road, including a set just beyond the 1/2-mile radius of the Metra station.
Attached units enable homebuyers to live in a single-family setting with flexibile elements (e.g., smaller units, shared amenities, small or zero yard space, etc.). They also meet different life stages and financial means of individuals, couples, and families.
It is this diverse resident composition that is an important aspect of building up a TOD, including people who may forego car ownership for ready access to transit and bicycle facilities. This also applies to two-family and multifamily residential options.
Coverage: 0.8 acres
% of Total: 0.1%
Zoning1 : R2
While the R2 zoning district covers a significant portion of the Study Area, particularly around Downtown Elburn, only a small amount of R2-zoned parcels are actually built with twofamily residences (i.e., duplexes). A majority of R2-zoned parcels have been built out with detached singlefamily homes, which are permitted uses in the R2 district.
A duplex approach could be a potential component of creating a diverse housing stock that meets the different needs of residents and supports TOD in the Study Area. Duplexes are considered part of the “missing middle” housing segment that can provide more opportunities for affordable homeownership or rental units, along with triplexes, quadplexes, cottage courts, and other multiplexes.
Single-family homes will likely be the predominant form of housing in the Study Area. However, there should be consideration for duplexes and other multiplexes to meet varying budgets, life stages, and housing needs.
1 Zoning district designations:
RE: Residential Estate
RR: Rural Residence
R1: Single Family Residence
R2: Two Family Residence
R3: Multiple Family Residence
R4: Multiple Family, High Density
MU: Mixed Use
B1: Central Business
B2: General Business
B3: Office/Service
CM: Commercial/Manufacturing
M: Manufacturing A: Agricultural
PRS: Passenger Rail Service
MULTI-FAMILY RESIDENTIAL
Coverage: 3.1 acres
% of Total: 0.4%
Zoning1 : R4
Meadows Apartments, which is an independent senior living facility for age 55+, is one of the only multifamily residential options in and around the Study Area. While there are townhomes and condos in this development, these are categorized as attached single-family homes. Additional multi-family residential units are planned for the Elburn Station development, particularly close to the Metra station. The Elburn Station site plan indicates that other apartment and condo units will be part of future mixed use areas.
Similar to duplexes and multiplexes, multi-family units like apartments and condos should continue to be part of the housing formula to make Elburn’s TOD work. In addition to providing the desired rooftops in a dense area to support businesses, services, and transit, these multi-family options will also help meet varying budgets, life stages, and housing needs.
Coverage: 30.4 acres
% of Total: 3.9%
Zoning1 : R2; B1; B2; B3; CM
Commercial uses are primarily located along the Main Street/IL Route 47 corridor, which runs through Downtown Elburn and is the Village’s primary arterial. Commercial uses range from restaurants, pubs, and small shops to services, offices, and auto-oriented businesses.
Commercial businesses in Downtown Elburn and mixed use areas, such as the under-construction Elburn Station development, are integrated in a compact, dense urban environment, which is critical to building up a TOD. Linkages to adjacent neighborhoods will be important to provide safe and accessible mobility for pedestrians and bicyclists.
Downtown Elburn’s small town character is defined by its mix of commercial uses in standalone buildings and mixed use sites. This should serve as a model for other parts of the Study Area, which will help build up the TOD as a compact, pedestrianfriendly mixed use district.
Coverage: 64.8 acres
% of Total: 8.3%
Zoning1 : CM; M
A variety of offices, research, and industrial (ORI) uses are located within the Study Area, particularly north of the railroad and around the southwestern edges of Downtown Elburn. These employment-generating uses provide jobs to local residents and commuters, whether they arrive by car or train.
The ORI uses north of the railroad are substantial in land coverage but are concentrated in a single area to limit impacts such as truck traffic and incompatibility of adjacent uses.
On the other end, ORI uses around Downtown Elburn are part of the district’s historic fabric, including the evolution of Obscurity Brewing and potential for adaptive reuses.
Employment-generating uses provide the daytime population that is critical to a successful TOD. Workers from offices, research and development facilities, and industrial businesses generally frequent nearby restaurants, businesses, and services located in the TOD and other nearby districts.
Coverage: 33.0 acres
% of Total: 4.2%
Zoning1 : R1; R2; CM; unincorp.
While rooftops, businesses, services, and employment-generating uses are viewed as the backbone of a successful TOD, proximity to community facilities are also a key part of the equation to provide civic and public uses for residents and workers to access on a daily basis. Village Hall, Town & Country Public Library, ElburnCountryside Community Center, and a few churches are located within a 1/2-mile radius of the Metra station. In addition, Kaneland John Stewart Elementary School and Kaneland Blackberry Creek Elementary School are located just outside the Study Area to the north and south, respectively.
Other community facilities, such as schools, churches, and other civic uses, should be considered as the Study Area develops. Such uses could be built as either stand-alone sites or part of mixed use developments, such as a satellite college building or municipal offices mixed with commercial, office, and residential.
Coverage: 86.3 acres
% of Total: 11.1%
Zoning1 : R1; R3; CM
The Study Area is well served by a set of parks in immediate vicinity of the Metra station, including Veterans Memorial Park, Prairie Park, and Byerhof Park to the north and the 23acre Lions Park to the west. Another large park will be the future Elburn Station Community Park, which will cover roughly 21 acres and be built on the southwestern section of the Elburn Station development. The Village has completed the initial phase of development of this park.
The most prominent open space is Elburn Forest Preserve, which is located just outside the Study Area to the west and adjacent to the Village boundary.
As the Study Area develops, additional parks and open space should be a part of that growth to ensure local park acreage meets national standards (generally, 11 acres of park space per 1,000 residents). In addition, an interconnected trail network should be provided to ensure adequate access and mobility for pedestrians and bicyclists.
Coverage: 118.9 acres
% of Total: 15.3%
Zoning1 : R1; R2; R4; B2; MU
Vacant land is divided into two subsets, with the first being properties that are platted for future development but have not been built out yet. All of these properties are part of the Elburn Station development. Once these platted properties get built out, they will increase the amount of residential and commercial uses. These new uses will have the ability to support transit and the overall TOD, as illustrated in the site plan for Elburn Station.
Coverage: 174.7 acres
% of Total: 22.4%
Zoning1 : R1; R4; B2; CM; Unincorp.
The other subset of vacant land is undeveloped properties that haven’t been platted for future development, in the same way that Elburn Station has. These undeveloped vacant properties are scattered across the Study Area with site areas ranging as high as 32.9 acres. The larger vacant sites hold the potential for new development that could support TOD and build up existing neighborhoods. More than a half dozen of the vacant sites are Village-owned properties.
Coverage: 106.2 acres
% of Total: 13.6%
Zoning1 : R1; unincorporated
A portion of the southern end of the Study Area, generally south of the Metra station and west of the Elburn Station development, is comprised of agricultural land. This land is still actively farmed. Beyond the Study Area, agricultural uses are most prevalent north of the railroad and east of Anderson Road. Current agricultural land may be available for development to support the TOD, depending on the intentions of property owners.
Coverage: 56.7 acres
% of Total: 7.3%
Zoning1 : PRS
Rail uses are concentrated along the Union Pacific Railroad, including the Metra station and commuter parking areas. The Metra rail yard at Anderson Road is also in this area. In terms of land development, future growth should have minimal impact on rail properties.
A significant portion of the Study Area is well established, including historic Downtown Elburn, surrounding neighborhoods, the industrial area north of the railroad, and the IL Route 47 corridor. Infill redevelopment, such as the expanded shop spacefor Ream’s Meat Market on the south end of Main Street (IL-47), helps to concentrate new uses in already established areas. The same goes for adaptive reuses, like Obscurity Brewing and Sadie’s On Main, that breathe renewed life into existing, often historic structures and advance sustainable development practices -“the greenest building is the one that already exists.”
The rest of the Study Area, particularly along Anderson Road and south of the railroad, is in the midst of an evolving phase. As highlighted in the map below, major developments like Elburn Station and Blackberry Creek are building up Elburn’s southern growth area, including the immediate Metra station area. Vacant and under-utilized sites provide opportunities for additional development, including greenfield development, site redevelopment, or adaptive reuse.
The impacts of these developments on housing, economic development, community facilities, utilities, and access and mobility will play an integral role in building up a TOD district around the station area. In addition, they will help diversify the Village’s housing stock, provide access to a strong workforce, enhance the local economy, and increase the availability of jobs, goods, and services to local residents, workers, and visitors.
ELBURN STATION planned community with residential, commercial, and recreational uses total acres residential lots total square feet of commercial space recreational facilities, open space from furthest home to station
BLACKBERRY CREEK planned community residential, civic/public, uses total acres residential lots elementary school with facilities municipal water tower
The following transportation data provides an overview of the network connectivity in the Study Area, including how motorists, pedestrians, and bicyclists access the Metra station area. This connectivity analysis provides a baseline of information to guide the formulation of access and mobility strategies.
The breakdown of how people are accessing the Metra Station is similar to how Elburn residents commute to work. Over 90% of Metra riders drive or are driven to the station.
Being the end of the line, the Elburn Station draws riders from DeKalb –a half hour drive away –or even further, and is likely to continue to see a large share of people driving to access the station. One shuttle service is available from DeKalb to Elburn.
Enhancing walking/biking accessibility is important for people taking the train to Elburn and who must walk to their final destination. Visitors and residents alike would benefit from a more connected and safer walking/biking network.
Currently, vehicle access to the Metra Station is limited only to Anderson Road. This limits accessibility of the station and puts strain on one entrance/exit at peak times. With new development, there is an opportunity to add connections between the existing boundary streets of Main, Keslinger, and Anderson to create better access to the Metra Station and a more walkable environment overall.
People walking and biking can access the station via Kansas, however, the road is blocked for vehicles, which may confuse riders.
The street pattern and pedestrian network can significantly impactthe areas accessible by walking (the walkshed). While the ½-mile TOD Accessible Area demonstrates the theoretical distance one could travel on-foot, the blue shaded areas are those that one can currently reach in a 10-15 min. walk.
The station’s walkshed highlights opportunities for creating walkable neighborhoods between Main Street (IL-47) and Anderson Road and establishing more connections to those corridors.
Existing Access Point
Planned Access Point
Potential Future Access Point
At-grade Rail Crossing
Grade-separated Rail Crossing
1/2-Mile TOD Accessible Area 10-Minute Walk (~1/2 mile) 15-Minute Walk 20-Minute Walk
Beyond the station area, a walkable community helps to support transit-oriented development.
Having a dense, connected street grid minimizes distances between destinations and supports walkability.
Street connectivity surrounding the station is at or below the minimum to create a walkable community.
Main Street (IL-47) south of the tracks is more accessible to the Metra Station; however, the pedestrian environment and land uses along the northern segment of Main Street are more conducive to walking.
Opportunities to improve walkability include:
•Continuous sidewalks
•Curb extensions to shorten crossing distances
•Minimizing parking lot frontage
•Additional crossing treatments at key locations
Connectivity Index is a measure of street connectivity from the ITE Designing Walkable Urban Thoroughfares guidelines. It is calculated by dividing the roadway segments in an area by the intersections. 2.4: Community Walkability
Many of the local streets in Elburn are comfortable for biking; however the low street connectivity creates indirect routes that extend a trip.
Shared use paths along Anderson Road and a portion of Keslinger Road create a good foundation to continue to build out a bike network.
Metra Station
Main Street saw 18 crashes over the 5-year period. None of these involved people walking or biking.
• Failing to Reduce Speed to Avoid Crash
• Operating Vehicle in Reckless Manner
1/2-Mile TOD Accessible Area Crash Incident
Crashes causing injury were concentrated in a few areas. The most severe crashes occurring at Main and Route 38.
Metra Station
1/2-Mile TOD Accessible Area Site of Injury
Drivers wishing to travel north-south across the train tracks(or vice versa) have three rail crossing options at Main Street, 1st Street, and Anderson Road.
Major streets around the train station are significantly under capacity and can accommodate additional traffic without expansion. In addition, the Anderson Road bridge was built with ability to expand to four lanes and thus could accommodate significantly more traffic in the future.
Significant freight traffic causes delays and congestion along Main Street. The grade-separated crossing at Anderson Road offers an alternative.
Over the past four decades, communities west of Chicago have continued to expand and develop. Elburn has steadily grown to become home to more people seeking the peace and community of a small town that is close to amenities. Elburn is also home to renowned businesses, such as Ream’s Meat Market and growing regional businesses like Obscurity Brewing. Elburn’s location provides residents with the best of both worlds– a great place to raise their families and excellent transportation connections which makes pursuing employment opportunities convenient. The historic downtown runs along IL-47 and includes a number of local businesses, restaurants, bars, a community event space, and other shops.
Now that the Fox River communities and suburban areas east of Elburn are largely developed, demand for housing, industrial and commercial space in and around the Village is likely to continue to increase. These trends are already recognizable given population growth, new interest in industrial space and available industrially zoned land, and a variety of housing types – from older, renovated single-family homes to a wide variety of new product being developed near the Elburn Metra Station.
Elburn’s population grew slowly between 1950 and 1990, then more than doubled between 1990 and 2020, from 2,751 to 6,175 (124% increase).
Elburn attracts residents looking for affordable homes in a small town and family-friendly area that offers Metra service to Downtown Chicago (Ogilvie Station), strong transportation access, and access to a more rural environment with benefits of suburban amenities.
A 15-Minute (drive time) Trade Area (shown in Figure 2.10) was developed to compare demographic and economic trends in the Village compared with a larger trade area. The 15-Minute Trade Area encompasses the area as far west as Kane/Dekalb County Line, north to Burlington Road, nearly to the Fox River in the east and US Highway 30 in Sugar Grove to the south.
As shown in Figure 2.10, the Trade Area grew 52% in population from 2000 to 2020. Kane County grew by 34% during the same period, showing that Elburn and the Trade Area are experiencing growth more acutely than the rest of the county, even though all three areas are experiencing rapid growth compared to the seven-county regionwhich grew by 5.3% (CMAP Community Data Snapshot August 2021).
As shown in Table 2, the Trade Area grew 52% in population from 2000 to County grew by 34% during the same period, showing that Elburn and the Trade experiencing more acutely than the rest of the county, even though all three areas are experiencing compared to the seven county region which grew by 5.3% (CMAP August 2021).
Figure 2.10: Comparison U.S. Census Bureau, 2010 2020 Change, 1970 1980
Figure 2.9: CONNECTS: Study Village
Figure 2.11 shows the racial and ethnic composition of Elburn and the 15 Minute Trade Area. In Elburn, White Alone makes up 89% of the population. Hispanic or Latino of Any Race follows as the second largest group with 8%. Two or More Races comprise 7%, while about 2% identify as Asian Alone and 2% as Some Other Race Alone. (Note that Hispanic Origin of any race is tabulated separately as the Census asks whether the respondent is Hispanic or Latino separately from race).
The Trade Area shows that a slightly lower proportion of the population identify as White Alone, with 90%. Hispanic Origin of Any Race represents half that of the Village at 8% of the population, followed by Asian Alone at 3% and Some Other Race Alone and Two or More Races each with 2%.
In terms of language, English is the most prevalent with 90% in the Village and 91% in the Trade Area. The percentage of people who speak Spanish at home is 6% in Elburn and 5% in the Trade Area, as shown in Figure 2.11.
Elburn Trade Area
Elburn and the surrounding trade area are highly educated communities. In fact, nearly half of adults age 25+ have bachelor’s (30%) or a graduate or professional degree (13%). Only 2% of adults do not have a high school degree. In the Trade Area, 34% have a bachelor’s degree while 21% have a graduate and professional degree. This is higher than the 21% of Kane County residents with a bachelor’s degree and 15% of adults who do not have a high school degree. Figure 2.12 compares educational attainment of residents in Elburn and the trade area.
Elburn Trade Area
Less than 12th Grade
High School Graduate or GED/Alt.
Some College, No Degree
Associate Degree
Bachelor’s Degree
Graduate/Professional Degree Total 80 699 1,086 425 1,224 545 4,059 2% 17% 27% 10% 30% 13% 100% 1,474 7,283 9,286 3,674 16,696 10,125 48,538 3% 15% 19% 8% 34% 21% 100% Kane County 53,281 78,727 73,311 26,071 73,838 40,845 346,073 15% 23% 21% 8% 21% 12% 100%
The largest share of Elburn residents (19%) work in finance and insurance services. Education and health care are second at 17%. Fifteen percent work in manufacturing. Wholesale trade; professional, scientific, management, and waste services; and construction employees comprise 8%, 8%, and 7% of the Village’s workforce, respectively. These employment numbers demonstrate the close connection between Elburn and the Chicago-area labor shed, with high levels of highly educated residents working in fields such as finance, insurance, and real estate. Nearly as high are the fields of education, health care, and social assistance, which would include the growing health care sector in today’s economy.
Elburn residents work throughout Northeastern Illinois with the largest share being employed inChicago, at 374 workers (12%). Many travel to nearby municipalities such as Geneva (217, 7%), St. Charles (175, 6%), and Aurora (148, 5%). Roughly a third of all residents commute less than 10 miles, whereas 38% commute 25 miles to reach their workplace. For workers heading into Chicago for work, transportation options include the Union Pacific West Metra Line, which takes on average 1 hour and 10 minutes to reach Ogilvie Station or by close access to I-88. Figure 2.13 shows the distance and direction in which residents are seen traveling for employment, which is generally in an eastern direction.
The median household income in Elburn is $110,358 compared with $75,379 in the Chicago- Naperville-Elgin MSA. The largest share of householdsare in the income range of $100,000 to $149,000 followed by householdsearning more than $200,000, and then those earning between $75,000and $99,000. The 15-Minute Trade Area has a median income of $113,764 and shows the largest share of income earners are also between $100,000– $149,000, followed by $200,000 and above. These high income levels can drive both housing and retail demand.
Household Income, 2020
Less than $15,000 $15,000 to $24,000 $25,000 to $34,000 $35,000 to $49,000 $50,000 to $74,000 $75,000 to $99,000 $100,000 to $149,000 $150,000 to $199,000 $200,000+ Household
Elburn Trade County
T 5% Batavia 4% 3% 3% 3% 2%
All
T
Similarly, employees who work in Elburn live in a wide assortment of communities principally east of Elburn, but also including larger communities such as DeKalb, Elgin and North Aurora.. The largest proportion of workers live in Aurora (67), Campton Hills (61), Elburn (58), and DeKalb (54). Elburn employees also live in Elgin, North Aurora, Geneva, St. Charles, Sycamore, and Chicago.
Figure Elgin North Aurora Geneva St. Charles Sycamore Chicago
Figure 2.16 shows the number of building permits approved in the Village of Elburn between 2010 and 2018. Permits for residential development rose between 2013 and 2020 whereas commercial permits have been limited to date. Total permits include new construction permits and permits for improvements on existing properties.
Source: Village
Source: Village of Elburn
ELBURN CONNECTS: Market Study | Village of Elburn Village of Elburn
Elburn has seen a steady increase in for sale home values since 2013, and despite a short-term dip in prices between 2019 and 2021 (attributable to COVID-19 market conditions) for-sale prices have continued to increase, as shown in Figure 2.17A. The average homevalue in Elburn in 2021 was $340,000 according to Zillow.com. Figure 2.17B shows how housing values compare between Elburn and Kane County, indicating parallel trends, though homes in Elburn haveconsistently been valued around $50,000 higher. Figure 2.18A breaks down for-sale homes by price range, showing the largest share, 29%,fall within the $300,000 and $399,000 range. The second largesthome value range is 22% of homes between $250,000 to $299,000.
Elburn has seen a steady increase in for sale home values since 2013, and despite a short-term dip in prices between 2019 and 2021 (attributable to COVID 19 market conditions) for-sale prices have continued to increase, as shown in Figure 8 The average home value in Elburn is $340,000 according to Zillow.com
Renter-occupied units comprise 16% of all occupied housing units in Elburn. Review of major rental advertisement websites, including Zillow.com, Apartments.com and Realtor.com evidence that rental properties and their availability in Elburn is very limited. This creates a tight rental market and high rent levels. Elburn has a gross median rentof approximately $1,423. The most prevalent monthly rent in Elburn is between $1,250 and $1,499 as shown in Figure 2.18B with 28% of marketshare followed by between $1,000 and $1,249 (27% of the market share) and $1,500 to $1,999 (26% of the market share).
$150k - $199k $200k - $249k $250k - $299k $300k - $399k $400k - $499k $500k - $749k $750k - $999k $1,000,000 +
$0 - $149k
Source: ESRI 2021, U.S. Census Bureau
Renter occupied units comprise 16% of all occupied housing units. Review of advertisement websites, including Zillow.com, Apartments.com and Realtor.com evidence rental properties and their availability in Elburn is very limited. This creates a tight rental and high rent levels. Elburn has a gross median rent of approximately $1,423 The most monthly rent in Elburn is between $1,250 and $1,499 as shown in Figure 2.15 with 28 share followed by between $1,000 and $1,249 (27% of the market share) and $1,500 to of the market share)
Source: ESRI 2021, U.S. Census Bureau
Figure 9 shows how housing values compare between Elburn and Kane County, indicating parallel trends, though homes in Elburn have consistently been valued around $50,000 higher. Figure 10 breaks down for-sale homes by price range, showing the largest share, 29%, fall within the $300,000 and $399,000 range. The second largest home value range is 22% of homes between $250,000 to $299,000.
Source: Zillow Sept 2021
Figure 9 shows how housing values compare between Elburn and Kane County, indicating parallel trends, though homes in Elburn have consistently been valued around $50,000 higher. Figure 10 Zillow Home Market accessed Sept 15, 2021
Figure 2.18B: - $2,499 $2,500 - $2,999 - $3,499
County, indicating parallel trends, though homes in Elburn have consistently been valued around $50,000 higher. Figure 10 breaks down for-sale homes by price range, showing the largest share, 29%, fall within the $300,000 and $399,000 range. The second largest home value range is 22% of homes between $250,000 to $299,000.
Source: ESRI 2021, U.S. Census Bureau
Renter occupied units comprise 16% of all occupied housing units. Review of major rental advertisement websites, including Zillow.com, Apartments.com and Realtor.com evidence that rental properties and their availability in Elburn is very limited. This creates a tight rental market and high rent levels. Elburn has a gross median rent of approximately $1,423 The most prevalent monthly rent in Elburn is between $1,250 and $1,499 as shown in Figure 2.15 with 28% of market share followed by between $1,000 and $1,249 (27% of the market and $1,500 to $1,999 (26% of the
Renter occupied units comprise 16% of all occupied housing units. Review of advertisement websites, including Zillow.com, Apartments.com and Realtor.com evidence rental properties and their availability in Elburn is very limited. This creates a tight rental and high rent levels. Elburn has a gross median rent of approximately $1,423 The most monthly rent in Elburn is between $1,250 and $1,499 as shown in Figure 2.15 with 28 share followed by between $1,000 and $1,249 (27% of the market share) and $1,500 to of the market share) - $149k$250k$300k$400k$500k - $749k $750k$1,000,000 +
RENTAL HOUSING VALUES
Home Values, Elburn & 15-Minute Trade Area, Monthly Rent,The U.S. Department of Housing and Urban Development (HUD) defines households paying over 30% of their income for housing and utilities as cost burdened. Compared to the region, a smaller share of Elburn homeowners are cost burdened, with 21% of homeowners spending at least 30% of their income on housing. Four percent of homeowners with a mortgage have veryhigh-cost burden (over 50% of their income towards housing expenses).
On the other hand, the same share (21%) of homeowners without a mortgage have cost burden, but 13% have high cost burden. These are households that most likely have paid off their homes, though still may have housing expenses related to maintenance, insurance, HOA fees, etc. and may be retired and living on a more limited income. Thehigher rate (13%) is still a relatively low proportion.
Of greater concern is the rate of cost burden among renters (Figure 2.19). Of the approximately 272 households that rent, 29% spend more than 50% of their income on housing costs compared to 17% in the 15-minute trade area. Both for sale and rental housing types in Elburn are primarily single-family homes, which rent for higher rates than apartments. This is another indicator of demand for high-quality rental units.
In 2011, the Village approved a residentialdevelopment plan (‘Elburn Station’ by Shodeen Group) for the area surrounding the Elburn Metra Station and along Anderson Road between IL- 38 and Keslinger Road. The plan includes mixed-use residential/commercial development planned closest to the Metra station and single-family homes, townhomes, and multifamily apartments. Homes range between 1,800 and 2,400 square feet on lot sizes ranging from 50 feet to 80 feet wide. The expected sales prices of newly constructedhomes are between $300,000 and $400,000. Development of single-family residences on a range of lot sizes west of Anderson, south of the railroad has already begun, but site prep for the majority of the area has not begun.
The Elburn Station residential development plan includes property south of the Metra Station (Zone A) and property south ofRoute 38 (Zone B). In each there are a mixture of housing types, including singlefamily, townhomes, and multi-family.
Planned adjacent the Metra station is a mixed-use commercial area which would include residential units. The graphic below provides descriptions of the housing types.
In total, the development would add 2,275 residential units. Thirty-one percent (35%) would be single- family, 4% townhomes, 29% multifamily units, and 31% in mixed use areas.
As part of the Elburn Station development plan, only units within Zone A have been developed to date. Those units include 30 ft-wide alley lots, and 50 ft and 60 ft-wide single-family units. The 30 ft-wide alley lotssell for the low $300,000s but are being absorbed at a markedly slower pace compared to the 50 ft and 60 ft-wide standard lots which are almost sold out. The 50 – 60 ft wide lots tend to be ranch home styles, with two (2) stories and sell for $300,000 to $400,000.
The next phase of single-family units planned for development are located in the northeast quadrant at Anderson and Keslinger. Units will range from 60 to 80 ft wide lots, similar to Blackberry Creek units.
There are currently no townhomes built out but Shodeen does anticipate starting construction in Spring 2022. For sale townhome units will range from the mid$200,000s to low $300,000s. Comparable townhome products are the 7th Street townhomes in Geneva and those in Mill Creek.
Multi-family units have not yet been developed. Buildings will be a mixture of two and three stories and will be walk up units. Units near the Metra station are anticipated torent for $1.65 -$1.75 per square foot.
• Single-Family Alley: total of 126 units planned on 10.6 acres. Lots range from 30 ft to 40 ft wide.
• Single-Family Standard: total of 677 units planned on 127.5 acres. Units range from 50 ft to 80 ft wide lots. Units range from 1,800 to 2,400 sq ft and 50 and 60 ft wide lots generally have smaller yards.
• Townhomes: total of 102 units planned on 12.7 acres (8 units/acre).
• Multi-family: total of 660 units planed across 38.8 acres (17 units/acre)
• Mixed-use Commercial: total of 710 units planned across 17.75 acres (40 units/acre)
FigureRecent sales data indicate that comparable properties in these areassold for $300,000 to $400,000 (2018 – 2021). The vast majority of homes have 3-bedrooms and are singlefamily residences. The median sales price for a 3-bedroom single-family home was $305,000 and the average sales price for a 3-bedroomtownhome/condo was $292,000. In Elburn and the surrounding area, there are very few homes pricedhigher than $500,000 (Figure 2.20).
As Figure 2.20 shows, among the 150+ comparable properties surveyed in surrounding communities, price per square footfor homes which sold for $300,000 to $400,000 ranged from $100 to$200.
Comparable products in the market area are Mill Creek on the far west side of Geneva, downtown Geneva, Campton Hills, and Pingree Grove. Similar product types can be found in communities further north and south, but transportation routes and community character differ strongly between those places and Elburn.
Descriptions of comparable developments in these communities includes the following developments and submarkets described below, with additional data on each development provided in the Appendix.
quadrant at Anderson and Keslinger. Units will range from 60 to 80 ft wide lots, Blackberry Creek units.
The next phase of single family units planned for development are located in the northeast quadrant at Anderson and Keslinger. Units will range from 60 to 80 ft wide lots, similar to Blackberry Creek units.
Recent sales data indicate that recent sales of comparable properties in these areas sold for $300,000 to $400,000 (2018 – 2021). The vast majority of homes have 3-bedrooms and are single family residences. The average sales price for a 3-bedroom single family home was $340,858 and the average sales price for a 3-bedroom townhome was $271,043 In Elburn and the surrounding area, there are very few homes priced higher than $500,000 (Figure 12). i u 12 T (201
There are currently no townhomes built out but Shodeen does anticipate starting construction in Spring 2022. For sale townhome units will range from the mid $200,000s to low $300,000s. Comparable townhome developments are the 7th Street townhomes in Geneva and those in Mill Creek.
There are currently no townhomes built out but Shodeen does anticipate starting construction in Spring 2022. For sale townhome units will range from the mid $200,000s to low $300,000s. Comparable townhome developments are the 7th Street townhomes in Geneva and those in Mill Creek.
Findings: Comparable Development
Review of comparable development products and locations finds that the types of units and price points proposed in Elburn reflect market demand and pricing. Units of all kinds near Metra stations sold at much higher prices in recent years. These units generally sold formore than $200 per square foot. In locations without a station in walking distance, such as Campton Hills, homes tend to be larger (over 2,000 sf) and sell for much higher prices.
Multi family units have not yet been developed Buildings will be a mixture of two and three stories and will be walk up units. Units near the Metra station are anticipated to rent for $1.65 -
Multi family units have not yet been developed Buildings will be a mixture of two and three stories and will be walk up units. Units near the Metra station are anticipated to rent for $1.65$1.75 per square foot.
• Blackberry Creek, Elburn
• Mill Creek, Geneva
• Downtown Geneva
• Pingree Grove
• Campton Hills
properties in these areas sold for bedrooms and are single family home was $340,858 n Elburn and the (Figure 12).
Recent sales data indicate that recent sales of comparable properties in these areas sold for $300,000 to $400,000 (2018 – 2021). The vast majority of homes have 3-bedrooms and are single family residences. The average sales price for a 3-bedroom single family home was $340,858 and the average sales price for a 3-bedroom townhome was $271,043 In Elburn and the surrounding area, there are very few homes priced higher than $500,000 (Figure 12).
In locations without a station where homes are smaller (1,500 – 2,000 sf), sales prices are also lower and more in line with Elburn. Townhomes tend to follow the same trend, though they are priced much lower than single-family homes in all communities.
Source: Zillow.com
Shodeen Group has built several apartment developments in Geneva, including Dodson Place which is located in Downtown Geneva within walking distance of the Metra station. Rents at Dodson Place are likely higher than what units would typically rent for in Elburn, however, given the limited existing availability of rental units in Elburn, it is possible that demand for rental units in Elburn will be similar to that of Geneva when Elburn Station is more built out.
Source: Zillow.com
Downtown Elburn is the primary retail location locally 38/Lincoln Highway and IL 47/Main Street Walgreens, and several restaurants storefronts and commercial properties are largely occupied, investments in the revitalization of existing buildings, preserving
the primary retail location locally 38/Lincoln Highway and IL 47/Main Street Walgreens, and several restaurants storefronts and commercial properties are largely occupied, investments in the revitalization of existing buildings, preserving The trade area includes a wide array of businesses, with which carries a significant However, retail development compared to that which has developed in and around likely due to the fact that the ADT is hovering around 9,000 require at least 20,000.
ELBURN CONNECTS: Market Study | Village of Elburn 19
The trade area includes a wide array of businesses, with which carries a significant However, retail development compared to that which has developed in and around likely due to the fact that the ADT is hovering around 9,000 require at least 20,000.
The mixed use area planned adjacent the Metra station in demand and limited visibility. Until additional residential Elburn Station development, demand for retail, services, remain extremely limited. Until that time, these uses are
The mixed use area planned adjacent the Metra station in demand and limited visibility. Until additional residential Elburn Station development, demand for retail, services, remain extremely limited. Until that time, these uses are
Source: Zillow.com
Fig e 1 5, 2
Fig e 1 : aily Traf f ic Counts, as of Oct., 5, 20
Downtown Elburn is the primary local retail location for businesses. Surrounding the intersection of IL-38/Lincoln Highway and IL-47/Main Street is newer commercial development, including a Jewel-Osco, Walgreens, and several restaurants and retail stores. Downtown Elburn storefronts and commercial properties are largely occupied, however, and there have been investments in the revitalization of existing buildings, preserving Elburn’s history.
The trade area includes a wide array of businesses, with most clustered east or west of Elburn. IL- 47 is a major north-south connector which carries a significant amount of traffic in the region (see Figure 2.21) and through Elburn. However, retail development along IL-47 is still minimal compared to that which has developed in and around Dekalb, St. Charles and Geneva. This is likely due to the fact that the ADT is hovering around 9,000 whereas large format retailers tend to require at least 20,000.
Source: IDOT; counts as of October 5, 2021
Comparable products in the market area are Mill Creek on the far west side of Geneva, downtown Similar product types can be found in communities further north and south, but transportation routes and community character differ strongly between those communities and Elburn.
Descriptions of comparable developments in these developments and submarkets described below Blackberry Creek, Elburn Mill Creek, Geneva Downtown Pingree Grove Campton Hills
The mixed-use area planned adjacent the Metra station in Elburn will face the challenge of limited demand and limited visibility. Until additional residential units are built and occupied in the Elburn Station development, demand for retail, services, and restaurants in this new location will remain extremely limited. Until that time, these uses are better concentrated along IL-47.
Home Sales Price Trend, 2018-2021 ELBURN CONNECTS: Market Study | Village of Elburn 19 Price Comparable Residential DevelopmentsThe tables in Figure 2.22 show the “retail opportunity gap” of $33 million for Elburn, representing the amount of money that Elburn residents spend outside of the community. The categories in green are retail gaps, meaning demand is greater than current supply. Retail surpluses (when supply is greater than demand) are shown in red. The top retail gaps are shown in the top table, indicating categories in which residents have to leave Elburn to do their shopping or eating.
Tables 26 and 27 show the “retail opportunity gap” of $33 million for Elburn, meaning there is far more demand than supply. The categories in green are retail gaps, meaning demand is greater than current supply. Retail surpluses (when supply is greater than demand) are shown in red. The top retail gaps are shown in Table 26, indicating categories in which residents have to leave Elburn to do their shopping or eating.
The bottom table shows the retail demand and supply composition in Elburn. Overall, there is an outflow of spending power occurring in almost every retail type. Most of the revenue loss isconcentrated in General Merchandise Stores ($14.8M) and Motor Vehicle & Parts Dealers ($9.6M) categories. In terms of total retail and food/drink, ($33.2M) is “leaving” Elburn each year. Note that there are retail surpluses in only four categories – Electronics & Appliance Stores, Building Materials, Garden Equipment & Supply Stores, Food & Beverage Stores, and Drinking Places – Alcoholic Beverages.
ESRI Tapestry Segments can provide additional insight into market indicators and retail shopping characteristics of local households. Elburn households are primarily comprised of the following three market segments. These Tapestry Segments are summarized in the Appendix.
General Merchandise Stores $14,835,753
Motor Vehicle & Parts Dealers $9,676,944
Food Services & Drinking Places $5,365,282
Clothing & Clothing Accessories Stores $5,067,792
Source: Esri 2021 Demographics, 2018 Retail Market Place
Source: Esri 2021 Demographics, 2018 Retail Market Place
Motor Vehicle & Parts Dealers
$18,670,393 $8,993,449 $9,676,944
Furniture & Home Furnishings Stores $3,080,718 $861,404 $2,219,314
The table below shows the retail demand and supply composition in Elburn. Overall, there is an outflow of spending power occurring in almost every retail type. Most of the revenue loss is concentrated in General Merchandise Stores ($14.8M) and Motor Vehicle & Parts Dealers ($9.6M) categories. In terms of total retail and food/drink, ($33.2M) is “leaving” Elburn each year. Note that there are retail surpluses in only four categories – Electronics & Appliance Stores, Building Materials, Garden Equipment & Supply Stores, Food & Beverage Stores, and Drinking Places –Alcoholic Beverages.
Electronics & Appliance Stores $3,529,829 $4,468,306 $938,477
Bldg Materials, Garden Equip. & Supply Stores $6,441,275 $12,883,496 $6,442,221
Food & Beverage Stores $14,567,776 $22,903,258 $8,335,482
Health & Personal Care Stores $5,735,342 $4,374,054 $1,361,288
Gasoline Stations $9,153,091 $4,628,635 $4,524,456
Clothing & Clothing Accessories Stores $5,067,792 $0 $5,067,792
Jewelry, Luggage & Leather Goods Stores $940,284 $0 $940,284
Sporting Goods, Hobby, Book & Music Stores $2,435,416 $914,023 $1,521,393
General Merchandise Stores $15,613,542 $777,789 $14,835,753
Miscellaneous Store Retailers $3,177,393 $1,191,945 $1,985,448
Florists $218,899 $0 $218,899
Office Supplies, Stationery & Gift Stores $593,308 $45,016 $548,292
Used Merchandise Stores $322,336 $0 $322,336
Other Miscellaneous Store Retailers $2,042,850 $1,146,929 $895,921
ELBURN CONNECTS: Market Study | Village of Elburn 33
Food Services & Drinking Places $10,310,592 $4,945,310 $5,365,282
Special Food Services $253,297 $0 $253,297
Drinking Places - Alcoholic Beverages $334,288 $1,241,486 $907,198
Restaurants/Other Eating Places $9,723,007 $3,703,824 $6,019,183
Source: Esri 2021 Demographics, 2018 Retail Market Place
The picture is quite different in the Trade Area. There is a large retail surplus of $95 million for the Trade Area, but there are several categories of retail gaps as shown in Table 28, especially for motor vehicle & parts dealers, gas stations, health & personal care, and food services & drinking places. Of these categories, food services & drinking places is the most promising to attract in Elburn and would build off existing momentum of new businesses in the downtown
The picture is quite different in the Trade Area. There is a large retail surplus of $95 million for the Trade Area, but there are several categories of retail gaps as shown in the tables in Figure 2.23, especially for motor vehicle & parts dealers, gas stations, health & personal care, and food services & drinking places. Of these categories, food services & drinking places is the most promising to attract in Elburn and would build off existing momentum of new businesses in the downtown.
In addition, there are certain categories of retail surpluses in the Trade Area including general merchandise ($100.9M), food & beverage stores ($97.2M), sporting goods, hobby, book & music stores ($24.3M) and furniture & home furnishings stores ($12.5M) in which Elburn could capture a larger portion The Trade Area includes areas along multiple regional transportation routes (IL-38, IL-47, IL-64, I 88) where commercial retail uses have concentrated development. These businesses intentionally cater to the larger region. The large retail surplus in the Trade Area generally makes it more challenging to attract additional retail to Elburn, but the right retailer with the right service could capture a larger share from driving to other areas to do their shopping or eating.
In addition, there are certain categories of retail surpluses in the Trade Area including general merchandise($100.9M), food & beverage stores ($97.2M), sporting goods, hobby, book & music stores ($24.3M) andfurniture & home furnishings stores ($12.5M) in which Elburn could capture a larger portion. The Trade Area includes areas along multiple regional transportation routes (IL-38, IL-47, IL-64, I-88) where commercial retail uses have concentrated development. These businesses intentionally cater to the larger region. The large retail surplus in the Trade Area generally makes it more challenging to attract additional retail to Elburn, but the right retailer with the right service could capture a larger share from driving to other areas to do their shopping or eating. The bottom table provides greater detail by retail category, with the categories in green shown as retail gaps and those in red as retail surpluses.
Table 29 provides greater detail by retail category, with the categories in green shown as retail gaps and those in red as retail surpluses.
Motor Dealers $276,831,577 $107,835,119 $168,996,458
Furniture & Home Furnishings Stores $45,785,730 $58,369,482 $12,583,752
Electronics & Appliance Stores $51,904,962 $36,191,860 $15,713,102
Bldg Materials, Garden Equip. & Supply Stores $97,258,655 $100,297,180 $3,038,525
Food & Beverage Stores
$213,617,243 $310,906,727 $97,289,484
Health & Personal Care Stores $85,150,762 $53,246,587 $31,904,175
Gasoline Stations $133,034,256 $58,974,390 $74,059,866
Clothing & Clothing Accessories Stores $75,103,627 $99,481,925 $24,378,298
Jewelry, Luggage & Leather Goods Stores $14,153,328 $4,898,688 $9,254,640
Sporting Goods, Hobby, Book & Music Stores $35,979,371 $50,738,535 $14,759,164
General Merchandise Stores $229,844,427 $330,834,887 $100,990,460
Miscellaneous Store Retailers $47,304,168 $45,489,501 $1,814,667
Florists $3,608,578 $1,032,575 $2,576,003
Office Supplies, Stationery & Gift Stores $8,765,192 $12,107,569 $3,342,377
Used Merchandise Stores $4,740,688 $13,682,785 $8,942,097
Other Miscellaneous Store Retailers $30,189,710 $18,666,572 $11,523,138
Food Services & Drinking Places $152,483,996 $126,671,956 $25,812,040
Special Food Services $3,772,856 $388,910 $3,383,946
Drinking Places Alcoholic Beverages $4,942,531 $2,265,351 $2,677,180
Restaurants/Other Eating Places $143,768,609 $124,017,695 $19,750,914
Source: Esri 2021 Demographics, 2018 Retail Market Place
ELBURN CONNECTS: Market Study | Village of ElburnBy the second quarter of 2021, the industrial market in the greater Chicago region had nearly fully recovered from the COVID-19 related recession. In fact, industrial vacancy in the Central Kane/DuPage Industrial Submarket was only 1%. There was 798,319 square feet of leasing activity in the 2nd quarter of 2021, 1.3 million square feet of industrial space under construction and net lease prices were$5.35 – $5.90 per square foot, which was higher than the Dekalb and the Far West industrial submarkets, and slightly lower than the North Kane submarket(Source: CBRE Marketview Chicago Metro Q2 2021).
Elburn has several industrial parks, each with high occupancy. Discussion with a regional broker indicated that land zoned for industrial activities has not until very recently seen much demand, but that is changing absorption of available space / land further east is nearing capacity. Demand for industrial flex space is anticipated, especially along Keslinger which provides easy access to IL-47. Land near Keslinger Road and Thryselius Drive is already zoned CM for Commercial/Manufacturing uses and is most likely to see increased development interest as demand rises.
The Village maintains an inventory of vacant industrial space and developable areas. As of September 16, 2021, the following industrial space and land were highlighted as available:
recovered from the COVID 19 related recession. In fact, industrial vacancy in the Central Kane/DuPage Industrial Submarket was only 1%. There was 798,319 square feet of leasing activity in the 2nd quarter of 2021, 1.3 million square feet of industrial space under construction and net lease prices were $5.35 – $5.90 per square foot, which was higher than the Dekalb and the Far West industrial submarkets, and slightly lower than the North Kane submarket 1
Figure 16: Chica o s
Source: CBRE Marketview, Greater Chicago Metro Q2, 2021
Figure 2.25: Available Industrial Space and Land in Elburn
Source: CBRE Marketview, Greater Chicago Metro Q2, 2021
Source: Village of Elburn; data as of September 16, 2021
Elburn has several industrial parks, each with high occupancy. Discussion with a regional broker indicated that land zoned for industrial activities has not until very recently seen much demand, but that is changing absorption of available space / land further east is nearing capacity. Demand for industrial flex space is anticipated, especially along Keslinger which provides easy access to IL 47. Land near Keslinger Road and Thryselius Drive (see Zoning Map below) is already zoned CM
Keystone Industrial Park Welch Creek Business Center Welch Creek Business Center n/a n/a Columbine Industrial Park
801 E. North St 707 Herra St 670 Herra St 801 Hicks Dr, Unit B Keslinger Rd, 1/4 west of Rte 47 Keslinger Rd/Thryselius Rd Park Type
Elburn’s residents are primarily homeowners, many of whom take great pride in maintaining and improving their homes and yards. However, there are no local retailers which offer the materials and supplies required for home improvement. Figure 2.26 shows that the nearest home improvement stores are concentrated east and west of the community. As residential development continues to expand in Elburn, the local market for home improvement stores (hardware, garden supply, etc.) such as Ace, Lowe’s and Home Depot will increase. The community may be able to support a local store in the future as Elburn and the surrounding area continue to develop. While the character of the area around Elburn is changing, the area is still largely agricultural and may also be able to support businesses such as farm equipment sales.
Business such as Ream’s Meat Market have long understood the market niche of Elburn and how to attract consumers nationally and regionally to shop in Elburn. Downtown Elburn is filled with long-standing local independent businesses and newcomers who are embedding themselves well into the culture and character of the community. The continued harmony of businesses which fill local retail gaps and niche markets in the region are likely to do well.
Location
Industrial Space Industrial Space Industrial Space Industrial BuildingA Build to Suit Land
Available Space/Land 10,040 sq ft (+/-) 4,000 to 21,000 sq ft 9,940 sq ft, clear span building, built 2008 3,000 sq ft 7.84 acres Unknown
Elburn’s residents are primarily homeowners many of whom take great pride improving their homes and yards. However, there are no local retailers which and supplies required for home improvement. Figure 19 shows the nearest concentrated east and west of the community. As residential development continues in Elburn, the local market for home improvement stores (hardware, garden supply, Ace, Lowe’s and Home Depot will increase The community may be able to support in the future as Elburn and the surrounding area continue to develop. While the area around Elburn is changing, the area is still largely agricultural and may also businesses such as farm equipment sales.
1 CBRE Marketview Chicago Metro Q2 2021
Figure 18: “Hardware S tores ” Locations near Elburn
Figure 2.26: “Hardware Stores” Locations near Elburn
Source: ESRI Business Analyst, “Hardware Stores”
Source: ESRI Business Analyst – “Hardware Stores”
Note: Figure 18 identifies a “hardware store” near Lily Lake which is in fact an HVAC
Business such as Ream’s Meat Market have long understood the market niche to attract consumers nationally and regionally to shop in Elburn. Downtown
The Village of Elburn is located within the far northern portion of the Blackberry Creek Watershed. Creeks meander around the south, east, and west sides of the Village, which is where the study area is situated.
The Blackberry Creek Watershed is a subwatershed of the Fox River Basin that stretches from south-central Kane County to north-central Kendall County. With a drainage area of roughly 75 square miles, the watershed touches upon 16 municipalities, including some like Elburn that hold the potential for further growth. As a result, it is imperative that steps be taken to ensure the development impacts on the watershed are minimized.
CMAP worked with communities in Kane and Kendall Counties to develop the Blackberry Creek Watershed Action Plan. While the plan was established in 2011, many of the policy and planning/programming recommendations still apply to help protect the watershed. The plan can also be adapted to present circumstances to ensure conceptual planning for the Elburn TOD area is sustainable and environmentally sensitive.
Short-term projects were identified in the Blackberry Creek Watershed Action Plan, including two in Elburn: (1) bioswales along North Street, and (2) educational signage at Prairie Park regarding nonpoint source pollution. This work has been completed to a limited extent, including bioswales at the North Street entrance of Veterans Memorial Park. However, there is opportunity for continued work. Future projects, including those regarding the Elburn TOD area, that protect the watershed should be encouraged.
Building up the Elburn Station Area as a TOD will be dependent on a stable system of utilities and infrastructure. Homes, businesses, and other uses will need connectivity to water and sewer utilities for day-to-day service. Stormwater management will be critical to ensure sustainable conveyance of water within the built environment and back into the natural environment, particularly with the Study Area intersecting withinthe Blackberry Creek Watershed (see right sidebar). Stormwater management also can reduce flooding impacts, provide opportunities for more green/open space, and reduce the strain on existing infrastructure. Residents, employers, and workers will also need relaible internet to stay connected, particularly as working, learning, and doing business from home becomes increasingly prevalent.
Availability of water and sewer utilities will be important to the development potential of the Study Area to serve new homes, businesses, and other uses. However, water and sewer infrastructure is not readily available in all parts of the Study Area.
The Assets, Constraints & Opportunities Map includes two of the Village’s three3 types of growth areas: (1) infill development and redevelopment, and (2) primary expansion areas. The growth areas are adapted from the Growth Strategies Plan in Elburn’s 2020 Comprehensive Plan.
Infill development and redevelopment areas are primarily located along Anderson Road and sporadically north of the railroad. Water and sewer utilities are mostly available, which will enable new developments to efficiently connect to existing infrastructure and promote sustainable growth.
Primary expansion areas are primarily located south of the railroad and east of IL Route 47. While water and sewer utilities may not be available in all areas, they are located close to existing developments that will enable extension when new developments require access to utilities.
Elburn’s two water towers are located just outside the Study Area. The first water tower is located north of Willow Street on the east side of Main Street. The second water tower is at the southwest corner of Keslinger Road and Anderson Road.
The Village takes a proactive approach to stormwater management. In addition to its Stormwater Drainage and Detention Ordinance, the Village manages some of the detention/retention ponds that serve residential areas in Elburn. This provides for more uniform and convenient management of these facilities.
The 2020 Comprehensive Plan also encourages modern approaches to stormwater management, including the potential for boulevards, greenways, naturalized basins, and Green Streets that minimize environmental impacts.
The sidebar on the right describes the importance of planning responsibly within the Blackberry Creek Watershed. Elburn is located within the watershed’s far north end and the larger Fox River Basin.
A strong telecommunications system has increasingly become a critical aspect of a community’s infrastructure. With more people working and learning from home, reliable internet service is crucial to ensure they can interact and access resources. From an economic development stance, internet service is a draw to businesses and employers to support their day-to-day activities.
According to the Illinois Department of Commerce and Economic Opportunity (DCEO)4, Elburn is primarily covered by fiber, wireline, and fixed broadband, with most portions of the Village also covered by cable and fixed wireless broadband.
3 The third growth area is long-term potential growth areas, which are generally situated around the outer perimeter of Elburn’s planning area but not within the project’s Study Area.
4 See DCEO broadband maps in the Appendix.
DSL broadband does not extend to Elburn; however, it is available in adjacent communities. The far southern end of the Village is also underserved by broadband, but not within the Study Area. Any gaps can likely be filled given the adequate coverage of a majority of Elburn.
Blackberry Creek Watershed in the southern end of Elburn Bioswales along North Street at Veterans Memorial Park Elburn water tower south of Keslinger RoadCommunity engagement was essential to Elburn Connects, and a variety of outreach methods were incorporated into each stage of the planning process. From the project launch in August 2021 through draft plan development and prioritizing proposed recommendations, the community was involved and consulted via online activities, pop-ups, and in-person events. Engagement 3
The project website was the hub for online communications. Over the course of the project, the website saw significant engagement with the Elburn community:
6,100+ site visits unique visitors 300+ unique stakeholders/commenters
An interactive comment map allowed users to add ideas to specific locations in the study area. People consistently added comments throughout the project, resulting in a diversity of input that guided the plan: 100+ unique ideas, many of which directly shaped and informed plan recommendations.
Chart illustrates the breakdown of comments on the map by category, showing the range of ideas submitted
The Elburn Connects Pop-Up Ideas Booth was set up at two community events in 2021: Elburn Days in August 2021 and the Christmas Stroll in December 2021. Despite bad weather at Elburn Days, Poll #1 launched that day and remained open through early September. Additional residents were engaged at the Christmas Stroll where they visited the Ideas Booth and shared their thoughts for improving downtown Elburn. 555 comments collected at Elburn Days 150 people engaged at Elburn Days 50 residents engaged at the Christmas Stroll
Input from both pop-up events included:
Need to be able to make a left turn into Keslinger Park going east
Improved pedestrian safety should be the top priority Need more shops and restaurants south of the railroad
Stetzer would be the best choice for an auto access from Route 47 to the Metra Station
A Steering Committee of nine area stakeholders guided the project, kicking off the visioning process with a group walking tour through the study area in September 2021 and culminating with a final review of draft plan recommendations and implementation strategies in Spring 2022. Representatives included Village Trustees, local business owners, residents, RTA, and Metra. The group met five times over the course of the planning process and served as ambassadors to the rest of the community. They provided a check on any ideas that would or would not work in Elburn.
A series of three quick polls were published at different stages of the planning process. Poll #1 at project launch focused on big-picture visioning, Poll #2 was about transportation choices and decisions, and Poll #3 asked about implementation priorities. Results from each poll are highlighted below.
150+ respondents
What one word would you use to describe downtown Elburn today?
140+ respondents
What type of development would you suggest near the Elburn Metra Station?
• Coffee shop
• Restaurants
• Small, independent shops
• Convenience store
• Mixed-use
• Public/recreational space
What is the biggest challenge facing downtown Elburn (including the station area) today?
• Poor connection between Metra station and downtown
• Traffic congestion
• Pedestrian safety
• Diversity of commercial uses
• Lack of events
• Keeping businesses open
• Attracting people to Elburn
Q5: Priorities for potential pedestrian improvements
• Safer pedestrian crossings of IL-47
• Overall improvements to sidewalk connectivity throughout Elburn
• Bridge/underpass connecting North Street to the Metra station
• A bike/pedestrian path from new Elburn Station Community Park and Elburn Station development to the Metra station
• Enhanced streetscape along IL-47
QUICK POLL #1 QUICK POLL #2Poll 3 had two parts, one which asked respondents to rank all proposed projects in order of priority, and the other which asked them to “fund” projects with estimated costs attached. Full results from each activity are displayed below. The key takeaway was that respondents clearly prioritize walkability and pedestrian safety in downtown Elburn. Top answer choices across all questions included:
• Complete the sidewalk network throughout Elburn
• Construct sidewalks on both side of 47 south of the railroad tracks
• Safer pedestrian crossings along Main Street
Other highly ranked priorities included:
• Connect Elburn’s bike network with new dedicated routes, on-street markings, and signage
• Construct pedestrian bridge over rail tracks for direct access to Metra station
• Promote development and urban design that will attract people and enhance vibrancy downtown
• Add turn lanes on 47 to allow traffic to flow more smoothly
• Install wayfinding signage
Q1: Rank this first set of eight projects in order of priority.
Q2: Rank this second set of proposed projects in order of priority.
Q3: Vote to “fund” your favorite projects, keeping in mind these cost estimates.
QUICK POLLThe entire Elburn community was invited to participate in two in-person community workshop events. The first, held October 28, 2021, served as an introduction to the planning process, an overview of current conditions, and an open forum for idea sharing, questions, and discussion. The second workshop on March 16, 2022, presented the proposed project recommendations and gathered feedback from participants on their priorities for plan implementation.
The time, participation, and thoughtful ideas shared by the Elburn community were essential to this plan’s development. Resident input is directly reflected in plan recommendations, which prioritize improvements to pedestrian safety and walkability, expand Elburn’s bike network, enhance Route 47 to be a more vibrant and active Main Street corridor, and improve access between the Metra Station and downtown Elburn via multiple connections for all transportation modes.
“Splash park added to the open green space by the library and Prairie Park”
“In my hometown in OK we have painted horses all over town I’d love to see something like this. My kids love seeing all the uniquely painted horses it’s fun and celebrates local art, history, and businesses.”
Based on a clear understanding of existing conditions and the interests of residents and local business owners, the mobility recommendations in this chapter are designed to better connect both residents of and visitors to Elburn through a multi-modal network of sidewalks, bike paths, roads, and rails. This Chapter also outlines the overall vision and goals of this Elburn Connects TOD Plan. Plan Recommendations 4
The Study Area for this Plan includes many of the Village of Elburn’s biggest community assets: the historic downtown along Main Street/Route 47 with cherished local businesses, the Metra Station, Village Hall, Town & Country Public Library, Prairie Park, and Stewart Elementary. The Elburn Connects Downtown and Transit Oriented Development (TOD) Plan is about unifying these key places; identifying improvements for enhanced connectivity, infrastructure, and public space; and creating a shared vision for the area as it evolves.
The Village’s Comprehensive Plan, updated in 2020, “paints a picture of the Village of Elburn 20 years in the future, and establishes a set of core values to inspire and guide the Village as it makes land use and development decisions in subsequent years.” The Comprehensive Plan describes a vision for the downtown and TOD area, as summarized on the right.
The Elburn Connects Plan was initiated to expand upon this vision with focused strategies to ensure the long-term viability of this important area. Through cooperative planning with residents,businesses, the Regional Transportation Authority (RTA), and the development community, Elburn Connects developed a shared vision and set of goals and strategies for the study area.
Downtown Elburn is being revitalized and continues to function as the heart of the Elburn community. The sidewalks accommodate outdoor seating, attractive planters, street trees, public art, and numerous pedestrian amenities, resulting in a safer and more inviting atmosphere. Both vehicles and pedestrians move around with ease as they travel through, or around, the Downtown. New boutiques, cafes and restaurants exist in harmony with established Elburn businesses, and provide Elburn residents and visitors unique shopping, entertainment and dining opportunities Public improvements, combined with private investment, give downtown business owners a renewed sense of pride and stewardship to their properties.
Downtown Elburn and the Elburn Metra Station are connected with pedestrian amenities and consistent streetscaping in the form of lighting, wayfinding signage, decorative planters and ornamental landscaping. The Elburn Metra Station area contains high-quality, mixed-use developments with residential units located above small retailers and office space. These developments are compatible neighbors to Downtown Elburn; and, when combined, offer a distinct sense of place
- Village of Elburn Comprehensive Plan Update (2020)
Downtown Elburn, the Elburn Metra Station, and nearby residential neighborhoods are cohesive and well-connected, creating a vibrant business district along Route 47 (Main Street) that is a walkable and easily accessible destination for Elburn residents and visitors.
Improve connectivity for all transportation modes (pedestrians, bicyclists, and drivers) within the TOD Study Area.
Elburn’s Metra Station is located within a half-mile of downtown (the distance the average person is willing to walk) but the ability to get to and from these destinations is currently limited due to an incomplete sidewalk network and deadend roads.
There is an existing residential neighborhood directly west of the station, and the Elburn Station residential development just south of Metra is partly built-out with plans for additional residential and limited commercial development in the future. The TOD area needs new and enhanced sidewalk and bicycle connections to these neighborhoods, allowing residents and Metra riders to easily walk or bike to/from Main Street to visit shops and restaurants.
Vehicular access is also an important element of connectivity throughout the TOD area. The plan will address traffic congestion along Route 47 as well as access points to the Metra Station. Opening multiple new roadway connections to the Metra Station will ease traffic congestion by diversifying the routes that drivers take. Additionally, new wayfinding signage can direct drivers and other users to destinations such as Metra, downtown, Village Hall, the nearby Forest Preserve, and parking.
Activate and enhance downtown Elburn with a diverse mix of uses and a thriving business district frequented by locals and visitors.
Elburn’s historic, charming downtown is near full occupancy with restaurants, bars, and service and office users. Well-known destinations include Ream’s Meat Market, Alice’s Place, and Obscurity Brewing. Still, there is potential to attract newer and more vibrant businesses that attract customers at different days and times, ensuring that downtown remains lively with visitors every day. The market analysis in Chapter 2 showed that Elburn’s largest retail gaps (i.e., sectors in which demand is greater than supply) include: General Merchandise, Food Services and Drinking Places, and Clothing & Accessories Stores.
Other goals and strategies directly relate to and impact this goal: improving walkability from the Metra station can help attract visitors who come to Elburn by train; growing Elburn’s residential base can add the density needed to support more shops and restaurants; and optimizing and sharing parking near the downtown can manage these new visitors.
Encourage new development opportunities that expand the tax base and support economic development in Elburn.
The Village of Elburn previously partnered with the Shodeen Group and Metra to plan for a transitoriented, mixed-use development immediately adjacent to the train station. The latest proposed design includes new parking, improved access to parking and the Metra station, a public gathering area, retail spaces, and a variety of residential housing types.
Though implementation of these plans is contingent upon the developer and market demand, the Village can continue to encourage this kind of development both around the station and in downtown Elburn that will expand the tax base and support other economic development opportunities.
New development should fit in with Elburn’s existing community character and emphasize connectivity with the existing roadway network or via new road connections.
This vision statement was crafted in response to input that emerged from community engagement and key issues identified throughout the planning process. The Elburn Connects Downtown and Transit Oriented Development (TOD) Plan establishes goals, strategies, and projects that can bring this vision to reality. The goals serve as a framework for the plan and as guiding principles to meet the vision statement. Recommendations for advancing these goals are detailed in the strategies and projects that are described later in this plan document.
1.1: A sidewalk is critical encouraging walking Completing the sidewalk network will increase access forpedestrians throughout The in Figure 4.2 (nextpage) sidewalk Most of the a half-mile transit-oriented(TOD) not have a sidewalk. Completing the sidewalk Elburn be done in two phases, as illustrated in the sidewalk network completion phases map in Figure 4.1.
PHASE
PHASE 1:
Figure 4.1: Sidewalk Network Completion Phases Kane County GIS Technologies; CMAP; Sam Schwartz Gaps in the sidewalk appear in various spots, including the walk to the Metra Station1.2: Construct pedestrian rail crossing at First Street. The rail tracks present a hard barrier between the downtown area to the north and the Metra station area to the south, limiting connections for all modes of travel. First Street serves as a convenient and important connection for pedestrians between destinations north and south of the rail line. Improving this connection with a completed sidewalk segment and warning devices at the tracks would increase safety at this crossing.
The minimum cost for warning devices ranges from$20,000 to $50,000, in addition to a flush crosswalk paved across the tracks. Funding for this upgrade would be the responsibility of the Village and coordination with Union Pacific would be required.
1.3: Improve the connection to the Metra Station at Kansas Street.
The service lane at the eastern end of Kansas Street should be modified to provide a better bicycle connection to Elburn Station. Wayfinding signage should be installed to direct people to and from the Station and community destinations, such as downtown Elburn. The Village should also officially designate this route for bicyclists and pedestrians and modify the physical barrier to allow for bicyclists to pass through, while still barring non-service automobiles. A different type of barrier, such as retracting bollards, would block car traffic while allowing bike through traffic.
1.4: Build out network of bike routes.
A connected bike network through Elburn should be established to provide residents with dedicated routes to community destinations and to establish clear wayfinding, predictable travel patterns, and a comfortable route for bicycling. Bicycle connectivity throughout Elburn can be improved by installing on-street markings and signage on severalkey routes, as illustrated in Figure 4.3 (below).
These routes can be designated through on-street, dedicated bike lanes, where space allows for a 5’-wide bike lane on each side of the roadway(for each direction). Where space does not allow, shared lane markings can be used to denote a street as a preferred bike route. Shared lane markings should be limited to streets with low volumes and low vehicle speeds. The entire network should also include wayfinding signage to direct bicyclists along the most comfortable routes.
Prairie Valley Road is the only direct connection between Route 47 and Anderson Road north of the railroad tracks. As such, it is an important routefor all modes of travel.
First Street runs parallel to Route 47, providing north-south access and connectivity to downtown as well as to Elburn Station via Kansas Street.
North Street provides a connection between the Library and Village Hall on the east to Route 47 and the Forest Preserve on the west.
Kansas Street is a low volume street (volume < 3,000 ADT and low speedsof 20 mph or lower) that should be limited to shared lane markings. Green-backed sharrows can be used to enhance visibility in key locations.
Additional routes and new connections within the Elburn Station development should be prioritized toconnect residents of the Elburn Station development to the Metra Station and to the bike route along First Street.
Figure 4.3: Key Routes to Enhance Bicycle Connectivity County Technologies Current stop gate at eastern end of Kansas St heading to Metra Station STRATEGY 1: IMPROVE PEDESTRIAN/BICYCLE CONNECTIVITY TO THE METRA STATION, AND THROUGH ELBURN.A grade-separated pedestrian crossing to directly connect the Metra Station to the Village Hall and destinations north of the tracks is the safest and most convenient option to expand accessibility by walking to the Metra Station. However, this strategy comes at a significant cost.
In 2007, several concepts were developed for a gradeseparated pedestrian crossing connecting north and south of the tracks at the western end of the Metra property. Three bridge alignments and one tunnel were considered. The estimated construction cost of the preferred alternative wasroughly $3.5 million, which in today’s dollars is nearly $5 million.
Funding for these projects can come from Village general revenue sources or from potential grants such as RTA’s Access to Transit Program.
Dense, connected street networks reduce trip distances and support biking and walking as modes of transportation, enabling healthier lifestyles for individuals and the community overall by reducing vehicle trips and emissions. Connected street networks also improve emergency response times. Connecting new developments into the existing roadway network in Elburn and to Route 47 is important to maximize connectivity and walkability of Elburn.
Multiple connections are recommended between the Elburn Station development and Route 47 to distribute traffic across multiple routes and reduce the burden on a singular route. Community feedback indicated South Street as the top choice for a new eastwest roadway connection among existing streets. Extending a new alignment along Stetzer Street, about a quarter mile south of South Street, should also be considered in the future. There is potential to add a traffic signal where each of these streets intersect with Route 47. IDOT would consider each street’s traffic volumes and other warrants to determine whether this is needed. Having a signal would likely encourage more people to use one connection over the other.
New roadway connections should be designed and constructed as Complete Streets that support multi-modal travel and safety, with closed drainage, sidewalks set back from the curb, with on-street parking and/or marked bike lanes, based on the needs of the uses along the street and the overall network.
Figure 4.4 on the next page depicts a typical existing cross-section in Elburn along with two alternative designs for upgraded or new roadway segments. The street should be designed for slow vehicular speeds through narrow travel lanes and the inclusion of on-street parking or bike lanes.
If connections are not made to the existing roadway network at the time of the development, the rights-of-way should be preserved to make those connections in the future.
Completion of Station Boulevard, and creation of new southern access points will be funded by private developers as those adjacent properties develop. The Village will need to reserve funds through capital or MFT sources to make improvements/add extensions to existing streets or seek grants where available to provide improved access.
3.1: Make safer pedestrian crossings at intersections.
High-visibility crosswalks should be painted at all intersections along Route 47. These road markings would be larger and more prominent than the current crosswalks. Such crossings will indicate to motorists more clearly where pedestrians would cross the roadway. These should be painted in the retail commercial corridor along Main Street at the intersections with Kansas Street, Nebraska Street, North Street, and Shannon Street, as shown in Figure 4.5. Rectangular rapid flashingbeacons (RRFBs) should also be considered at key locations to increase compliance of drivers stopping for crossing pedestrians.
At key intersections for pedestrian access, the center median described below can be replaced with a pedestrian refuge island, providing pedestrians a place to wait and cross only one direction of traffic at a time. Pedestrian and vehicle observations and data collection should determine the best locations for these islands.
3.2: Add turn lanes to allow traffic to flow more smoothly. Currently, the pavement width on Route 47 is approximately 52 feet and accommodates two travel lanes and two lanes of on-street parking, north of the tracks. This cross-section should be reconfigured to incorporate a striped center median that accommodates pedestrian refuge islands and left turn lanes at key intersections to improve traffic flow. Striping the parking lanes at the minimum of 8 feet, per IDOT’s Bureau ofDesign and Enviroment Manual, would allow for two (2) 12-foot travel lanes and a 12-foot median/turn lane without widening the roadway, allowing the sidewalk width to remain as-is at approximately 14 feet. Pedestrian and driver travel patterns should be observed to determine the appropriate locations for refuge islands and turn bays. The key pedestrian crossings noted in Strategy 3.1 should be prioritized for refuge islands.
Route 47 is under IDOT jurisdiction and thus, coordination with IDOT will be required. Coordination should also be conducted with Kane County, as Route 47 is an important corridor in the regional transportation network.
In downtown Elburn, north of the railroad tracks, sidewalks are 14 feet wide on both sides of Main Street.
It is recommended to continue such treatment along Main Street, south of the railroad tracks, and convert the roadway from an open drainage system to closed drainage with curb and gutter. Having wider sidewalks on both sides of the street not only provides accessibility for people with disabilities, but also can promote walkability and pedestrian activity for the retail outlets in the commercial area south of the tracks.
The Village will need to work closely with IDOT to accommodate these improvements. A combination of grants and Village general revenue or MFT sources will be needed to fund the suggested improvements.
As an example, a shared parking agreement with Grace Orthodox Presbyterian Church would allow visitors to downtown Elburn to park in the lot behind church at certain hours. In exchange, the Village of Elburn could pay a monthly stiped to the church.
Similar agreements have been done before in Minneapolis, MN, and Oak Harbor, WA.
Example #1: Minneapolis, MN
Surface Parking Lot Joint Use Agreement by and between the City of Minneapolis and Substance Church, Inc.
[CLICK HERE FOR WEB LINK TO AGREEMENT]
Example #2: Oak Harbor, WA
Parking Lot Use License Agreement between Oak Harbor Southern Baptist Church and Oak Harbor School District
[CLICK HERE FOR WEB LINK TO AGREEMENT]
4.1: Right-size parking.
Downtown Elburn has more than enough parking spaces to accommodate the commercial space, based on guidance from the Institute of Transportation Engineers, providing an opportunity to convert some of the existing land dedicated to parking to another use, as described in Strategy 7. The estimated need for the existing retail is only 155 spaces, while Downtown Elburn currently has 347 existing spaces.
Outside of the Village-owned lots and lots currently open for use by the public, nearby lots that serve private uses where the peak demand for parking is at different times than peak demand for downtown uses could be used to serve the downtown, making more efficient use of the land resources. Parking supply is considered to be at capacity when it is 85% full. The parking demand should be monitored at regular intervals at typical use time periods to gauge demand. If demand is beginning to exceed the 85% threshold, shared parking agreements could be explored.
The Village will need to work closely with churches and private property owners to coordinate shared parking opportunities. Signswill also need to be installed (see wayfinding concepts in Strategy 6) to direct motorists to available parking, and a parking map should be created for posting to the Village’s website.
SHANNON PIERCE On-street parking along Main Street in Downtown Elburn Grace Orthodox Presbyterian Church on the edge of downtownThere are stretches of First Street that do not offer a comfortable pedesrtrian environment, due to gaps in the sidewalk, frequent speeding of cars down First Street, and a lack of defined separation between the pedestrian space and the roadway. Short-term solutions include lanestriping and traffic calming measures (discussed in 5.2 below).
In the long term, a curb and gutter could be installed to further distinguish the right-of-way for pedestrians and motorists. Opportunities for landscaping treatments should also be explored in the long-term as a way to improve the form and function of First Street for pedestrians.
Traffic calming measures should be installed on First Street to promote slower speeds. Neighborhood traffic circles are a prime option for the intersections with: Shannon, Pierce, Nebraska, Kansas. These treatments should be installed in the middle of the intersections to cue drivers to slow down to cross the intersection. Curb bump-outs at the intersections of North Street and South Street would also promote slower speeds, while increasing safety for pedestrians along these east-west routes.
Traffic calming measures help to promote slower driving speeds in neighborhoods and areas like downtown that generate significant pedestrian traffic. Curb bump-outs can also help to create safer pedestrian environments, particularly when paired with crosswalks mid-block or at the end of blocks.
Downtown Elburn presently demarcates Main Street corners at Shannon Street and North Street with painted stripes on the pavement (see photo above). These painted areas can be formalized into curb-bump-outs demarcated by landscaped areas, bollards, or other physical markers.
When paired with crosswalks, these formalized bumpouts provide a more pedestrian-friendly environment by encouraging slower auto traffic and extending the crosswalk by a few feet (see photo example below). circles (neighborhood circles) circles (neighborhood traffic circles)
Pedestrian crossing point at corner of Main St and Shannon StMetra provides standard signage at the train station house and platforms, which helps commuters navigate on-site. Off-site, wayfinding signage can help commuters and visitors find the Metra station area from different points of the community, particularly along major roads and from major destinations like a downtown or adjacent developments.
Elburn’s wayfinding signage to its Metra station area is relatively limited. However, a more substantial system of wayfinding signage can be created in conjunction with a community-wide wayfinding system, such as the proposed Downtown Elburn signage and wayfinding concepts in Figure 4.6.
The examples below show wayfinding programs from Wheaton, Highland Park, and Berkeley. All examples provide direction to the community’s respective Metra station in downtown and other special district settings.
Wayfinding and gateway signage throughout the study area was recommended in the Village’s Comprehensive Plan. Locals generally know what’s in town and where to park, but visitors often do not. Wayfinding signage can help the Village market notable places(the library, Village Hall, forest preserves, etc.), direct people to designated parking areas, and help people find their way to/from the Metra Station. Currently the downtown has very limited signage, and there are no gateway signs for the Village on any of the primary roadways to signal arrival in Elburn.
Downtown signage and wayfinding concepts are illustrated in Figure4.6 (next page). The map in Figure 4.9 shows suggested locations for downtown signage and wayfinding, as well as Metra-specific signage, particularly Metra’s trailblazer signs.
The Village will need to work closely with a local sign company to finalize the design of these signs and work closely with IDOT to obtain their approval for any signs located on Route 47. Funding would likely be from municipal general revenue sources, but could potential be assisted by local organizations such as the Chamber of Commerce or Lions Club.
6.1: Install Elburn-branded signage at key locations to enhanceconnectivity and navigation, fill underutilized parking areas,and contribute to a welcoming sense of place.Current entrance sign to the Elburn Metra Station
7.1: Elburn.
Conceptual urban design strategies and development models for five identified opportunity sites in Downtown Elburn are provided in Chapter 5.The table in Figure 4.7 (below) provides an overview of each site. Design and contruction of actual urban design elements should follow the Village’s OldTown Design and Development Guidelines (see excerpts below).
New development or redevelopment in Elburn’s downtown should refer to the Old Town Design and Development Guidelines. PURSUE OPPORTUNITIES AT KEY DEVELOPMENT SITES.
Curb
Shodeen’s latest Elburn Station Plans have been generally supported by the Village Board. These plans, which are illustrated in the site plan in Figure 4.8(below), include a South Street connection, a link to Keslinger Road, and a potential Stetzer Street connection in the future. As noted on the site plan below, there are two considerations to note as these plans evolve or get implemented in the coming years.
The Village will need to work closely with private property owners and developers on these redevelopment sites. For sites in the Route 47 corridor, the Village could explore creation of a Tax Increment Financing District and/or a Business District to provide potential funding to partner with the private sector in achieving this private redevelopment and potential public improvements/place making opportunities. Some rezoning will be required as noted for individual sites.
Plans involve a land swap with Metra to have buildings located closer to the station. This swap likely needs to be 1:1 with a site plan that ensures an equal number of parking spaces to meet Metra’s long-term parking needs while also fostering walkability to/from the Metra station for Elburn Station residents.
From a market perspective, the latest plans likely have more mixed use and more multi-family than the market will support. Some of the mixed-use buildings may end up being all multifamily, and some of the multi-family buildings could be converted to townhomes.
Aside from transit facilities like the Metra station, rooftops and commercial uses are often viewed as some of the most critical components of a viable TOD. Access to a balanced mix of community assets is just as important.
Civic and public uses like Village Hall and the Town & Country Public Library provide residents, workers, and visitors in the TOD area access to community services.
Schools add to the public facilities that not only provide places of learning but also recreation fields, meeting spaces, and places for group assembly.
Parks and open space offer areas for active and passive recreation, as well as access to the natural environment.
Mixed use districts like Downtown Elburn serves as primary destinations for residents, workers, and visitors within walking distance of the Metra station and TOD area. Downtown can be a central catalyst to infuse places to live, work, shop, dine, and eat, along with similar mixed use areas that may be built within the TOD area. Elburn Station is slated to introduce a mixed use area once built out. Employment centers like the industrial area north of the railroad provide jobs, products and services, and room for expansion. Downtown, Village Hall, and future mixed use areas in the TOD area also serve as current and future employment centers that generate the daytime population support shops, restaurants, and services, which advances economic development
The Study Area has a significant amount of vacant land, including about 22% of total land use that remains undeveloped and not currently platted for a proposed development site, such as Elburn Station. The 174.7 acres of vacant land present opportunities for future developments that add to the housing stock, advance economic development, and bring new amenities that support TOD. Notably, about 8.1 acres are owned by the Village, which provides a certain level of control over future development or land preservation efforts.
Road Access: Limited network of publicly accessible roads in the TOD area hinders direct access to nearby destinations. This limitation particularly influences pedestrians and bicyclists who may choose to drive instead of take circuitous routes that are too time consuming to complete. More direct and accessible points of connection for all modes of travel should help alleviate this constraint.
Metra Station Access: Access for all transportation modes to the Metra station is currently limited to Anderson Road, plus a path at the eastern terminus of Kansas Street for pedestrians only. There is also a limited access road linking the Metra station area to the current terminus of Kansas Street; however, this access point is closed off by a gate. Strategies 1.3 and 2.1 in this plan discuss recommendations for improving connectivity and access to the Metra Station.
The alley between the Reynauld’s Euro Imports building and the Old Elburn Hall Event Center (see photo above) is a prime spot to activate an underutilized space with enhanced streetscape elements like lighting, outdoor seating, public art, and other interactive features.
A model example of an existing activated alleyway in the region is Scranton Alley in Lake Bluff. Located in Downtown Lake Bluff a half block east of the Metra station, Scranton Alley is a small 50 ft long alley connecting the sidewalk along Scranton Avenue to a rear parking lot, which is quite similar to the alley of note in Downtown Elburn. Also similar to the alley in Elburn, small businesses like a café, salon, barber shop, framing store, bike store, yoga studio, and financial planning office are within a block walk to Scranton Alley. An artisanal food and wine shop also provides outdoor seating in Scranton Alley with direct door access into the space.
This level of activity and business accentuates the level of pedestrian traffic that walk by and engage in Lake Bluff’s activated alleyway. The alley in Downtown Elburn could follow a similar path.
8.1: Activate underutilized alleyway and transform into a public gathering space.
Elburn has two community parks, Lions Park andPrairie Park, within walking distance (less than a halfmile) from downtown’s Route 47/Main Street. These parks are great for community-wide events, large group gatherings, and sports and recreation. What is currently lacking along Main Street is a smaller-scale public gathering space that can be used flexibly and integrated with other downtown activities.
Opportunity Site #5, the pedestrian alley between the Reynauld’s Euro Imports building and the Old Elburn Hall Event Center, presents an ideal location for this type of space. The alley could be improved and activated with lights, outdoor seating, and interactive artwork that attracts people to downtown and encourages them to spend time and linger.
The Village will need to partner with Reynauld’s Euro Imports for potential alley improvements. Funding could come from the Village’s general fund, from a potential TIF District, or from placemaking grantopportunities (will be detailed in the final plan).
There are two general areas for development with the study area of the Elburn Connects plan – within the existing downtown area generally centered on Route 47, and near the Metra Station within the Elburn Station development. The downtown sites are all currently in use, but each has a greater potential if redeveloped to meet the plan’s vision and goals. The Village has an approved plan for the Elburn Station development which would help to diversify the communities housing stock and provide opportunities for limited mixed-use development near the Metra Station. Development & Design 5
Conceptual urban design strategies and development models for five identified opportunity sites in Downtown Elburn are provided on the following pages. Site data for each site are provided in thetable in Figure 5.1 (below).
LOCATION
1 Parking lot
SE quadrant of Shannon St/Rte 47 (Main St)
2 Parking lot (Village owned) SW quadrant of North St/1st St
3 Commercial business (garages) acres NW quadrant of Kansas St/Rte 47 (Main St)
4 Commercial business (garages) 0.55 acres SW quadrant of Kansas St/Rte 47 (Main St)
5 Pedestrian alley next to Old Reams 2,000 sq ft Approx. 124 N. Main St
B1: Central Business District
Unpaved parking lot
CM: Commercial/ Manufacturing District Paved parking lot
R2: Two-Family Residence District
Mixed Use Building + Surface Parking Lot
1st floor commercial/restaurant
2nd/3rd floor residential/office No zoning change needed
1-Story Building + Surface Parking Lot Restaurant with outdoor patio Re-zone to B1
Trucking use?
R2: Two-Family Residence District Trucking use?
Combine Sites for Larger 1-Story Retail/ Restaurant Development Close Kansas St to traffic and add central dining plaza; 1-story commercial use; retail/restaurant; two bays of parking in front along Main St Re-zone to B1
B1: Central Business District Alley with parking Pocket Plaza/Public Place
With lighting, seating, historical interpretations, projection art, interactive scultpres, etc.; could accommodate community fests and private events
No zoning change needed
6 Elburn Station PUD 505 acres South of Metra station and north of Keslinger Rd
Mixed Use, R1, R2, R3 and R4 Residential; vacant land
Mixed Use Development
Mixed residential Commercial near Metra station
Continue commercial frontage along Main Street (IL-47)
SE Corner of Main St + Shannon St is gateway into downtown
Commercial redevelopment along Main, parking at the rear, 1st floor commercial, 1-2 floors of residential/office above, (restaurant with outdoor seating), treat corner as gateway into downtown, notch building with downtown entry features
Corner treatments can establish a downtown gateway; may include iconic building features and/or dining patio
1st floor commercial/ restaurant; 2nd/3rd floors
Continue downtown feel along North Street
Show more defined parking lot to the south
Single story restaurant with outdoor patio space.
Close
Commercial
2
Provide OPPORTUNITY
Pedestrian alley/pocket plaza/public space site downtown
The existing alleyway located on Main Street between the Reynauld’s Euro Imports building and the Old Elburn Hall Event Center could become a public place with lighting, seating, historical interpretations, projection art, interactive sculpture, etc.
Pocket Plaza community fests private events
This Chapter outlines actions needed to achieve the vision outlined in this plan. Specific strategies and objectives are identified to enhance connectivity to Downtown Elburn and the Metra Station. Implementation CHAPTER 6
The Village of Elburn will need to partner with other local, regional, and state agencies to achieve the vision established in this TOD Plan. Some of these key partnerships include:
• Elburn Chamber of Commerce https://elburn.com
• Regional Transportation Authority (RTA) https://rtachicago.org
• Metra https://metra.com
• Illinois Department of Transportation (IDOT) https://www.idot.illinois.gov
• Kane County https://www.countyofkane.org
• Kane County Division of Transportation (KDOT) http://kdot.countyofkane.org
• Active Transportation Alliance https://activetrans.org
• Illinois Department of Natural Resources (IDNR) https://www2.illinois.gov/dnr/
• Union Pacific Railroad https://www.up.com
The parking section of the zoning ordinance should be modified to require all off-street parking lots to be paved(concrete, asphalt, or pavers). Currently the code only requires a hard surface for residential parking areas.
To develop Sites 3 and 4 as recommended, this property will need to be rezoned for commercial use. While the properties currently are used for commercial purposes, they are zoned R2 residential. Rezoning to B1 Central Business is recommended to accommodate the suggested redevelopment. Ideally sites 3 and 4 would be developed together as one integrated project, with a portion of the Kansas Street right-of-way beingvacated (but utility easements provided to maintain access tounderground infrastructure).
Strategies are ongoing efforts while Objectives highlight specific actions and projects which specifically address each of the strategies. For each objective, potential partners, potential funding sources, and estimated costs have been identified.
Community engagement was a significant driver of both consensus of goals and objectives, but also in determining the priorities of these projects. While all Plan recommendations are representative of the needs identified by the community, input from community polls, website interactions, and community workshops consistently identified some projects as higher priorities than others. Three projects rose to the top as the highest priorities, as summarized on the right
Other priority projects have been identified simply as “High” or “Medium” priorities. All other projects should be pursued where timely funding sources can be identified, considered in conjunction with other improvements (where cost-effective, efficient, or provides other value to the Village).
Immediate next steps following this Plan include (a) updating local policies or regulations in support of objectives, (b) securing partnerships, and (c) identifying and securing funding for projects.
The Village of Elburn has a zoning ordinance which regulates the use of land. While the ordinance has been updated to address specific issues, the primary zoning ordinance text was adopted in 1993. It is recommended that the Village conduct a thorough review of the ordinance, with a particular focus on updating use lists, parking regulations, and overall formatting and addition of graphics to make the ordinance easier to use.
Specific to items contained in this plan, key zoningissues are summarized in the map below.
Site 1 is currently zoned B1 Central Business. The redevelopment outlined in this Plan can easily be accommodate under the existing zoning.
Construct sidewalks on both sides of Main Street south of the railroad tracks.
OBJECTIVE 3.3 Promote development models and urban design strategies thatwill attract people and enhance vibrancy in downtown Elburn.
To develop Site 2 as proposed, rezoning to B1 is also recommended. This site is currently zoned Commercial-Manufacturing (CM). However, a zero setback is recommended for the frontage along North Street tomaintain the feel and character of the downtown.
The largest remaining developable space in the study area is within theElburn Station project. The project was developed as a Planned Unit Development, and has a detailed plan including a variety of housing products and densities. The Village should continue to work with the developer, making adjustments and modifications to the approved plans as appropriate to accommodate changing market demand.
Complete the sidewalk network within the study area. Chamber of Commerce’s “Shop Elburn Evenings” supports local businessesNew funding opportunities (federal / state) may be available in the future. The Village should continue to look for additional funding sources that may come about in the future.
General Revenue: The Village of Elburn collects property taxes and sales tax revenue, both of which could be applied to improvements within the study area. Ideally, these local funds could be used as a match for one state or federal grants noted below. Allocation of general revenue will be limited as the Village has many needs that must be meet from these local sources.
Motor Fuel Tax: Roadway and related improvements like sidewalks in and around the train station could be funded by revenue received from the State of Illinois’s motor fuel tax.
Congestion Mitigation and Air Quality Improvement Program (CMAQ): CMAQ grants requests are submitted through the Chicago Metropolitan Agency for Planning (CMAP). This is a Federally funded program that is part of the surface transportation improvements designed to improve air quality and to mitigate congestion. Eligible projects include pedestrian and bicycle facility projects, as well as transit improvements and traffic flow projects. Projects are submitted to the CMAP Transportation Committee, however IDOT administers the program.
https://www.cmap.illinois.gov/mobility/strategicinvestment/cmaq
Illinois Transportation Enhancement Program (ITEP): The ITEP program is administered by IDOT with funds primarily coming from Federal sources. The program provides a maximum of $2 million per project and generally requires a 20% local match. This program is highly competitive but is also one of the best programs available to fund many of the projects outlined in this plan. https://www.idot.illinois.gov/transportationsystem/local-transportation-partners/countyengineers-and-local-public-agencies/fundingopportunities/ITEP
RTA Access to Transit Program: The RTA launched the Access to Transit program in 2012 to support small-scale capital projects that improve pedestrians’ and bicyclists’ access to public transportation. The program is open to municipalities and counties that have completed, or are in the process of completing, a planning or implementation project through either the RTA Community Planning program, the CMAP LTA Program, or other community planning efforts. The plans should specifically recommend bike and/or pedestrian access improvements to transit. There are two types of eligible projects: Category A funds Phase II engineering and construction for small-scale bike/ped infrastructure improvements (budgets between $150,000 and $1 million) and Category B supports Phase 1 engineering from municipalities of high need (budgets between $5,000 and $55,000).
https://www.rtachicago.org/plans-programs/ access-transit-program
RTA Community Planning Program: This program offers technical assistance and funding for plan implementation activities to local governments and intergovernmental organizations to address local planning needs that intersect public transportation and land use. Through this assistance the RTA encourages municipalities in the region to develop walkable and more sustainable communities near transit stations and along transit corridors.
https://www.rtachicago.org/plans-programs/ grants-projects/community-planning
IDNR Recreational Trails Program and Illinois Bicycle Path Grant Program: This program helps with the acquisition, construction and rehabilitation of public, non-motorized bicycle paths and directly related support facilities. Applications must be received by IDNR by March 1 of each calendar year when there is an active program. The State also occasionally has other bike trail funding programs.
https://www2.illinois.gov/dnr/grants/Pages/ IllinoisTrailsGrantPrograms.aspx
https://www2.illinois.gov/dnr/grants/Pages/ BikePathProgram.aspx
Federal Recreational Trails Program (RTP): RTP was created through the National Recreational Trail Fund Act (NRTFA) as part of the Intermodal Surface Transportation Efficiency Act of 1991 (ISTEA) and re-authorized by the Safe, Accountable, Flexible, Efficient Transportation Equity Act: A Legacy for Users (SAFETEA-LU). This program provides funding assistance for acquisition, development, rehabilitation, and maintenance of both motorized and nonmotorized recreation trails. By law, 30% of each states’ RTP funding must be earmarked for motorized trail projects, 30% for non-motorized trail projects and the remaining 40% for multi-use (diversified) motorized and non-motorized trails or a combination of either. Examples of eligible project activities include:
• Trail construction and rehabilitation
• Restoration of areas adjacent to trails damaged by unauthorized trail uses
• Construction of trail-related support facilities and amenities
• Acquisition from willing sellers of trail corridors through easements or fee simple title
https://www2.illinois.gov/dnr/AEG/Pages/ FederalRecreationalTrailsProgram.aspx
PeopleForBikes: Funds bicycle infrastructure projects, including bike paths, lanes, trails, and bridges; bike parks and pump tracks; bike racks, bike parking, repair stations and storage. PFBs also funds some bike advocacy projects. Funding up to $10,000, up to 50% of the project cost.
https://www.peopleforbikes.org/grants
Federal RAISE Grants: Formerly known as Tiger Grants, the federal RAISE Grant program is intended to fund projects to modernize infrastructure. Projects are selected on merit, evaluated by “statutory criteria on safety, environmental sustainability, quality of life, economic competitiveness and opportunity, state of good repair, partnership and innovation.” Projects will be assessed for universal design and accessibility for travelers as well as to increase mobility for freight and supply chain efficiency.
https://www.transportation.gov/RAISEgrants
Surface Transportation Program (STP): The STP provides flexible funding used by states and localities. Funds can be use for a variety of improvements, including bicycle and/or pedestrian projects or elements of projects and may be useful towards funding a pedestrian/ bikeway bridge. Funding is allocated via Councils of Mayors which oversee planning and programming of STP funds and each develops its own set of project selection guidelines. Projects are reviewed first by Council, then reviewed the CMAP.
https://www.cmap.illinois.gov/committees/ advisory/council-of-mayors/stp
AARP Livable Communities: Through its Livable Communities initiative, AARP offers an annual challenge grant. Non-profits and local governments are eligible to apply. Applications for grant funding are due in April. The Community Challenge program provides small grants to fund quick-action projects (such as public artwork or space activations) that can help communities become more livable for people of all ages. Grants are typically less than $15,000 and programs that support residents age 50 and over are prioritized.
https://www.aarp.org/livable-communities/ community-challenge/info-2022/2022challenge.html
IDOT Safe Routes to Schools (SRTS): The main goals of the program are to enable and encourage children to walk and bicycle to school and to make biking and walking to school safer and more appealing. Given the location of schools within Elburn, this program may be applicable for some, but not all the intended pedestrian/bicycling improvements. The program provides funding for both infrastructure improvements to the physical environment and non-infrastructure projects. Funding elements include 80% with a 20% match, 70% – 90% of total allocated funds for Illinois go to support infrastructure projects, and an approved Illinois School Travel Plan is required.
https://idot.illinois.gov/transportation-system/ local-transportation-partners/county-engineersand-local-public-agencies/safe-routes-toschool/index
Tax Increment Financing (TIF): TIF Districts are a useful tool to incentivize economic development and are intended to improve property values through physical improvements. TIFs can provide a funding mechanism for infrastructure improvements to enhance an area where (re) development is desired. Many communities have sought a TIF eligibility study to determine whether a TIF would be an appropriate tool to revitalize their downtown areas, encouraging physical and streetscape improvements. The Village currently does not have any TIF districts. Adopted districts can last up to 23 years.
https://illinois-tif.com
Business District (BD): Municipalities can establish BDs as a means of supporting development within targeted areas in a community, particularly attracting new development to vacant properties and redevelopment of existing sites. In addition to improving commercial and mixed use areas, the intent is to provide for new businesses that enhance the availability of goods, services, and amenities to the community, which generate sales and property tax revenues to the municipality and local taxing bodies.
https://www.ilcma.org/wp-content/ uploads/2019/02/What-are-Opportunity-Zonesand-Business-Improvement-Districts_Heniff.pdf
Municipal Funding Opportunities for TransitOriented Development: Additional opportunities for funding sources can be found in RTA’s Municipal Funding Sources Guide:
https://www.rtachicago.org/sites/default/files/ documents/plansandprograms/landusetod/ Grant%20Opportunities%20(06-2019).pdf
The Elburn Connects Plan focuses phasing by priority, not based on their likely completion time because of limited local funding for immediate allocation and the required coordination with public and private sector partners.
STRATEGY 1 : Improve pedestrian and bicycle connectivity to the Metra station, and through Elburn.
1.1 Complete the sidewalk network throughout Elburn, particularly in and around downtown and the Metra Station.
Village; IDOT ITEP; CMAQ High - #1 $3,600,000
1.2 Construct pedestrian rail crossing at First Street. Union Pacific Railroad CMAQ High $350,000
1.3 Improve bike/pedestrian connection to the Metra Station at Kansas St. Village, RTA, Metra ITEP; CMAQ; IDNR; PeopleForBikes; RTA Access to Transit Medium
1.4 Build out network of bike routes. Kane County; IDOT Village; RTA; CMAQ; IDNR; PeopleForBikes Medium $300,000
1.5 Construct pedestrian bridge over rail tracks for direct access to station. Metra; RTA; Union Pacific Village; Future Federal Grant; CMAQ; IDNR Low $5,000,000
STRATEGY 2 : Create better east-west vehicular connectivity.
2.1 Create multiple roadway connections to provide access to Elburn Station via South St, Keslinger Rd, and Station Blvd.
Metra; IDOT; Shodeen Medium Varies
STRATEGY 3 : Enhance safety and circulation through commercial district on Route 47.
3.1 Make safer pedestrian crossings at intersections. IDOT ITEP; TIF High $60,000 to $150,000 each
3.2 Add turn lanes to allow traffic to flow more smoothly. IDOT; Kane County TIF; CMAQ Medium $20,000
3.3 Construct sidewalks on both sides of Main St south of the railroad tracks. IDOT ITEP High - #2 Included with cost for Objective 1.1
STRATEGY 4 : Optimize parking for commercial areas.
4.1 Right-size parking by creating shared parking agreements. Village; Downtown Businesses; Churches; Private Parking Lot owners; American Legion; Chamber Medium N/A
STRATEGY 5 : Improve safety and walkability of First Street.
5.1 Clearly distinguish pedestrian space from the roadway. Village ITEP Medium $5,000 to $50,000
5.2 Install traffic calming measures. Village ITEP High $15,000 to $50,000 each
STRATEGY 6 : Add wayfinding and gateway signage throughout the study area.
6.1 Install Elburn-branded signage at key locations to enhance connectivity and navigation, fill underutilized parking areas, and contribute to a welcoming sense of place. Village RTA; ITEP High $6,500 per single pole mounted sign
STRATEGY 7 : Pursue opportunities at key development sites.
7.1 Promote development models and urban design strategies that will attract people and enhance vibrancy in downtown Elburn. Village; private property owners; developers TIF; BD; RTA’s Community Planning Program High - #3
7.2 Continue to work with Shodeen to implement plans for Elburn Station. Shodeen, Metra High STRATEGY 8 : Create a public space in downtown Elburn.
8.1 Activate underutilized alleyway and transform into a public gathering space. Village, Private property owners
STRATEGY 9 : Align municipal codes and policies with strategies.
AARP Livable Communities Grant Medium $10,000 to $50,000
9.1 Update the Zoning Code to facilitate strategy implementation and support transit oriented development (TOD). Village RTA; CMAP High
9.2 Update the Strategic Plan to ensure strategic priorities continue to advance strategy implementation and support TOD. Village Medium $20,000 to $30,000
A All costs are in 2022 dollars. Actual projects costs are subject to change based on inflation and other factors which may be unforeseen.