Ornamentales & Jardinería 65

Page 1

BONSAÍ

Bonsái, la réplica artística en miniatura de la forma natural de un árbol

CONSEJOS DE JARDINERIA

Tareas y consideraciones imprescindibles para el jardín en la primavera

GERBERA

Hibridación controlada de variedades enfocada a las interacciones plantapolinizador

PLANTAS DE BULBO

Plantas con un ciclo de crecimiento adaptable a las estaciones y condiciones climáticas

GLADIOLO

Enfermedades en el cultivo de esta ornamental cuya demanda no disminuye

CACTÁCEAS

Notable diversidad en la forma y tamaño de especies ecológicamente importantes

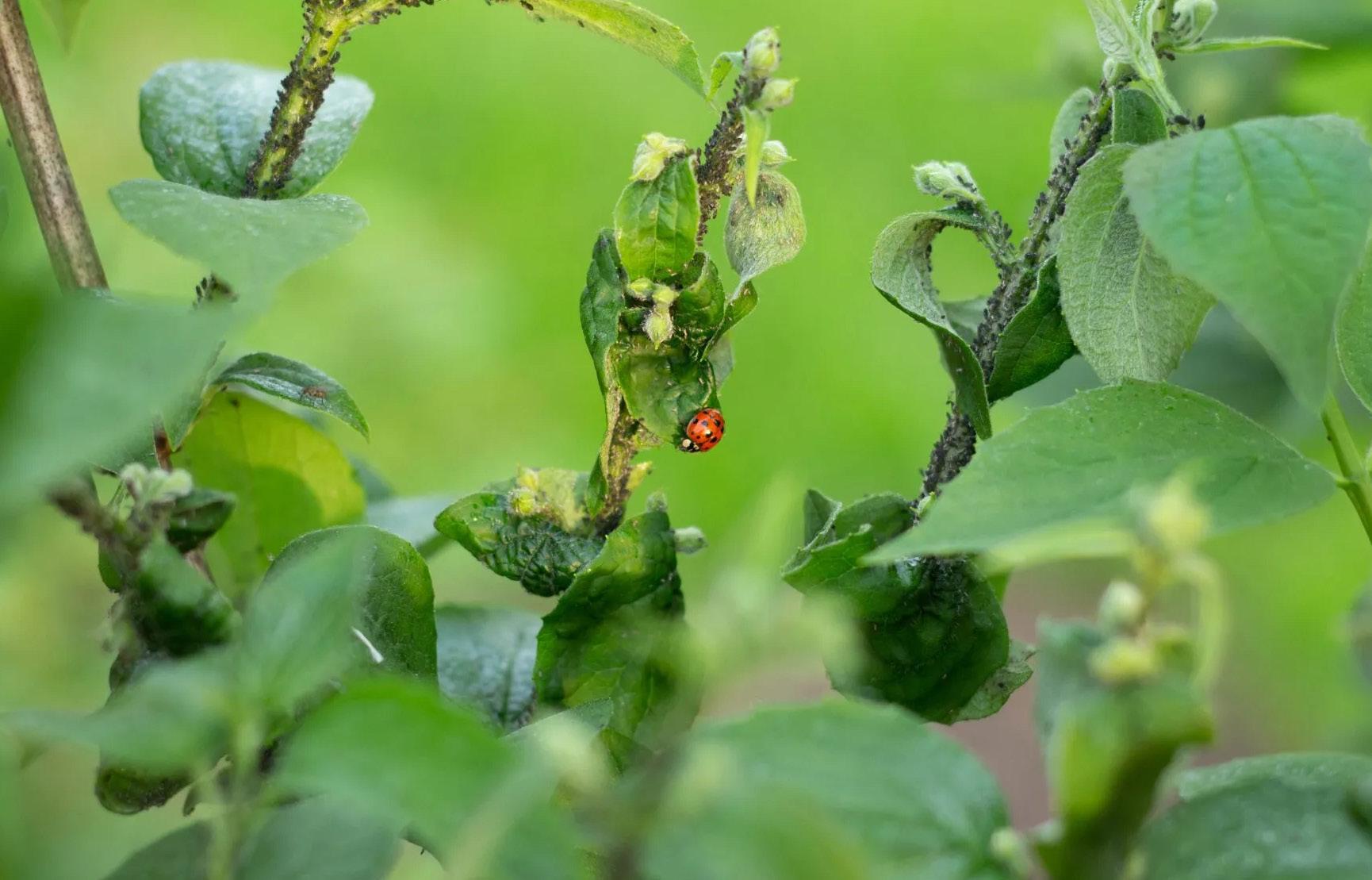
PLAGAS

Efecto de las compostas, agua, nutrición, luz y temperatura en las plantas de follaje

FLORES TROPICALES

Logre en el jardín más color, fragancias y altura con flores tropicales

JARDINERÍA DE PRIMAVERA

Tareas y plantación de nuevas especies al inicio del año

VITRINA DE TULIPANES DE GRUPO AKIKO 2024

ARREGLOS FLORALES

Realización de arreglos florales de acuerdo con parámetros fundamentales

ANTURIO

3 cosas que muy pocas personas saben sobre el Anturio y sus beneficios

PLANTAS ORNAMENTALES

¿Qué son y cuáles son las más populares?

BUZÓN

Consejos para el cuidado del jardín

Vol. XV, N° 65 EneroAbril, 2024
8 Página 4 Página 22
4 22 24 26 28 30 34 36 8 10 14 18 38 40
Página 14 Página 30

PLAN PARA FORTALECER LA TRAZABILIDAD EN LA PRODUCCIÓN Y COMERCIALIZACIÓN DE PLANTAS ORNAMENTALES

Con la meta de dar puntual seguimiento al Plan contra la inflación y la carestía, Pacic, en lo que a la producción, abasto y precios corresponde, así como proteger el trabajo y los derechos de obtentores y mejoradores de las líneas genéticas de flores y plantas, la Secretaría de Agricultura y Desarrollo Rural y la Asociación Nacional de Tiendas de Autoservicio y Departamentales, ANTAD, han establecido un convenio que busca beneficiar a productores y consumidores del país.

Las empresas que forman parte de la Asociación fomentarán la producción y proveeduría de flores y plantas ornamentales que respeten los derechos de obtentor, calidad de las semillas y sistemas de producción sostenibles, informó la Secretaría de Agricultura y Desarrollo Rural. Además, habrá una proveeduría directa de flores y plantas ornamentales de materiales novedosos, de última generación y más atractivos para el consumidor, con lo cual se espera incremente la demanda y, con ello, el beneficio para las familias productoras, fitomejoradores y obtentores de los materiales.

Otro de los objetivos es fortalecer la trazabilidad en la producción y comercialización y promover la práctica de un comercio directo con productores, con beneficios al consumidor y a las familias del sector primario del país. El acuerdo incidirá en el fortalecimiento del respeto a los derechos de obtentor en el rubro de flores y plantas ornamentales para incrementar la participación de mercado en nichos internacionales, cuyo potencial aún es mínimamente aprovechado, resaltó el titular de Agricultura, Víctor Villalobos Arámbula.

El encargado de la Coordinación General de Agricultura, Santiago Argüello Campos, informó que el siguiente paso será instrumentar un esquema de trazabilidad en producción y comercialización de ornamentales. Precisó que esta iniciativa conjunta esfuerzos y recursos para impulsar el uso de semillas de calidad y establecer cadenas cortas y comercio directo entre productores y tiendas de autoservicio, mediante una proveeduría basada en innovaciones vegetales que cubran las expectativas de calidad: diversidad de productos, mayor vida anaquel y asequibles al consumidor.

El representante del Instituto Interamericano de Cooperación para la Agricultura, IICA, Diego Montenegro, resaltó que este Convenio es muestra de cómo los sectores público y privado pueden trabajar y, a través de estos esquemas, fortalecer las políticas que incidan en las agendas de innovación, producción sostenible y comercio justo. El director general del Servicio Nacional de Inspección y Certificación de Semillas, SNICS, Leobigildo Córdova Téllez, señaló que las rosas, por ejemplo, son fáciles de producir sin registros oficiales y algunas ornamentales son muy fáciles de multiplicación, de ahí la relevancia de poner candados y que los centros comerciales ayuden en el control de los materiales vegetales y ornamentales que adquieren para comercializar.

El encargado del despacho del Instituto Nacional de Investigaciones Forestales, Agrícolas y Pecuarias, INIFAP, Luis Ángel Rodríguez del Bosque, indicó que 80 por ciento de los alimentos que comercializan los socios de la ANTAD son variedades generadas por el Instituto, como el limón mexicano o el chile habanero, y resaltó y puso a disposición el acervo de conocimiento y materiales genéticos desarrollados por el INIFAP para la agricultura y la alimentación.

EDITOR

JAVIER BOLAÑOS CARREÑO javierbolcar@prodigy.net.mx

PUBLISHER

MARIBEL JARILLO OLGUÍN maribeljarillo@yahoo.com.mx

IDEA ORIGINAL DE REVISTA

EDITORIAL DERIEGO, S.A. DE C.V.

DISEÑO

TANIA HERNÁNDEZ MORENO diseno.editorialderiego@gmail.com

CORRECCIÓN DE ESTILO

ROSALBA TURNER rslbturner@hotmail.co.uk

VENTAS

GERARDO POLANCO ARCE ventas.editorialderiego@gmail.com

MARKETING Y SUSCRIPCIONES suscripciones.editorialderiego@gmail.com

FINANZAS

LUCÍA MUÑOZ PÉREZ lumupe3@hotmail.com

LOGÍSTICA

ISRAEL JARILLO OLGUÍN logística@editorialderiego.com

Suscripciones y Ventas de Publicidad

55 1919 7407

Escríbenos a: Revista Ornamentales & Jardinería Apdo. Postal 86-053, Ciudad de México, C.P. 14391, México.

Ornamentales & Jardinería, Volumen XV, Número 65, EneroAbril de 2024, es una publicación especializada enfocada al sector de ornamentales. Editada y distribuida por EDITORIAL DERIEGO, S.A. DE C.V., en Rancho Vista Hermosa #243, Col. Campestre Coyoacán, Delegación Coyoacán, Ciudad de México, C.P. 04938.

Teléfono: 01 (55) 2596 2850

www.editorialderiego.com

Editor responsable: Francisco Javier Bolaños Carreño. Reservas de Derecho al Uso Exclusivo: N° 04-2012-020309524500-102. ISSN en trámite. Certificado de Licitud de Título y Contenido: N° 15512. Registro SEPOMEX: PP09-01900. Este número terminó de imprimirse en Agosto del 2023, con un tiraje de 5,000 ejemplares.

Las opiniones expresadas por los autores no necesariamente reflejan la postura del editor de esta publicación. Queda estrictamente prohibida la reproducción total o parcial de los contenidos e imágenes de esta publicación sin previa autorización por escrito del editor responsable.

2 Enero - Marzo

GERBERA

Hibridación controlada de variedades enfocada a las interacciones planta-polinizador

Flores de corte de alto valor de la familia Asteraceae utilizada como flor fresca y seca en la decoración y confección de ramos, con alta demanda en mercados nacional y de exportación.

POR CRISTÓBAL DURAN MONTERO

Las gerberas cultivadas se encuentran entre las cinco flores cortadas más importantes en el comercio mundial de floricultura y también se cultivan ampliamente como plantas de floración, macetas o jardínes en muchos países. El mejoramiento genético de gerberas en los últimos 50 años ha dado lugar al desarrollo de numerosos cultivares clonales e híbridos F1 propagados por semillas.

El mejoramiento de la gerbera comúnmente se basa en hibridación controlada entre variedades con rasgos fenotípicos de interés que se desea combinar para posteriormente hacer selección fenotípica, generalmente en su progenie F1, la cual es variada debido a la naturaleza heterocigótica de sus progenitores. Los individuos de la progenie seleccionados, son propagados vegetativamente para asegurar su uniformidad y después comercializarse en etapa de plántula. La selección fenotípica generalmente considera diferenciación en caracteres, como la morfología de las flores, tiempo a floración, longitud de pedúnculo, rendimiento y vida en florero. La diferenciación de caracteres fenotípicos se hace mediante caracterización morfológica, la que en conjunto con la caracterización molecular permiten identificar la variación genética existente; en este sentido, el estudio de la variabilidad puede iniciar con la identificación de características fenotípicas visuales que puedan servir como marcadores morfológicos para la diferenciación de individuos.

Los objetivos de mejoramiento para los cultivares de gerbera de flor cortada, maceta y jardín difieren hasta cierto punto, sin embargo, las flores brillantes en múltiples colores, tipos de flores y patrones de coloración, floración temprana y continua, alta calidad de flores, alto recuento o rendimiento de flores, tolerancia a estreses bióticos y abióticos y un fuerte rendimiento de la planta son importantes para todos los tipos de gerberas. La hibridación y la endogamia han sido los principales enfoques utilizados en la cría de gerberas; Seguirán desempeñando un papel decisivo en la mejora de las gerberas. En los últimos años, se ha descubierto resistencia al oídio, resistencia a Botrytis, tallos frondosos, pétalos retorcidos y otros caracteres o características novedosas en la gerbera.

El color floral juega un papel crucial en la vida de las plantas, como las interacciones planta-polinizador y la modificación del entorno abiótico de las estructuras reproductivas.

Los estudios genéticos, genómicos y moleculares realizados en los últimos 20 años han llevado al desarrollo de una serie de nuevas herramientas y recursos para la cría de gerberas, incluidos marcadores moleculares para la resistencia al oídio y a la Botrytis, mapas de ligamiento genético para las regiones locales y el genoma completo, genes candidatos para tipos de flores y resistencia a enfermedades, genes residentes clonados para la síntesis y regulación de antocianinas, secuencias genómicas y transcriptómicas, y tecnologías de transferencia de genes. Se espera que a medida que estos y otros nuevos rasgos se incorporen a nuevos cultivares y se adopten ampliamente nuevas herramientas de mejoramiento, el mejoramiento de gerberas alcanzará sin duda algunos cambios estructurales y fisiológicos de gran importancia para el mercado.

En condiciones de alta temperatura, puede ocurrir un trastorno fisiológico y, por lo tanto, existe la necesidad de un entorno parcialmente controlado para que el cultivo crezca con éxito. En ambientes tropicales y subtropicales, la gerbera se puede cultivar con la calidad deseada en condiciones de invernadero con diferentes grados de control climático. Además, la elección de cultivares adecuados es un requisito previo para lograr una productividad sostenible en condiciones de cultivo.

La gerbera es una flor líder y se encuentra entre las diez mejores flores cortadas del mundo con una aplicabilidad más amplia en la industria de las flores como flor cortada y planta en maceta. Es una planta herbácea perenne enana, que crece en grupos con cabezas de flores solitarias en tallos largos y delgados que crecen muy por encima del follaje. Las flores vienen en una amplia gama de colores, incluyendo amarillo, blanco, rojo, naranja, rosa, granate, carmesí y tonos intermedios de estos colores.

CUANTIFICACIÓN DEL COLOR Y VARIACIONES EN LOS PIGMENTOS EN LAS PLANTAS CON FLORES

Las plantas con flores han desarrollado Las plantas con flores han desarrollado una amplia gama de tipos de flores que exhiben una sorprendente gama de colores utilizando una diversidad de numerosos pigmentos. Los colores de los pétalos juegan un papel decisivo en la supervivencia y el proceso reproductivo sucesivo de varias plantas ornamentales al atraer a los insectos para asegurar la polinización.

5 Enero - Marzo

Sin embargo, las variaciones en los pigmentos en las plantas con flores no se comprenden bien. La cuantificación del color es un requisito previo clave para la clasificación del color de las flores.

Recientemente, el espacio de color de la Comisión Internacional de Aclaramiento (CIELAB), también conocido como CIE L*a*b*, se ha utilizado ampliamente para cuantificar los fenotipos de color de flores y frutos. El sistema de espacio de color CIELAB se define mediante el uso de los ejes de coordenadas de L* (luminosidad), a* (verde a rojo) y b* (azul a amarillo).

Lagerberatieneunlugarimportanteen la industria de la flor cortada. Por esta razón, los estudios están orientados al desarrollo comercial. Los estudios científicos en este campo se pueden agrupardelasiguientemanera:

•Producirgerberasdeprimeracalidad proporcionando el desarrollo de la alturadelaplanta,eldiámetrodelaflor yeltallodelaflorconreguladoresde crecimiento

•Obtenerplantasrápidasynumerosas conınVıtro

•Incorporacióndenuevosproductosa lagamadeproductosconestudiosde mejora

• Los estudios se llevan a cabo sobre la base de aumentar la vida útil del florero e introducir nuevas soluciones en el mercado con el fin de mantener la vitalidad de la planta en el proceso desdelacosechahastaelconsumo

Los colores de los pétalos atraen polinizadores como las abejas y los pájaros, que ayudan a la transferencia eficiente del polen entre plantas. También puede indicar la presencia de pigmentos y sustancias químicas dentro de una determinada especie, como antocianinas, pigmentos flavonoides y otras sustancias químicas esenciales de la planta directamente relacionadas con el color de la planta. Además, el color de los pétalos indica los genes expresados que proporcionan a los investigadores una vía valiosa hacia la generación de nuevas variedades y la comprensión de las interacciones genéticas en el programa de mejoramiento de plantas ornamentales.

El color aparente de la flor se rige por la absorción selectiva de longitudes de onda específicas de luz por parte de los pétalos y a través de la dispersión de la luz en el interior del pétalo.

El estándar CIELAB proporciona un estándar de medición de color preciso y uniforme a través del cálculo del color en tres ejes. Este sistema de color ha sido ampliamente aplicado en la clasificación y determinación de la coloración de flores y frutos en varias plantas, entre ellas Manihot esculenta, Paeonia, Chrysanthemum morifolium, Osmanthus fragrans, Hemerocallis spp., Rosa spp., etc. El diferente color de las flores se atribuye a varios pigmentos que se pueden dividir en tres grupos principales, incluidos carotenoides, flavonoides y betalaínas. Desde el fenotipo hasta el análisis de pigmentos, es fundamental comprender la formación del color de las flores de varias plantas ornamentales.

Gerbera hybrida (2n = 2x = 50) es una de las plantas ornamentales más significativas que pertenece a la familia Compositae. Gerbera hybrida es altamente heterocigota y se originó a partir del cruce de dos especies silvestres africanas (Gerbera jamesonii y Gerbera viridifolia) (Hansen, 1999). Es valorado debido a sus excepcionales y atractivos colores y formas de flores. La gerbera es una flor de invernadero popular que ocupa el quinto lugar en el mercado mundial de flores cortadas. Además, la variación diversa en el color de las flores, el patrón de los flósculos de los radios y los discos, y la abundancia de metabolitos secundarios derivados de vías vinculadas lo convierten en un cultivo modelo para la investigación biosintética.

Hay pocos estudios disponibles sobre el color de la flor de la gerbera, sin embargo, hay una falta de evaluación sistemática y clasificación del fenotipo del color de la flor. Los marcadores moleculares se han convertido en una herramienta eficaz para el desarrollo de cultivares y los programas de mejoramiento en una variedad de cultivos.

6 Enero - Marzo

PLANTAS DE BULBO

a las estaciones y condiciones climáticas

Plantas con un ciclo de crecimiento adaptable a las estaciones y condiciones climáticas

POR CECILIA YÁÑEZ MORALES

Después de un largo y frío invierno, las primeras flores de primavera son algo para celebrar. Los tulipanes, narcisos y jacintos se encuentran entre las plantas más alegres que aparecen en los jardines. Además de su temporada de floración, estas plantas tienen una cosa en común: crecen a partir de bulbos. Para disfrutar de sus coloridas flores, es necesario saber cómo y cuándo plantar los bulbos.

Con una amplia variedad de flores de bulbo para elegir, existe una opción perfecta para el gusto y el clima de cada quien.

Nada marca el final del invierno como una alegre flor de primavera. Desde las primeras campanillas de invierno y narcisos hasta las prímulas y algunas otras, son utilizadas como un marcador

de primavera para contar los días hasta que las temperaturas vuelvan a aumentar y podamos pasar más tiempo en nuestros jardines. Las flores de primavera también son importantes para los polinizadores. Muchos polinizadores, incluidos los abejorros y algunas mariposas hibernan durante el invierno y dependen de las flores de primavera para que les proporcionen néctar y polen cuando salen de la hibernación. El néctar de las flores de primavera proporciona a los polinizadores la energía para volar y encontrar una pareja o un sitio de anidación, mientras que el polen de las flores de primavera ayuda a los abejorros a comenzar a poner huevos para la próxima generación de abejorros. Plantar bulbos puede parecer complicado, pero puedes simplificar el proceso siguiendo

8 Enero - Marzo

esta regla general: planta el doble de profundidad que la altura de tu bulbo. Por ejemplo, si el bulbo mide dos pulgadas de alto, cava un hoyo y planta el bulbo cuatro pulgadas hacia abajo. También puede agregar unos centímetros de mantillo o tierra para jardín sobre el suelo después de plantar sin obstaculizar los bulbos cuando emerjan en primavera.

Existen muchos tipos de plantas y cada una de ellas ha sabido evolucionar para adaptarse lo mejor posible al medio en el que se encuentra. Uno de los ejemplos más claros de adaptación lo encontramos en las plantas con bulbos, que se caracterizan por contar con un órgano de mayor tamaño que el resto de órganos de la planta que permanece enterrado durante todo el tiempo y que constituye una fuente de alimento constante para la planta, lo que hace que tenga más posibilidades de sobrevivir en entornos donde las condiciones sean poco favorables.

A medida que los días se hacen más largos y cálidos, es hora de comenzar a pensar en bulbos para plantar en primavera. Hay varios bulbos disponibles para plantar en la temporada de primavera, incluidos gladiolos, dalias, cannas y alcatraces. Cada tipo tiene sus propias características únicas que se adaptan a diferentes áreas del jardín. Si bien la profundidad puede ser una fórmula simple, el momento exacto de plantar bulbos no es una fecha específica, es más bien una ventana de tiempo. En otras palabras, el mejor momento para plantar bulbos que florecen en primavera depende de dónde vivas más que de tu agenda.

UNA

EXHIBICIÓN CONTINUA DE

BELLEZA EN LOS JARDÍNES

Las flores de bulbo no solo ofrecen colores vibrantes, sino que también florecen en diferentes épocas del año. Algunas de las flores de bulbo más populares incluyen tulipanes, narcisos y jacintos, conocidos por su fragancia y resistencia en diversas zonas de rusticidad. Seleccionando diferentes tipos de flores de bulbo y plantándolas estratégicamente, podrás disfrutar de un jardín lleno de color durante todo el año.

Estas plantas resistentes requieren poco mantenimiento y aportan una explosión de color al paisaje.

Las plantas con bulbos son plantas como cualquier otra. Sin embargo, en lugar de desarrollar raíces por debajo del tallo, desarrollan el denominado bulbo, del cual sí que brotarán algunas raíces más adelante. El bulbo es un órgano de este tipo de plantas que se caracteriza por tener la clásica forma de la cebolla; de hecho, la cebolla es el bulbo de esta planta.

La mayoría de los bulbos adoptarán esta forma de cebolla, ya sea en mayor o menor tamaño, desarrollado en capas o en gajos, así como en unas tonalidades u otras. No obstante, también se pueden encontrar plantas que desarrollan órganos similares a los bulbos, como son los tubérculos o los rizomas. Este tipo de plantas suelen ser catalogadas también como "plantas bulbosas", aunque en realidad sus órganos subterráneos presentan suficientes diferencias como para que no sean denominados bulbos en sí mismos.

Existen muchos elementos que hacen que las plantas con bulbos presenten ventajas con respecto a otras plantas que carecen de este tipo de órganos subterráneos. En primer lugar, esto les permite adaptar su ciclo de crecimiento a las estaciones y a las condiciones climáticas. Al constituir el bulbo

una reserva de agua y alimento, las plantas con bulbos pueden entrar en una fase de letargo durante el invierno y, llegada la primavera, rebrotar de nuevo durante el tiempo en el que la climatología sea favorable.

Además, el hecho de que la mayor parte de la planta pueda sobrevivir sin la parte aérea durante largos períodos, hace que sean plantas que suelan sobrevivir con facilidad a los incendios. El fuego quema la parte exterior de las plantas, pero no así las subterráneas. Las plantas que tienen raíces convencionales tienden a morir después de los incendios, pero las plantas con bulbos suelen recuperarse con bastante facilidad, lo que explica también en parte su éxito evolutivo. Además, la mayoría de estos bulbos pueden plantarse en agua y en tierra.

9 Enero - Marzo

Las plagas y enfermedades en el cultivo del gladiolo demandan una gran cantidad de insumos de origen químico para su control, produciendo alzas en los costos de producción, contaminación del suelo y del agua, además de la infestación de los predios en donde se cultiva, por lo que es importante conocer cada insecto plaga o enfermedad, que permita implementar opciones de manejo mediante un plan de manejo integrado.

En lo tocante a los principales problemas fitosanitarios que actúan como limitantes de la producción de gladiolas en México, se encuentran malezas y los daños producidos por insectos-plagas y enfermedades fungosas. Algunos de los más económicamente importantes entre estos últimos se encuentran los trips, Frankliniella occidentalis; mosca blanca, Bemisia tabaci; pulgón, Myzus persicae; roya del gladiolo, Uromyces transversalis, y secamiento, Fusarium oxysporum, que ocasionan graves pérdidas en las zonas productoras.

Sobresale el hecho de que en los últimos diez años han sido registradas bajas en la producción debido a la enfermedad conocida como pudrición del cormo, la cual limita la cantidad de la flor de corte, de cormo y reduce su producción en 70%. De esta manera, es importante destacar que el conocimiento de insectos y enfermedades es de gran importancia para la elaboración de programas de cotrol, principalmente de manejo integrado. El cultivo de gladiola en México, principalmente en los Estados de Puebla, Morelos, Michoacán, México y Veracruz, requiere de rotaciones periódicas de suelo en las diferentes áreas en donde se desarrolla, debido principalmente al serio problema de diseminación de enfermedades fungosas persistentes en la tierra que quedan después de su cultivo.

La gladiola es una flor de uso ornamental, comúnmente de corte que surge de una planta herbácea

Gladiolo

Enfermedades en el cultivo de esta ornamental cuya demanda no disminuye

perteneciente a la familia Iridiaceae. Es una especie nativa de la región del Mediterráneo y sur de África. Se desarrolla adecuadamente en temperaturas que oscilan de 10°C a 27° C. Temperaturas inferiores a 10° C causan el cese de su crecimiento y por debajo de 0° C las plantas se queman. Resisten temperaturas extremas de 40° C, siempre y cuando haya una humedad relativa mínima del 70%. Posee un fotoperiodo largo ya que florece cuando los días son mayores de 12 h, por lo que requieren bastante luminosidad. Con la falta de luminosidad, las plantas no florecen, por lo que en algunos casos hay que aportar luz artificial. Las hojas de ésta

planta son alargadas, paralelinerves y lanceoladas, están cubiertas por una cutícula cerosa, las hojas inferiores se presentan en forma de vaina, y todas las hojas de la planta salen de la base.

El gladiolo comienza a formar la espiga floral aproximadamente 6 semanas después de la plantación y la floración se produce cuando la espiga termina de crecer. La planta se caracteriza por presentar una inflorescencia con numerosas flores en forma de espiga, esta inflorescencia está dispuesta en una espiga alargada y llega a presentar entre 12 y 20 flores. Las flores son

10 Enero - Marzo

bisexuales y cada una está rodeada por una bráctea y una bractéola. Los frutos son capsulas con semillas aladas y su propagación es mediante cormos.

ENFERMEDADES CAPACES DE PRODUCIR DAÑOS IMPORTANTES

• Pudriciones por Fusarium, Fusarium oxysporum f. sp. Gladioi

Provoca curvaturas, flexiones, arqueos, atrofias, amarillamiento o secado de las hojas asociadas con la pudrición de la raíz y el cormo en el campo, así como en el almacenamiento. La enfermedad se caracteriza por la pudrición seca en el almacenamiento, a menudo restringida a la base del cormo. Los bulbos, cuando se dividen en mitades, muestran rayas radiantes de color oscuro que se extienden desde la base del cormo a través de la carne y, en casos graves, el centro de todo el cormo es negro y podrido. La infección inicial de los bulbos se produce a través del suelo o por una infección latente del cormo del año anterior que, en condiciones climáticas adversas, desarrolla

rayas intervenales de color amarillo brillante en las hojas. El hongo se transporta prácticamente en todas las existencias de bulbos y cormillos como infección latente y también se disemina a través del suelo y el agua contaminada. Una planta que se dobla geotrópicamente con la punta de la hoja quemada es una característica conspicua. La flexión siempre comienza desde el sitio de los bulbos que muestran podredumbre.

• Enfermedad causada por Botrytis gladiolorum

Esta comienza como pequeñas manchas que se convierten en grandes manchas cubiertas de moho, que pronto matan las hojas. Los síntomas característicos incluyen pequeñas manchas de color rojo y oxidado en las hojas y los tallos y manchas de color marrón pálido a marrón oscuro en las flores. A través de los haces vasculares del tallo y las hojas, el hongo llega a los bulbos y provoca la pudrición del núcleo.

Es un hongo altamente destructivo transmitido por el suelo que afecta a

las plantas durante el clima fresco y húmedo, siendo la temperatura más favorable de 13 a 15° C. El tratamiento con agua caliente de los bulbos es eficaz para erradicar el patógeno. Los bulbos deben secarse bien antes de almacenarlos.

• Podredumbre seca o del cuello por Stormatinia gladioli

El hongo produce esclerocios con frecuencia, pero la formación apotecial no es común en la naturaleza. La infección se origina a partir de bulbos infectados y esclerocios. La alta proporción de esclerocios enterrados en el suelo aumenta la propagación de enfermedades por la siembra cercana. La podredumbre seca es una enfermedad muy extendida que ataca a las plantas de gladiolos en el campo y a los bulbos almacenados. Es más grave durante las condiciones húmedas en el campo, donde se produce un amarillamiento prematuro que finalmente provoca la muerte de las plantas.

Las hojas se vuelven marrones desde las puntas hacia abajo y en las

11 Enero - Marzo

Lograr tallos florales de calidad requiere el uso de fertilizantes sintéticos en grandes cantidades en aplicaciones bien dosificadas y acordes a la etapa fenológica del cultivo para evitar contaminación o salinización del suelo e incluso intoxicación del cultivo.

bases se descomponen causando pudrición del cuello, pero los bulbos permanecen firmemente unidos al tallo. Los bulbos enfermos muestran numerosas lesiones redondas, negras y pequeñas que varían en tamaño con bordes ligeramente elevados que pueden fusionarse formando un área irregular.

La rotación de cultivos de cuatro a seis años es esencial para eliminar los inóculos transmitidos por el suelo. El tratamiento con agua caliente es eficaz para eliminar el patógeno. La enfermedad se puede controlar remojando los cormelos primero en agua fría durante 24 horas y luego durante 30 minutos en agua caliente a 54.50°C y un buen tratamiento de fungicidas y/o antibióticos es altamente recomendable.

• Moho negro producido por Penicillium gladioli

Es una de las enfermedades que aparece principalmente en forma de crecimiento de moho negro, marrón, verdoso o amarillento en los bulbos durante el almacenamiento. Con una mala circulación de aire, los bulbos pueden pudrirse y emitir un olor fétido. Dado que la infección se produce a través de lesiones, deben evitarse las heridas de los bulbos en el momento de la excavación o durante la manipulación.

El cormo, después de excavar del suelo, debe tratarse con con productos autorizados y curarse adecuadamente antes de llevarlo a la cámara frigorífica. Deben evitarse las condiciones de almacenamiento húmedo. También hay que evitar las altas temperaturas --más de

En la producción comercial de gladiola es posible plantar sólo una o dos veces en el mismo terreno; se recomienda esperar de seis a ocho años para evitar mayores problemas fitosanitarios.

50 C en la cámara frigorífica--, ya que podrían provocar una rápida pudrición de los bulbos en condiciones de humedad.

• Burkholderia gladioli pv. Gladiolos

Los síntomas de esta enfermedad aparecen en las hojas como manchas de color amarillo parduzco. En los bulbos, los síntomas suelen aparecer como lesiones circulares, marrones, hundidas y con márgenes elevados. Se desarrollan más abundantemente en la mitad inferior del cormo. Los síntomas del tipo de pudrición del cuello aparecen como numerosas manchas pequeñas, de color marrón a negro, cerca de la base de las plantas.

Las lesiones a menudo supuran exudaciones similares a las encías. El patógeno se multiplica rápidamente y se propaga a través del suelo o puede ser arrastrado con los bulbos. Puede ser transmitida por ácaros y nematodos agalladores.

Dado que la enfermedad puede ser transmitida por ácaros, nematodos y otros insectos del suelo, se pueden aplicar insecticidas y tratamientos al suelo en surcos abiertos en el momento de la siembra antes de cubrir los bulbos con tierra. Los bulbos y cormelos deben remojarse

en formeldehído (0.5%) durante 2 horas y luego en 200 ppm de estreptomicina durante 2 horas justo antes de plantar.

• Mancha foliar de curvularia, Curvularia trifolii f. sp. Gladioli

Este patógeno se encuentra en el suelo. La enfermedad se propaga rápidamente en condiciones húmedas. Esta enfermedad afecta principalmente a las hojas, pero también se invaden otras partes de la planta. En las hojas, las manchas son inicialmente pequeñas y redondas, pero luego se extienden principalmente en dirección a las venas. Son de color marrón claro, rodeados por un anillo de color marrón rojizo más oscuro y un halo amarillento. Las masas de esporas negras del hongo se forman de forma dispersa en el centro de estas manchas.

En el tallo, las manchas son marrones, alargadas y hundidas. Estos pueden ceñir el tallo y provocar la rotura de la planta por encima del punto de infección. También aparecen lesiones de color marrón a negro en los bulbos. Se deben usar bulbos sanos y libres de enfermedades para plantar. Las plantas afectadas muestran un crecimiento retardado y se vuelven de color pálido. El síntoma característico es la formación de agallas en las raíces de la planta.

12 Enero - Marzo

El cambio climático podría aumentar sinérgicamente las amenazas actuales a la biodiversidad de los cactus.

CACTÁCEAS

Notable diversidad en la forma y tamaño de especies ecológicamente importantes

Los cactus son plantas de suma importancia por su valor cultural, económico y ecológico y, a menudo, sirven como especies fundamentales para sustentar varios polinizadores, dispersores de semillas y frugívoros altamente específicos.

Para subsistir en ambientes difíciles y áridos, los cactus han desarrollado muchos rasgos inusuales, incluida una cutícula gruesa y cerosa que restringe la pérdida excesiva de agua, una reducción en el tamaño y la duración de las hojas, la modificación de las hojas en espinas combinadas en sistemas de brotes cortos denominados areolas y un metabolismo del ácido crasuláceo, CAM, una vía fotosintética de concentración de carbono que permite a las plantas adquirir CO2 por la noche cuando se minimiza la pérdida de agua de los tejidos fotosintéticos.

Entre las características más reconocibles de los cactus se encuentran sus tallos fotosintéticos, los cuales en muchas especies almacenan grandes cantidades de agua y otros recursos para soportar el crecimiento, la reproducción y la supervivencia durante condiciones cálidas y secas. La notable diversidad en la geometría y el tamaño del tallo y en la forma de crecimiento en general, que se muestran dentro y entre las especies, hace que los cactus sean únicos entre las plantas en términos de su fisiología y morfología.

A las condiciones ya de por sí estresantes en las que prosperan muchos cactus se suma una amplia gama de amenazas causadas en gran medida, entre otros factores, por la recolección ilegal de plantas vivas y semillas para el comercio hortícola, el desmonte y desarrollo intensivos

de tierras, la introducción e invasión de especies exóticas, el aumento de la exposición a los incendios forestales y el cambio climático.

El impacto de estas amenazas tiene el potencial de ser dramático y devastador para algunas especies de cactus. De las 1477 especies de cactus evaluadas por la Unión Internacional para la Conservación de la Naturaleza, UICN, el 31 % están catalogadas como casi amenazadas, vulnerables, en peligro o en peligro crítico, y el ≥76 % de estas especies se encuentran actualmente en declive. Una evaluación más reciente indica que el ≤90 % de todas las especies de cactus tienen distribuciones geográficas que se verán afectadas negativamente por el cambio climático y/u otros factores de estrés del cambio global. Sin embargo, debido a que las especies de cactus se encuentran en una amplia gama de climas, desde desiertos extremos hasta los trópicos húmedos, es probable que los impactos del cambio

14 Enero - Marzo

climático y otros factores del cambio ambiental global sean muy variados entre especies y hábitats.

Entre las muchas características únicas de los cactus y otras suculentas de tallo se encuentra su notable diversidad en la forma y el tamaño de sus tallos fotosintéticos. A lo largo de toda la familia de los cactus, el volumen del tallo en relación con el área de la superficie, V:S, varía en más de dos órdenes de magnitud.

La amplia diversidad de la relación V:S podría tener una importancia considerable para la adaptación en los diversos ambientes donde se encuentran estas especies, dado que el volumen del tallo determina la capacidad de almacenamiento de agua, carbono y nutrientes y que la superficie del tallo está directamente relacionada con la capacidad fotosintética de toda la planta.

Los tallos con una V:S baja deberían producir una tasa relativamente alta de absorción neta de carbono por unidad de masa del tallo, lo que resulta en una tasa de crecimiento relativa del tallo potencialmente más alta. Sin embargo, las plantas con un bajo V:S tienen una menor capacidad para almacenar agua, hidratos de carbono no estructurales y otros recursos que permitirían el mantenimiento del crecimiento, la fotosíntesis y la reproducción durante periodos de estrés, como la sequía. Por lo tanto, la variación en la relación V:S debe definir las compensaciones biofísicas y ecológicas intrínsecas asociadas con la morfología del tallo, incluido el crecimiento, la eficiencia en el uso de los recursos y la preferencia de hábitat.

Dadas las inevitables compensaciones entre la capacidad

En las zonas donde los cactus se ven afectados negativamente por las actividades humanas, es probable que los ecosistemas experimenten una alteración significativa.

fotosintética y el almacenamiento de recursos en las suculentas de tallo, la relación V:S debería aumentar lógicamente en las especies expuestas a limitaciones de recursos y/o incertidumbres de recursos. En un jardín común en Phoenix, Arizona, EE.UU., las proporciones V:S de 28 especies de cactus columnares fueron generalmente más altas en las especies con distribuciones que tenían el nicho climático medio más árido, lo que arroja evidencia de que la aridez es un agente de selección para una alta capacidad de almacenamiento de recursos. Sin embargo, un análisis más robusto de 16 especies que se encuentran en lugares que oscilan entre la precipitación media anual de 30 a 500 mm año-1 no arrojó ninguna relación aparente entre el tallo V:S y la aridez.

AUMENTO DE LA ABUNDANCIA Y DISTRIBUCIÓN DE LOS TAXONES CAM

Cada vez hay más pruebas de que, a nivel mundial, las plantas de MCA se están expandiendo en abundancia y distribución geográfica en los ecosistemas de tierras secas. Sin embargo, todavía existe un debate considerable sobre si el aumento de la abundancia y la distribución se deben en gran medida al aumento del CO2 atmosférico o a otros factores, como la deposición de nitrógeno o las temperaturas más cálidas --especialmente las temperaturas nocturnas más cálidas--. Además, nuestra comprensión del aumento de la abundancia y distribución de los taxones CAM proviene en gran medida de la investigación realizada en especies CAM facultativas que cambian entre C3 y CAM dependiendo de los estímulos ambientales. En un mundo que experimenta rápidos aumentos de CO2 y aridez, uno supondría que la CAM facultativa

aporta a las plantas lo mejor de ambos mundos: la fotosíntesis C3 para aprovechar el enriquecimiento de CO2, y la expresión de CAM para aumentar la eficiencia intrínseca del uso del agua, es decir, la absorción de carbono fotosintético dividida por la conductancia estomática, drásticamente en relación con las plantas C3 y C4 durante los períodos de sequía y/o estrés térmico. Sin embargo, la ventaja competitiva proporcionada por el enriquecimiento de CO2 a las plantas CAM constitutivas, incluidas casi todas las plantas de la familia Cactaceae, en relación con otros tipos funcionales de plantas sigue siendo en gran medida desconocida.

Con el fin de desentrañar los beneficios potenciales del enriquecimiento de C02 en los taxones de Cactaceae y las plantas CAM constitutivas de manera más amplia, primero debemos comparar las diferencias matizadas entre la expresión CAM de cuatro fases y la de dos fases. Una característica común de muchas plantas CAM es la expresión de la fotosíntesis CAM por la noche y la fotosíntesis C3 durante la madrugada después del amanecer o al final de la tarde antes del atardecer. La expresión de CAM en las cuatro fases por la cual el CO2 se adquiere por la noche y se almacena como un ácido orgánico (fase I), se descarboxila y se vuelve a fijar por Rubisco durante el día (fase III) y se acompaña de fotosíntesis C3 a primera hora de la mañana y al final de la tarde (fases II y IV), es más común cuando el agua está fácilmente disponible y el estrés por temperatura es mínimo.

Las plantas que expresan las cuatro fases de CAM tienen la capacidad de producir tasas sustancialmente más altas de fotosíntesis neta durante ciclos diurnos en comparación con las plantas que expresan solo las fases I y III, pero con la compensación de operar con una eficiencia de uso de agua reducida. Aproximadamente 30 linajes de plantas se distinguen como suculentas, pero de ellos solo un pequeño subconjunto son ricos en especies y ecológicamente importantes en ecosistemas áridos y semiáridos de todo el mundo. Entre los más notables de estos grupos se encuentran los cactus (Cactaceae), que incluyen la radiación más espectacular del Nuevo Mundo de plantas suculentas, con ~1850 especies distribuidas en regiones áridas y semiáridas dentro de un extenso rango nativo desde todo el sur de Canadá hasta la estepa patagónica en Argentina.

16 Enero - Marzo

Si bien las plantas con flores son la pieza central de los jardines, las plantas de follaje también pueden ofrecer un interés único.

PLAGAS

Efecto de las compostas, agua, nutrición, luz y temperatura en las plantas de follaje

El cuidado de las plantas de follaje no es diferente al de la mayoría de las otras plantas de jardín, pero ayuda a conocer sus necesidades básicas. Generalmente son fáciles de cuidar y mantener conociendo bien cada necesidad. Por definición, una planta de exterior es aquella que puede vivir al aire libre, plantada directamente en el suelo, sea de un jardín, terraza o patio, ya que sus características naturales hacen que sean ejemplares más resistentes y con mayor capacidad de adaptación a las inclemencias. Saber elegir el tipo de planta para un jardín o área de exterior toma en cuenta distintos factores, como la cantidad de luz predominante o las necesidades de riego. Pero también tenemos que valorar cómo cuidar las plantas de exterior, ya que necesitarán de ayuda.

Las ompostas y mezclas para macetas

Se puede usar una amplia variedad de ingredientes para macetas para cultivar plantas de follaje pero se debe considerar la aireación, la capacidad de retención de agua y la capacidad de intercambio catiónico para cultivar plantas de buena calidad.

El riego

Se utilizan grandes cantidades de agua para producir plantas de follaje por hectárea por semana. Algunas plantas requieren riego diario, pero otras se pueden regar con tan poca frecuencia como una vez cada una o dos semanas.

La contaminación de las aguas subterráneas por parte de los productores de follaje es una preocupación creciente.

La fertilización

Está práctica tiene un efecto directo en el crecimiento de las plantas de follaje. Algunas plantas toleran una amplia gama de fertilización, mientras que otras requieren un nivel limitado. Las sales solubles y la proporción de nutrientes son factores importantes que influyen en el crecimiento óptimo.

La luz

Las plantas deben tener luz adecuada para la fotosíntesis para proporcionar la fabricación de alimentos. Las plantas de follaje varían en su tolerancia a la luz, pero la mayoría requieren intensidades de luz de 150 – 600 μmol·s-1 ·m-2

La temperatura

A medida que aumenta la temperatura, la tasa de crecimiento de las plantas aumenta hasta que se alcanza el óptimo; Un mayor aumento de la temperatura da como resultado una disminución en el crecimiento. La mayoría de las plantas de follaje ornamental mueren a 0° C, no crecen a 10° C y crecen mejor a 25-30° C.

PROBLEMAS CON PLAGAS, ENFERMEDADES Y HONGOS

Las plagas más comunes del follaje y las plantas con flores son los ácaros, las cochinillas, las moscas

18 Enero - Marzo

de los hongos, la mosca blanca y los pulgones. El uso de material vegetal para la decoración de exteriores e interiores los expone a todo tipo de plagas del jardín, como orugas, caracoles y trips, muchos de los cuales prosperan una vez que las plantas se trasladan de nuevo al interior. Por esta razón, las plantas que se trasladan de terrazas, patios, etc. a la casa u oficina deben lavarse a fondo con un rociador de agua limpia.

A pesar de los mejores programas de control empleados por los productores y minoristas, a veces sucede que una nueva planta alberga plagas cuyos huevos han sobrevivido para eclosionar en las condiciones de su hogar. Un período de aislamiento, 10-14 días, puede ser la respuesta. Sin embargo, es posible que algunas plagas no aparezcan durante más tiempo ya que están presentes en pequeñas cantidades hasta que el clima interior se vuelve más favorable; Por ejemplo, los ácaros prosperan en el aire seco, por lo que es posible que no se hagan

evidentes hasta que pase la temporada húmeda.

La comprobación regular y frecuente de crecimiento anormal e insectos puede combinarse con la comprobación de las necesidades de riego. La mayoría de las plagas acechan debajo de las hojas y cerca de la punta de crecimiento, donde el tejido es más blando. La mayoría de estas plagas se pueden eliminar con un chorro de agua. Varios lavados durante un período de dos o tres semanas, además del aislamiento de la planta infestada para evitar que la plaga se traslade a otras plantas, generalmente elimina el problema. Los aerosoles químicos no son agradables de usar y, por lo general, se recomiendan para su aplicación en exteriores. Algunos plaguicidas son peligrosos, no solo para el medio ambiente en general, sino también para el tejido vegetal. Los helechos son extremadamente sensibles a todas las formas de rociado químico, y las frondas infestadas es mejor eliminarlas y destruirlas.

Las enfermedades son raras en el follaje y las plantas con flores. Los únicos que es probable que se encuentren son Botrytis, el hongo del moho gris que invade los tejidos muertos y moribundos, y los hongos de manchas blandas de las hojas o de la pudrición de la corona que prosperan en atmósferas húmedas. La mejor cura es eliminar las partes afectadas y evitar salpicar la planta al regar. Deje más espacio para la circulación del aire o mueva las plantas infectadas a un lugar más seco.

Una infestación de plagas se puede reducir si la detecta lo suficientemente temprano, pero una vez que una enfermedad de las plantas se propaga por su jardín, depende en gran medida del azar si sus plantas sobreviven. Mantener un jardín saludable requiere previsión y buen ojo para las áreas de alto riesgo.

El manejo de plagas en follaje y plantas ornamentales leñosas requiere un enfoque integrado.

19 Enero - Marzo

CONSEJOS SIMPLES PARA MANTENER PLANTAS ORNAMENTALES EN BUEN ESTADO

• Uso de mantillos. El mejor momento para usarlos es en primavera pero se puede esparcir en cualquier momento y aún obtendrá beneficios positivos. El mantillo retiene la humedad del suelo y puede ayudar a prevenir el riego excesivo.

• Riegos tempranos, por la mañana y nunca en exceso. Charcos de agua estancada en el jardín es indicación de que podrías estar en problemas.

• Aplicación de fertilizantes. Se recomienda minimizar la cantidad de nitrógeno que está aplicando a la planta. Si bien el nitrógeno ayuda a que tus plantas crezcan, también puede causar infestaciones de hongos y bacterias si se aplica en abundancia.

• Una plantación espaciada. Si sus plantas están apiñadas, la humedad aumentará en esa área localizada, lo que aumenta la posibilidad de infección.

• Control de plagas. Los pulgones que se alimentan de hojas producen agujeros que serán especialmente vulnerables a infecciones.

El manejo integrado de plagas implica el uso de una combinación de enfoques de manejo, por ejemplo, biológicos, culturales y químicos, para reducir los problemas de plagas por debajo de los niveles de daño económico y ecológico. Ningún método de manejo de plagas por sí solo será completamente exitoso.

El monitoreo es un aspecto esencial de una estrategia de MIP. Es necesario realizar una exploración regular --una o dos veces por semana-para detectar la actividad de las plagas, la abundancia y la cantidad de daño causado para determinar el momento óptimo del tratamiento. Las tarjetas adhesivas amarillas colocadas cerca de las plantas indicarán rápidamente la presencia de plagas, como moscas blancas, pulgones o trips. Sin monitoreo, los tratamientos mal programados o programados regularmente

pueden ser ineficaces para controlar la plaga objetivo o matar a los enemigos naturales. La mera presencia de una plaga rara vez justifica un tratamiento generalizado con plaguicidas.

Comprender la biología de los insectos y los ácaros es importante para controlar las infestaciones. Los inmaduros, por ejemplo, larvas o ninfas, suelen ser la etapa más dañina; sin embargo, los adultos de algunos insectos también pueden causar daños. Decidir cómo controlar las infestaciones depende de qué insecto está causando el daño, su etapa de vida y dónde o cómo se alimenta o daña la planta. Los insectos masticadores pueden controlarse fácilmente con insecticidas de contacto, mientras que los insectos chupadores, los ácaros y los trips pueden controlarse con materiales de contacto o sistémicos.

20 Enero - Marzo

BONSÁI

Bonsái, la réplica artística en miniatura de la forma natural de un árbol

SU FUNDADOR

El Museo de Bonsái John Naka nace en 2010 gracias a la colección que el Ing. Emigdio Trujillo Sánchez donó en 1980.

MUSEO DE BONSAI JOHN NAKA

SABÍAS QUÉ...?

El Museo ha sido nombrado John Naka en su honor pues fue quien enseñó el arte del bonsai en todo América. Es autor de dos libros considerados como la Bibliadelbonsái.

Fundado en el 2010, el Museo de Bonsái John Naka, pudo ser creado gracias a la colección que el Ing. Emigdio Trujillo Sánchez, su fundador, donó en 1980. Actualmente, cuenta con más de 400 especies y 100 variedades con estilos artísticos de la escuela japonesa. La exposición de este museo vivo, ubicado en Atlixco, en el estado de Puebla, se presenta en un vivero de cinco mil metros cuadrados en el cual el visitante puede leer el linaje de cada ejemplar en fichas individuales de información.

El Museo de Bonsái de Atlixco ha sido nombrado John Naka en su honor pues fue él quien

enseñó el arte del bonsai en todo América. Es autor de dos libros considerados como la Biblia del bonsái. Por su parte, el Ing. Trujillo se inició en este arte en 1974, dándose a la tarea de encontrar plantas ornamentales inexistentes en ese tiempo en México y que podrían ser buenos especímenes para el cultivo y diseño de bonsái. En 1978 importó esquejes de plantas ornamentales de hoja pequeña, tales como olmo “Catlin”, Juníperos procumbens “nana”, San José, entre otros, y desde luego variedades mexicanas como el ahuehuete, el fresno, palo dulce, copal, etc. Hoy en día, el Museo de Bonsái cuenta con árboles que se han creado desde hace 10,20,30,40 y 50 años.

El arte del bonsái encuentra su origen en la China hace mas de 1500 años y 700 años después, pasó a Japón. Fueron los creadores japoneses de bonsái quienes establecieron las reglas y estilos de su creación, diseño y mantenimiento.

El arte del bonsái encuentra su origen en la China hace mas de 1500 años.

22 Enero - Marzo

relajación, además de que te hace conectar de una forma muy especial con la naturaleza. Cultivarlo es una práctica que protege la salud mental, como un tipo de terapia oriental muy similar al yoga, con numerosos beneficios para la salud y el bienestar. El bonsái es también una herramienta para promover la biodiversidad y la conservación de especies endémicas, además de ser un espacio lleno de paz y armonía, donde puedes aprender y descubrir su misticismo.

a mano, que se diseña durante muchos años, utilizando diferentes técnicas como alambrado y despunte.

El Museo John Naka abre de lunes a sábado de 9:00 a 4:30 y domingos de 10:00 a 4:30.

Blvd. Niños Héroes # 1009, Col. La Alfonsina, Atlixco, Pue. CP. 74295, Cel y Whatsapp: 5562980722

23 Enero - Marzo

CONSEJOS DE JARDINERÍA

Tareas y consideraciones imprescindibles para el jardín en la primavera

Para conseguir la remineralización del suelo se mezclan en este minerales procedentes de la molienda de rocas a través de una malla fina. Pueden utilizarse materiales como diatomeas, dolomitas, roca fosfórica y zeolitas, entre otros.

24 Enero - Marzo

POR CARMELO NÚÑEZ BERNAL

El inicio de la primavera es un período de tiempo ideal para preparar los terrenos y jardínes para la siembra, plantación y cultivo de flores, arbustos, árboles e incluso y verduras. A medida que se acerca la primavera, son observables nuevos brotes en árboles y claramente las plantas que han estado inactivas durante los meses del invierno comienzan a despertar.

Lo primero que se debe de hacer con cualquier proyecto, de jardinería o de otro tipo, es hacer un plan. Más concretamente, un plan informado basado menos en el cambio de estación y en tus plantas favoritas y más en lo que crece mejor en el lugar donde vives. No todas las flores o hierbas están destinadas a ser plantadas durante la primavera, o incluso en su área. Si bien muchos principiantes asumirían que todas las plantas se plantan mejor al comienzo de la primavera, muchos bulbos y cobertura del suelo se beneficiarán de una siembra a fines de la primavera o incluso en otoño.

Una vez tomada la decisión de qué tipos de hortalizas o hierbas plantará, es hora de preparar el suelo. Dependiendo de dónde vivas, el suelo puede ser menos que ideal. Tal vez contiene mucha arcilla o le faltan los nutrientes necesarios para estimular el crecimiento de las plantas. La remineralización significa agregar polvo de roca o polvo de roca al suelo cuando es deficiente en elementos cruciales para un crecimiento óptimo. Prestar mucha atención a la salud del suelo contribuirá en gran medida a obtener los mejores resultados posibles en la jardinería.

del agua aplicada. El resto del agua necesita un lugar a dónde ir ya que la acumulación de agua no solo aumentará las posibilidades de pudrición de la raíz, sino que también privará a las plantas del oxígeno necesario para que florezcan.

Crear un jardín va más allá de cavar un hoyo y dejar caer algunas semillas en él. De hecho, es posible que tengas una experiencia aún más exitosa si te saltas este paso, dependiendo de la planta y el rendimiento que desees. Comenzar las plantas en el interior y luego trasplantarlas a su jardín al aire libre puede ser muy beneficioso. Colocar verduras o hierbas que han comenzado su vida en el interior le da a sus plantas una mejor oportunidad contra los elementos exteriores y acelera su crecimiento. Es posible que aún desee plantar directamente a partir de semillas en algunos casos, pero saber qué método es el mejor es crucial para los nuevos jardineros.

Una regla general es que se debe sembrar directamente cualquier planta de la que se quieran muchas y trasplantar plantas de las que solo se necesiten unas pocas. Entonces, si está sembrando una hilera de lechuga, puede sembrarla directamente, mientras que las plantas más grandes como tomates, pimientos y calabazas deben trasplantarse.

EVITE EL HACINAMIENTO Y DRENAJE INADECUADOS

Remineralizar el suelo le devuelve los minerales que se han extraído durante el año haciéndolo por lo tanto más nutritivo para las plantas del jardín.

Una vez que tenga sus semillas o trasplantes en el suelo, comienza la etapa más crucial de la jardinería. La frecuencia y el momento en que riega su jardin puede marcar una gran diferencia en sus resultados. Si vives en un clima muy soleado y cálido, tiene cierto sentido darle de beber a tu jardín por la noche, cuando el sol no está cayendo sobre él. De hecho, los expertos advierten contra esto, y por una buena razón.

Los fertilizantes marcan la diferencia y son muy importantes para la salud y la nutrición de todas las plantas. El uso de fertilizantes orgánicos que no dañan el bioma del suelo crea beneficios a largo plazo, así como resultados a largo plazo. El drenaje adecuado también es clave. Si está regando su jardín, las plantas solo pueden absorber una cantidad limitada

Independientemente de la ruta que tomes para que tus nuevas plantas crezcan, otro consejo profesional es tener en cuenta la colocación. Puede ser tentador colocar tantas semillas o trasplantes en tu espacio de cultivo como sea posible, pero resiste este impulso. Cuando plantas demasiadas plantas juntas, hace que sus raíces luchen entre sí por los nutrientes del suelo; el hacinamiento también puede hacer que las plantas más altas bloqueen la luz solar que tanto necesitan las plantas cerca o bajo su sombra. Es importante investigar cuánto espacio debe haber entre las plantas que desea cultivar, así como qué plantas deben o no deben estar cerca unas de otras.

El mejor momento del día para regar es por la mañana ya que el riego nocturno hace que las plantas retengan la humedad de una manera que podría causar la pudrición de la raíz. Debes regar todas tus plantas, no solo las verduras, por la mañana para que el exceso de humedad pueda evaporarse. También hay que regar las plantas en su base es mejor porque reduce las posibilidades de moho y manchas foliares.

25 Enero - Marzo

Las tropicales son una excelente manera de agregar un toque exótico a un jardín no tropical.

Desenterrar bulbos y almacenarlos en el interior durante el invierno es posiblemente la forma más fácil de invernar plantas tropicales, caladios e incluso tubérculos de dalia.

FLORES TROPICALES

Logre en el jardín más color, fragancias y altura con flores tropicales

POR BEATRIZ BECERRIL ESCOBEDO

Las flores tropicales atraen a los jardínes incluso más mariposas. Algunas de las flores tropicales favoritas incluyen los asequibles e impresionantes miembros de la familia de los hibiscos y la familia de las orquídeas. Mientras tanto, las bromelias --plantas de aire-- no solo son hermosas, sino

que también requieren poco mantenimiento en lugares más cálidos. Sin embargo, si vives en un clima más frío, necesitarás un plan para mantener tus plantas tropicales saludables en el invierno. En muchos casos, estas plantas son, en el mejor de los casos, plantas perennes tiernas que deben llevarse al interior o tratarse como plantas anuales estacionales y desecharse al final de la temporada.

26 Enero - Marzo

HIBISCO JAZMÍN

El hibisco tropical aporta un ambiente flamenco al patio y al jardín de macetas, incluso para principiantes. Cuando se trata del Hibiscus rosa-sinensis, si proporciona abundante sol y agua generosa, recibirá flores ininterrumpidas de hasta ocho pulgadas de diámetro durante toda la temporada de crecimiento. Al igual que muchas flores tropicales, los colores brillantes del hibisco son un faro para las mariposas. El hibisco amarillo es también la flor oficial del estado de Hawái. Puede elegir variedades que complementen cualquier combinación de colores, ya que las flores vienen en tonos cálidos como amarillo, naranja y rojo, así como tonos fríos como rosa, blanco y morado.

BROMEL I A

La familia Bromeliaceae es grande y diversa, e incluye plantas como las piñas y el musgo español gris y rizado, popular en las exhibiciones de artesanías. A pesar de su apariencia inusual, las bromelias son plantas tropicales sorprendentemente sencillas que pueden tolerar una amplia gama de temperaturas, desde casi el punto de congelación hasta tres dígitos. La humedad es un elemento importante del riego, ya que las hojas de bromelia tienen escamas especiales que absorben el agua del aire. Use una mezcla de orquídeas para colocar sus bromelias en macetas, tantas crecen como epífitas en la naturaleza. Trasplante los retoños que se formen después de la floración, ya que la planta madre generalmente disminuirá a medida que la flor se marchite.

FLOR DECHENILL A

La planta de chenilla o felpilla crecerá para cualquier jardinero con abundante agua y luz solar. También conocida como totora al rojo vivo, la Acalypha hispida puede necesitar iluminación suplementaria con una luz de cultivo para pasar el invierno con éxito.

El jazmín agrega fragancia y altura a cualquier jardín, produciendo flores desde finales de primavera hasta principios de otoño. Es una enredadera esbelta pero vigorosa que los jardineros pueden mantener dentro con podas frecuentes. La humedad es tan importante como el riego para la salud de las plantas. Mientras esté en el interior, especialmente durante los inviernos fríos, dé al jazmín una luz brillante pero indirecta y un lugar fresco.

CLIVIA

La Clivia miniata, a veces llamada lirio natal, es codiciada por muchos jardineros como una planta de interior resistente que prospera en áreas con poca luz. La clivia no solo crecerá en el alféizar de su ventana orientada al norte, sino que le gusta estar en el lado seco, crece mejor con un mínimo de fertilizante y es más feliz cuando tiene raíces atadas en una maceta abarrotada. Es la planta tropical perfecta para aquellos con un pulgar ligeramente marrón.

Tan aromáticas como hermosas, las plantas de jengibre en flor son una excelente alternativa para los jardineros que tienen poco o ningún sol directo en sus paisajes. Sin embargo, como ocurre con la mayoría de los tropicales, se requieren condiciones cálidas y húmedas para que las plantas prosperen. Los tipos de zingiber incluyen las brácteas rojas del awapuhi, que se utilizan en algunos champús premium. Zingiber neglectum 'Pagoda Jewel' parece una forma de vida alienígena, pero crece con facilidad en suelos húmedos y bien drenados. Lleve sus plantas de jengibre al interior cuando las temperaturas desciendan por debajo de los 50 grados Fahrenheit para evitar que las puntas de las hojas se doren.

La familia Orchidaceae contiene cientos de géneros y decenas de miles de especies, así que si aún no has tenido éxito con estas plantas tropicales, pruébalo de nuevo. Elegir el medio de cultivo adecuado es fundamental para las orquideas, que no crecen bien en agua estancada. Una mezcla de cultivo gruesa a base de corteza para orquídeas le dará a tu planta un comienzo saludable. Elija una maceta con muchos orificios de drenaje para asegurarse de no regarla en exceso. Agregue luz filtrada, un ambiente húmedo como la ventana del baño o la cocina, y temperaturas moderadas para obtener y mantener su orquídea en funcionamiento.

Con el aspecto de un cruce entre una alcachofa y un cardo, las flores de protea son un elemento básico en los arreglos florales tropicales debido a sus flores cortadas de larga duración. Esta planta nativa africana tiene flores peludas, coriáceas y bastante tolerantes a la sequía. Las plantas de protea son más tolerantes a las heladas que la mayoría de las flores tropicales y pueden permanecer al aire libre todo el año en la zona 8. Plante las proteas en una mezcla arenosa para macetas y riegue una o dos veces por semana. Medio día de sol es suficiente para persuadir la floración desde finales del invierno hasta la primavera.

ORQUÍDEAS FLORES DE PROTEA ANTURIO

Las flores de anturio o flamenco son más felices cuando su ambiente es húmedo, rozando el bochorno. Las flores son brácteas que vienen en tonos rojos, rosas, blancos y burdeos dramáticos. La superficie brillante de las brácteas le da un aspecto lacado, que destaca en condiciones de luz solar moteada. Proporcione a las flores de anturio un suelo rico y húmedo protéjalas de bajas temperaturas.

J
ENGIBRE

Aunque la jardinería es una actividad que puede ser beneficiosa para nuestra mente y espíritu, requiere práctica y paciencia. Es igualmente un juego de prueba y error ya que algunas plantas prosperarán y otras quizá nunca vean la luz del día por diversas razones.

Pasados los meses fríos del invierno, las plantas y el pasto de los jardínes comienzan a requerir cuidados y atención.

JARDINERÍA DE PRIMAVERA

Tareas y plantación de nuevas especies al inicio del año

Pese a que durante la etapa final del invierno los espacios verdes se encuentran aún en plena fase de descanso vegetativo, son necesarias diferentes labores para tener bajo control el correcto estado del jardín o parcela. Dichas labores comprenden la limpieza de toda la zona, así como encargarse de una buena fertilización. Por otra parte, la irrigación del terreno no deja de ser una tarea a realizar, de igual manera que realizar un cuidado de nuestras plantas será básico si no queremos encontrarnos más adelante con situaciones desagradables.

El equinoccio de primavera marca en el hemisferio norte, el inicio de una estación en la que la naturaleza parece revivir. Cambios de luz, temperatura, humedad y presión atmosférica nos hacen despertar del letargo del invierno. Los ríos bajan más caudalosos por el deshielo, los campos empiezan a florecer y se llenan de color, los animales resurgen y el frío invernal comienza poco a poco a alejarse. Es el momento perfecto para dar un nuevo toque al hogar, cultivando plantas con flor que alegrarán tus espacios favoritos.

Hay algunos cuidados que, independientemente de la época, no podemos descuidar. Uno de ellos es mantener la

28 Enero - Marzo

higiene de nuestras plantas de interior: lavar las hojas con cuidado para eliminar el polvo y suciedad. Es normal que las hojas de las plantas se empolven ya sea por la suciedad que entra del exterior por ventanas y puertas como por el polvo que se levanta dentro de la casa.

En esta época, comenzaremos también a aumentar los riegos y añadiremos su correspondiente abonado. De esta manera, aseguraremos el crecimiento de las raíces de las plantas y lograremos que crezcan y florezcan durante los próximos meses de primavera y verano. También, tendremos especial cuidado con la luz para que las plantas no crezcan descompensadas. Poco a poco, deberemos aclimatar las plantas de exterior que hemos guardado en interior durante el invierno.

Los rosales deberán abonarse después de la poda. Además, podemos dividir las matas de plantas vivaces para multiplicarlas y hacer esquejes de plantas como geranios, cóleos o crisantemos. También se dividen los tubérculos de las Dalias. Es un buen momento para sembrar plantas aromáticas, así como plantas vivaces, clavel moro, prímulas, verbena, geranios y capuchinas, clavel chino, margaritas.

PLANTACIÓN Y MANTENIMIENTO DE ARBUSTOS FLORALES Y FLORES

Para la mitad de la primavera es la época en la que ves que tu jardín cobra vida lentamente. Puede que incluso veas florecer algunas plantas. No olvides que siempre puedes cultivar nuevas plantas en tu jardín.

• Plantar bulbos y semillas de las flores que te gustaría ver en tu jardín.

• Llena los espacios vacíos con plantas anuales y de temporada. También puedes añadir nuevos árboles y arbustos para que tengan tiempo de echar raíces firmes antes del verano.

• Alimenta tus plantas. Añade una nueva capa de mantillo en tu jardín.

• Trae los muebles de jardín y añade adornos de jardinería como estacas y luces.

• Haz que tu jardín sea más acogedor para los pájaros, las mariposas y las abejas añadiendo comederos y fuentes de agua.

Las plantas anuales se plantan en la primavera después de la última helada y vivirán durante toda la primavera y el verano. Deben plantarse de nuevo cada año debido a su ciclo de vida y al hecho de que no suelen ser resistentes al frío; estas plantas generalmente requieren más cuidados prácticos, incluido el riego y la poda regulares. Muchas variedades producen hermosas flores que duran todo el verano.

Las plantas perennes se pueden plantar en la primavera o el otoño, dependiendo de la variedad, y vivirán durante muchos años. Por lo general, son de menor mantenimiento y solo requieren riego durante el primer año en que se plantan. Algunas variedades requerirán poda alrededor de una vez al año; otros no requerirán ninguna en absoluto.

En las tareas de jardinería de marzo no nos podemos olvidar del césped de nuestro jardín. Al aumentar las temperaturas es

El equinoccio de primavera marca el inicio de una estación en la que la naturaleza resurge, alegrando los parques y jardínes tanto públicos como privados.

posible que aumente el número de hierbas adventicias o malas hierbas, que deben de ser eliminadas. Además, tendremos que airear el césped y comenzar el abonado. También podemos aprovechar para resembrar las zonas deterioradas y escarificar el césped. Sin olvidar que se tiene que comenzar a preocuparnos más por los riegos, sobre todo de aquellas plantas que comienzan a brotar y podremos incorporar abono liquido al agua de riego.

Si queremos evitar los hongos que produce la humedad nocturna, será mejor que reguemos por la mañana. Como en ocasiones anteriores, recordar que el agua no debe ser demasiado fría para regar las plantas de interior.

Paulina Lee destaca que actualmente no hay otra empresa en México que haga una vitrina o que tenga estas pruebas de tulipanes, que en sus tres años de realización ha atraído a productores profesionales del Estado de México, Villa Guerrero y Atlacomulco, también de Xochimilco y Puebla, Guadalajara, Oaxaca y Chiapas.

Vitrina de tulipanes de GRUPO AKIKO 2024

En su tercer año organizando la Vitrina de Tulipanes, en esta ocasión llevada a cabo el pasado 23 de Febrero del año en curso en las Instalaciones de Grupo Akiko, fueron 85 las diferentes variedades de tulipán tanto para flor de corte como para maceta que se exhibieron, presentados en caja con la idea de que el productor visitante pudiese apreciar más fácilmente las características de cada una de ellas en lo que se refiere a su altura, vigor, color y forma de la flor, tal y como lo explicó para la revista Ornamentales & Jardinería Paulina Lee, Directora comercial de Ball Akiko.

Para ayudar aún más al productor a seleccionar la variedad o variedades más adecuadas a sus necesidades, tuvieron oportunidad de enterarse de los resultados de la plantación; la información de producción incluyendo datos como el número de días que tardaron, el método de producción y si fue usada cámara fría para el enraizamiento, etcétera. La siembra presentada esta vez es de la última semana del año por lo que fue realmente un logro tener la vitrina toda floreada. Hubo mucho trabajo de nuestros técnicos en nuestros invernaderos en Interbulbos, en Villa Guerrero, y con el apoyo de Eric Maessen, director

30 Enero - Marzo

PURPLE DESIRE

de Ventas de Ball Akiko, pudimos sacar adelante este evento. Nuestra empresa hermana Interbulbos, es donde tenemos los invernaderos de producción y gracias a la dirección de Eric, fue posible programar todas las siembras.

Paulina Lee destaca que actualmente no hay otra empresa en México que haga una vitrina o que tenga estas pruebas de tulipanes, que en sus tres años de realización ha atraído a productores profesionales del Estado de México, Villa Guerrero y Atlacomulco, también de Xochimilco y Puebla, Guadalajara, Oaxaca y Chiapas, además de otras partes del país pero estos son los lugares mas importantes de venta de bulbo de tulipán. En cuanto a las variedades mostradas, puntualiza que este año hay variedades nuevas; explica que normalmente la selección se hace con un año de anticipación, tomando en cuenta las recomendaciones de los proveedores para probarlas aquí en México. Ejemplifica con Mosni, una variedad muy pedida por los clientes de Barcelona que actualmente no está surtiendo mucho porque las empresas día a día van haciendo mejoras. Mosni puede ser sin duda una de las variedades interesantes para otros productores pudiendo llegar a sustituir a Barcelona. Hay otra variedad que está teniendo mucho éxito, Purple Desire. Es un morado que cumple con todas las necesidades de un morado demandado por los clientes.

SURRENDER

De la variedad de colores y tonalidades de tulipanes que ofrecemos, los clientes pueden decidir entre los diferentes tonos de rojo cual es el rojo que más les agradó y que creen que será más atractivo para sus propios clientes. Muchas veces no seleccionan una sola variedad sino que seleccionan dos o tres diferentes de un mismo color para así tener una mayor gama de productos que ofrecer a sus clientes de florerías o gente que planta en maceta. Pueden mostrar su predilección y adquirir tulipanes blancos, rosas, etc., lo cierto es que entre mas surtido tienen, los productores pueden vender mejor gran parte en porcentaje de lo que piden los clientes.

Durante la duración de la Vitrina de Tulipanes de este año fueron generados pedidos de bulbos que se empezarán a entregar a partir del próximo noviembre y hasta enero del 2025. De esta manera, Paulina Lee explica que

31 Enero - Marzo
"Una

vitrina demostrativa a través de la cual ofrecemos a nuestros clientes una mejor visión de las variedades de tulipanes a seleccionar para el siguiente año".

en el mundo de los bulbos, los pedidos se manejan casi con un año de anticipación con el fin de garantizar a los clientes su producto ya que estos bulbos vienen de Holanda. Tenemos proveedores holandeses confiables desde hace muchísimos años y con ellos trabajamos muy de la mano.

CUMPLIENDO CON LAS PREFERENCIAS DE TULIPANES EN MÉXICO

En nuestro país, los tulipanes rojos, blancos y amarillos conforman normalmente el 25 a 30% de los pedidos de tulipán de Grupo Akiko. Sin embargo

tenemos disponible un buen surtido de colores pues entre mayor oferta para las florerías, los productores en viveros venden más. Para llevar esto a cabo requerimos un año de anticipación. Nuestro cliente nos hace el pedido y nosotros compramos y apartamos el bulbo, incluimos la preparación especial de los bulbos para que puedan llegar a los invernaderos y ser sembrados de inmediato, para en unas cuantas semanas estén floreando.

Hablando de la selección de las variedades en esta presentación, sea planta en maceta o planta de corte, puede pensarse que presentar los tulipanes en el florero cause dudas pues obviamente se seleccionan los tallos más bonitos, por lo que cada variedad está también presentada en la caja donde se sembró. En estas el cliente puede darse cuenta

si la variedad es rápida, si la variedad es lenta, si es pareja o que tan alta naturalmente, y entonces decidir no sólo por lo bonito del color de la flor. Explicando ésto de otra manera, el éxito de la Vitrina de Tulipanes –tener la posibilidad de apreciar los ejemplares en florero y asimismo directamente en caja-, los clientes pueden hacer su selección de variedades de una manera más real y viendo las características del tulipán crecido en México. Esa es una información para ellos valiosísima porque saben entonces que la variedad que van a adquirir va a satisfacer las necesidades de sus mismos clientes.

Eric Maessen, Director de Ventas de Ball Akiko, comentan que “para nosotros, es un pequeño parque que está en Holanda que se abre una vez al año y muestra el surtido de bulbos, no sólo lo que es tulipanes sino todas las variedades de bulbos, de 85 a 90 variedades. Compramos los bulbos en Holanda para venderlos a los productores aquí en México, para cortar las flores en las primeras semanas del nuevo año, pero también para 14 de Febrero el cual es un día muy importante para la gente de aquí. De todas las variedades que mandamos a los productores de México, pienso que 10 o 12 nuevas variedades nosotros las introdujimos. El próximo año los productores vendrán aquí y verán la calidad de flores. Ofrecemos bulbos que nadie más tiene, de alta calidad y gran potencial productivo.

32 Enero - Marzo

El proceso de organizar los tallos y el follaje nos conecta con las leyes instintivas del diseño y puede ser relajante.

ARREGLOS FLORALES

Realización de arreglos florales de acuerdo con parámetros fundamentales

En el diseño y elaboración de arrglos florales, tiene sentido experimentar con flores cortadas y follajes, intentando conectar con esas leyes de diseño instintivas. Jardineros, pintores, diseñadores de moda o arquitectos, estas ocupaciones sacan provecho de la disposición de elementos naturales para satisfacer de alguna manera las preferencias visuales instintivas que han surgido de millones de años de coevolución con el mundo natural. Algunas combinaciones simplemente se ven "mal" y, sin embargo, de repente son calmantes, llamativas o agradables con los más pequeños ajustes, incluso si no podemos articular exactamente por qué.

el tiempo. Sin embargo, lo que me sorprendió aún más fue el hecho de que estos expertos dicen que no solo cómo ser un mejor diseñador, sino por qué. Para ellos, el propósito de crear estos agradables arreglos no era el resultado final, como tendemos a pensar en Occidente, sino el proceso en sí.

Al igual que con tantos conceptos exclusivamente japoneses, el diseño floral minucioso puede parecer extravagante hasta que te das cuenta de que somos nosotros los raros por no haber apreciado la simplicidad y la practicidad todo

Cuando creas estas obras a partir de pedazos de flores, tallos y hojas, formando una especie de orden mental a partir del caos, realmente estás cultivando tus propios pensamientos. Te ayuda a explorar ideas en las que de otro modo te resultaría difícil lograr claridad cognitiva, y puedes transmitirlas a los demás. Fue una gran revelación para mí. Desde entonces, llevo conmigo tijeras de podar japonesas de lujo para practicar lo que estos maestros me enseñaron, ya sea hacer una pausa en un paseo por el bosque local para colocar algunas hojas en un tronco caído o tomar esquejes de mi balcón para crear un arreglo para alegrar el día e un compañero.

ELECCIONES ACERTADAS EN LO QUE A LA DECORACIÓN CON FLORES Y PLANTAS TOCA

Cada cambio de estación es un reto para aprovechar las flores de temporada todas las hermosas flores nuevas de la Madre Naturaleza y probar en nuevos y novedosos arreglos florales. Al aprender a arreglar las flores, iluminarás instantáneamente cada espacio de tu hogar con toques frescos de color. Con una amplia selección de flores clásicas entre las que elegir, como lirios, peonías, tulipanes y petunias, encontrarás muchas opciones para tu arreglo perfecto. Entonces, ¿por dónde empezar? En primer lugar, empieza por considerar el estilo de tu habitación y el tipo de declaración que quieres hacer. ¿Tienes una casa de estilo más contemporáneo? Trata de buscar flores con colores llamativos, pero con formas simples. Las orquídeas y los lirios son

34 Enero - Marzo

ejemplos de la flor perfecta para una habitación contemporánea. Si tu casa tiene un estilo más tradicional, trata de llevar flores con pétalos, como peonías y rosas. Los arreglos también son una excelente manera de agregar suavidad cuando un área de la habitación parece ocupada. Por ejemplo, en una pared que tiene muchos cuadros, agregar un arreglo floral proporcionará un descanso visual muy necesario. Una vez que haya decidido los mejores tipos de flores, es posible que se pregunte cuál es el mejor lugar para exhibirlas en su hogar. La respuesta es simple: las flores pueden ir a casi cualquier parte. Los arreglos florales pueden alegrar el ambiente en cualquier habitación, incluido el vestíbulo, la cocina, la sala de estar, el comedor y el dormitorio. Dependiendo de ciertos aspectos como el color, la altura y el volumen, las flores también tienen la capacidad de aportar una sensación de bienestar, inspiración,

motivación, prosperidad, serenidad y romance a cualquier espacio.

• Antes de decidir los colores del arreglo, se debe pensar en la ocasión para la que van a ser asignados, en los colores de los muebles, y el fondo contra el que lo va a colocar y lo que es más importante, el efecto que se desea producir.

• Se debe elegir flores y hojas verdes con distintas texturas para lograr que el arreglo sea más interesante. Se puede hacer mezclas de texturas mates y brillantes.

• La altura de las flores debería estar en la proporción al tamaño del contenedor, es decir la altura de las flores no debería exceder una vez y media la altura del contenedor.

Para producir arreglos florales equilibrados y estéticos, puede resultar excelente experimentar con nuevos tipos y colores de flores y plantas.

• De acuerdo al lugar donde se desea colocar el arreglo, se puede determinar su forma, altura y ancho.

• Las flores deben estar apoyadas unas en otras, colocando cada flor en el jarrón en un ángulo. La única flor que debería ser insertada directamente encima del contenedor es la flor de centro. Esta flor debería ser colocada en el contenedor sólo cuando el ramo ha tomado la forma.

• La simetría es una de las normas esenciales de los centros florales y hay que dominarla al principio para poder ir abandonándola poco a poco. La originalidad está íntimamente relacionada con la capacidad de improvisación.

• La altura de los centros de mesa con flores viene determinada por la utilización práctica de ese mueble: si no va sentarse nadie alrededor de esa mesa, el arreglo será todo lo alto que queramos, mientras que si se trata de una mesa de comedor, el arreglo se extenderá a lo ancho, nunca a lo alto.

Es de suma importancia considerar y tener en cuenta también la iluminación. Si planea tener un ambiente con poca luz, las flores de colores cálidos, como el naranja y el rojo, se verán mejor. Si prefieres una combinación de colores más simple, las flores blancas son otra gran opción. Cuando organice cenas a la luz de las velas, trate de evitar las flores moradas y azul oscuro, ya que no reflejan la luz tan bien como otros colores.

3 cosas que muy pocas personas saben sobre el Anturio y sus beneficios

Estamos seguros de que conoces el Anturio, pero lo que quizás no sabías son todos los beneficios que tiene para tu salud. Así que nosotros te los vamos a contar.

Datos curiosos sobre el Anturio que muy pocas personas conocen

Flor verdadera

Aunque comúnmente se asocia con flores, las flores coloridas del Anturio no son realmente flores, sino brácteas modificadas. Su verdadera flor es una pequeña estructura en forma de espádice en el centro de estas brácteas.

Purificación del aire

Esta planta es conocida por su capacidad para purificar el aire. Filtra sustancias como el formaldehido, el xileno, el amoníaco, el tolueno y otros compuestos volátiles, mejorando así la calidad del aire en el entorno.

Simbolismo de amor y hospitalidad

En el lenguaje de las flores, el Anturio simboliza amor, hospitalidad y amistad. Es una planta popular en regalos para expresar afecto y buenos deseos.

Beneficios poco conocidos del Anturio para la salud Como ya lo mencionamos, anteriormente, ayuda a eliminar toxinas y mejorar la calidad del aire en interiores. Pero lo que no habías dicho es que, al purificar el aire, podrás dormir mejor durante la noche, porque mantendrá fresca la habitación, creando un ambiente más confortable.

Asimismo, algunas personas creen que tener este tipo de plantas en su entorno puede mejorar el estado de ánimo y reducir el estrés.

Por último, se ha sugerido que estas plantas pueden tener propiedades antibacterianas que contribuyen a un entorno más saludable.

¿DÓNDE SE DEBE PONER?

Salas de estar o comedor: Es una planta ornamental que puede añadir un toque de color y elegancia a tus espacios de vida. Colócala en la sala de estar o en el comedor como una pieza central.

• Dormitorios: También puedes colocarlo en el dormitorio. Algunas personas encuentran que tener plantas en el dormitorio contribuye a un ambiente relajante y puede mejorar la calidad del sueño.

• Oficinas o espacios de trabajo: Si tienes un espacio de trabajo en casa o una oficina, el Anturio puede ser una opción excelente. Además de su atractivo estético, puede ayudar a mejorar la calidad del aire en un entorno donde pasa mucho tiempo.

ANTURIO
36 Enero - Marzo
Rancho Grande No. 142, Col. Santa Cecilia, Coyoacán, 04930, Ciudad de Mexico www.comiisa.com.mx (55)554267064 contacto@comiisa com mx ¡El instrumento ideal ¡El instrumento ideal para jardinería! para jardinería!

La orquídea se ha hecho muy popular en los últimos tiempos por las posibilidades de decoración que ofrece.

ESTE TIPO DE PLANTAS, SE VIVIDE EN:

Plantas Ornamentales

¿QUÉ SON Y CUÁLES SON LAS MÁS POPULARES?

Si está buscando especies para adornar su casa o lugar de trabajo, es muy posible que ya se haya encontrado con este término. Acá le explicamos de qué se trata.

No, no se trata de una especie de planta, o de una variedad específica de flor. Las plantas ornamentales son, en esencia, todas aquellas que se cultivan y también se comercializan con el objetivo de decorar, pues tienen características específicas ideales para ese fin: follajes abundantes y particulares, hojas pronunciadas, floración colorida, aromas atractivos.

De ahí que se trate de plantas tanto de interiores como de exteriores y se dividan en varios tipos: los árboles o arbustos, las plantas de flor, las acuáticas, enredaderas o rastreras, y las plantas de interior.

La selección del tipo de planta, depende ya del uso que se le quiera dar y del espacio en el que vaya a ser ubicada. Los arbustos, por ejemplo, son ideales para exteriores,

ÁRBOLES O ARBUSTOS

PLANTAS DE FLOR

al igual que las enredaderas que son plantas que necesitan de otras (o de un soporte) para apoyarse a través de sus tallos y ramas. Las rastreras funcionan también es espacio abiertos porque ayudan a formar una suerte de tapete que engalana cualquier jardín y las acuáticas son las llamadas a protagonizar en fuentes y estanques.

Pero si lo que busca es aportar color y presencia a algún espacio de interior, quizás la opción más clara sea optar por plantas con floraciones llamativas. Acá la más frecuente puede ser la orquídea, muy popular en los últimos tiempos por las posibilidades de decoración que ofrece.

A esta lista se pueden sumar otras especies con características similares como los anturios, las bromelias, las begonias, los lirios, margaritas, petunia, o la lavanda. También para interiores hay plantas sin flores que son frecuentemente usadas para ambientar espacios: helechos, potus, cactus, balazo o costilla de Adán.

38
ACUÁTICAS

Cuidar el jardín, manteniéndolo saludable y lleno de vitalidad durante la primavera, es esencial para disfrutar de un espacio natural exuberante y estéticamente placentero. Aquí tienes algunos consejos para lograrlo:

1. Podar las plantas en maceta:

• Las macetas que han estado en el interior durante el invierno necesitan una poda ligera antes de devolverlas al aire libre. Elimina ramas y hojas débiles que pudieran haber crecido durante la época invernal; proporcionales abundancia de aire fresco y retira los brotes viejos y marchitos. También es buena idea podar la planta para darle una forma atractiva.

• Utiliza tijeras de poda manuales o, para trabajos más intensos, considera una minisierra o motosierra de batería.

2. Cuándo empezar a podar:

• Realiza la poda de primavera antes de que la vegetación comience a brotar con fuerza. Cortar el nuevo crecimiento debilitará la planta.

• Si las plantas han hibernado en un lugar fresco y luminoso, trasládalas a un lugar protegido contra heladas para que comiencen su crecimiento.

3. Poda de árboles en maceta y plantas florecientes:

• Retira ramas viejas o dañadas, así como crecimientos débiles fuera de temporada.

• Deja dos o cuatro brotes o una longitud de rama de 5-10 cm en plantas que florecen en verano.

4. Limpieza del jardín:

• Antes de cualquier otra tarea, evalúa posibles daños y limpia el jardín. Elimina hojas, pétalos, semillas o flores marchitas para oxigenar la tierra.

ESCRÍBENOS A: Para dar solución a los problemas que presente tu jardín. No olvides proporcionarnos tus datos completos.

• Barre las hojas, elimina las semillas y los desperdicios y ara las primeras capas de tierra.

5. Comprobación del suelo y enriquecimiento:

• Verifica la calidad del suelo y enriquece con compost o abono según las necesidades de tus plantas.

6. Siembra y resiembra:

• Siembra nuevas plantas y resiembra aquellas que necesiten renovación.

7. Cortar el césped:

• Mantener el césped a una altura adecuada ayudará estimular su crecimiento vigoroso y sano.

8. Evita estancamientos de agua:

• El agua debe fluir libremente en el jardín evitando se acumule en áreas produciendo encharcamientos que podrían dañar las plantas.

Cada jardín es único, así que hay que adaptar los consejos y sugerencias a las condiciones locales y las plantas existentes. ¡Feliz jardinería primaveral!

editor.editorialderiego@gmail.com
40 Enero - Marzo

Turn static files into dynamic content formats.

Create a flipbook
Issuu converts static files into: digital portfolios, online yearbooks, online catalogs, digital photo albums and more. Sign up and create your flipbook.